Benvenuto Ospite

Forum Entomologi Italiani

www.entomologiitaliani.net/forum
 
Oggi è 11/03/2026, 16:05

Tutti gli orari sono UTC + 1 ora [ ora legale ]

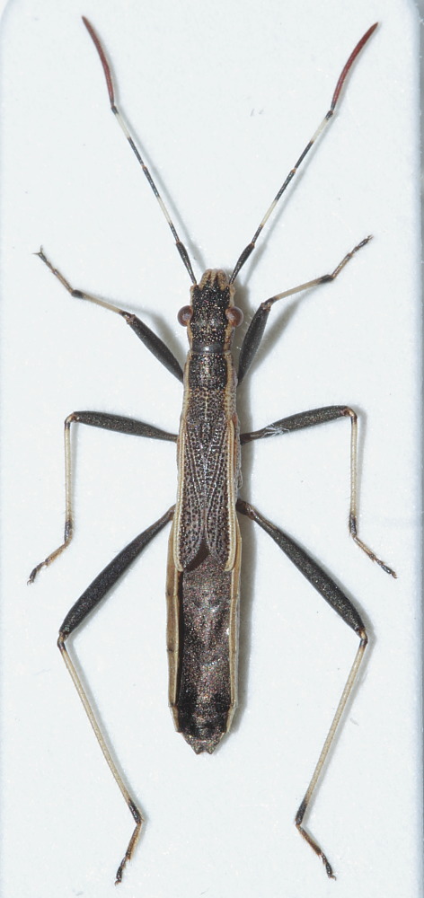
Micrelytra fossularum (Rossi, 1790) - Heteroptera, Alydidae - Toscana, Isola d'Elba

VII.2010 - ITALIA - Toscana - LI, Isola d'Elba - Portoferraio - Monte Orello - 300m


nuovo argomento
rispondi
Pagina 1 di 1 [ 2 messaggi ]
Autore Messaggio
MessaggioInviato: 24/07/2010, 16:51 
Avatar utente

Iscritto il: 17/02/2009, 0:05
Messaggi: 8524
Località: Isola d'Elba - Arcipelago Toscano
Nome: Leonardo Forbicioni
Portoferraio (LI) - Monte Orello - 300m - Cessa tagliafuoco di una pineta

Dovrebbe essere lui!
Micrelytra fossularum1.JPG

Micrelytra fossularum2.JPG

Micrelytra fossularum3.JPG


_________________
"Stay hungry, stay foolish".
Steve Jobs, 2005
___________________
jjuniper8(at)gmail.com
Twitter: @weevil_forbix
cell. 339/5275910
___________________


Top
profilo
MessaggioInviato: 24/07/2010, 17:04 
 

Iscritto il: 10/07/2010, 14:42
Messaggi: 4862
Nome: Giuseppe Pace
Sicuramente.

Ciao
Giuseppe

P.S. le dimensioni


Top
profilo
Visualizza ultimi messaggi:  Ordina per  
nuovo argomento
rispondi
Pagina 1 di 1 [ 2 messaggi ]

Tutti gli orari sono UTC + 1 ora [ ora legale ]


Chi c’è in linea

Visitano il forum: Nessuno e 2 ospiti


Non puoi aprire nuovi argomenti
Non puoi rispondere negli argomenti
Non puoi modificare i tuoi messaggi
Non puoi cancellare i tuoi messaggi
Non puoi inviare allegati

Cerca per:
Vai a:  
cron