Benvenuto Ospite

Forum Entomologi Italiani

www.entomologiitaliani.net/forum
 
Oggi è 26/12/2025, 20:53

Tutti gli orari sono UTC + 1 ora [ ora legale ]

Lagria hirta (Linnaeus, 1758) - Tenebrionidae Lagriinae

11.IX.2010 - ITALIA - Lazio - FR, Serrone, 650 m


nuovo argomento
rispondi
Pagina 1 di 1 [ 8 messaggi ]
Autore Messaggio
MessaggioInviato: 15/09/2010, 0:14 
Avatar utente

Iscritto il: 30/12/2009, 22:20
Messaggi: 31564
Località: Roma
Nome: Maurizio Gigli
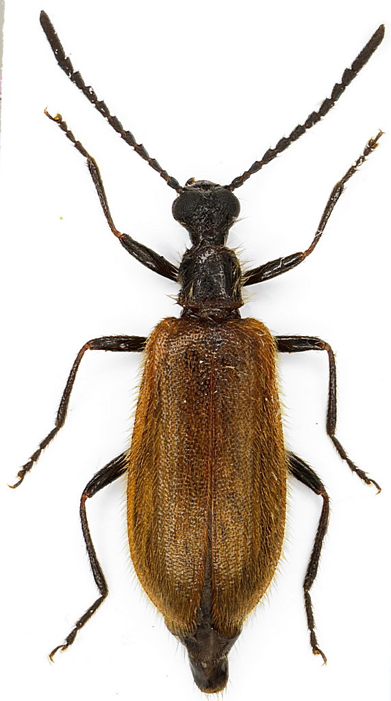
Vorrei sapere a chi è venuto in mente di spostare queste bestie tra i Tenebrionidae!

Penso che questo Lagriinae sia del genere Lagria

Lazio, Frosinone, Serrone, 650 m, 11.IX.2010, alla luce nera sul terazzo di casa, M. Gigli legit
8 mm fino all'estremità delle elitre

Lagria_Serrone_11-IX-2010_8mm.jpg


_________________
Maurizio Gigli
http://utenti.romascuola.net/bups
http://bup.xoom.it/


Top
profilo
MessaggioInviato: 15/09/2010, 8:51 
Avatar utente

Iscritto il: 06/02/2009, 9:01
Messaggi: 5005
Località: Castel Mella (Brescia)
Nome: Livio Mola
Ciao Maurizio.
Penso che chi l'ha spostata si sia basato su FAUNAEUR, dove i Lagriinae sono sotto i Tenebrionidae:
http://www.faunaeur.org/full_results.php?id=282327

_________________
L'oca è ritenuto l'animale simbolo della stupidità, a causa delle sciocchezze che gli uomini hanno scritto con le sue penne.


Top
profilo
MessaggioInviato: 15/09/2010, 11:19 
Avatar utente

Iscritto il: 10/05/2009, 15:30
Messaggi: 7182
Località: Ancona
Nome: Giacomo Giovagnoli
Credo maschio di Lagria hirta... :oops:

Qui ci sono le descrizioni:
http://www.naturamediterraneo.com/forum ... C_ID=31459

Ciao :)

_________________
Immagine Giacomo


Top
profilo
MessaggioInviato: 15/09/2010, 12:04 
Avatar utente

Iscritto il: 25/11/2009, 9:31
Messaggi: 8157
Località: Lecce
Nome: Maurizio Bollino
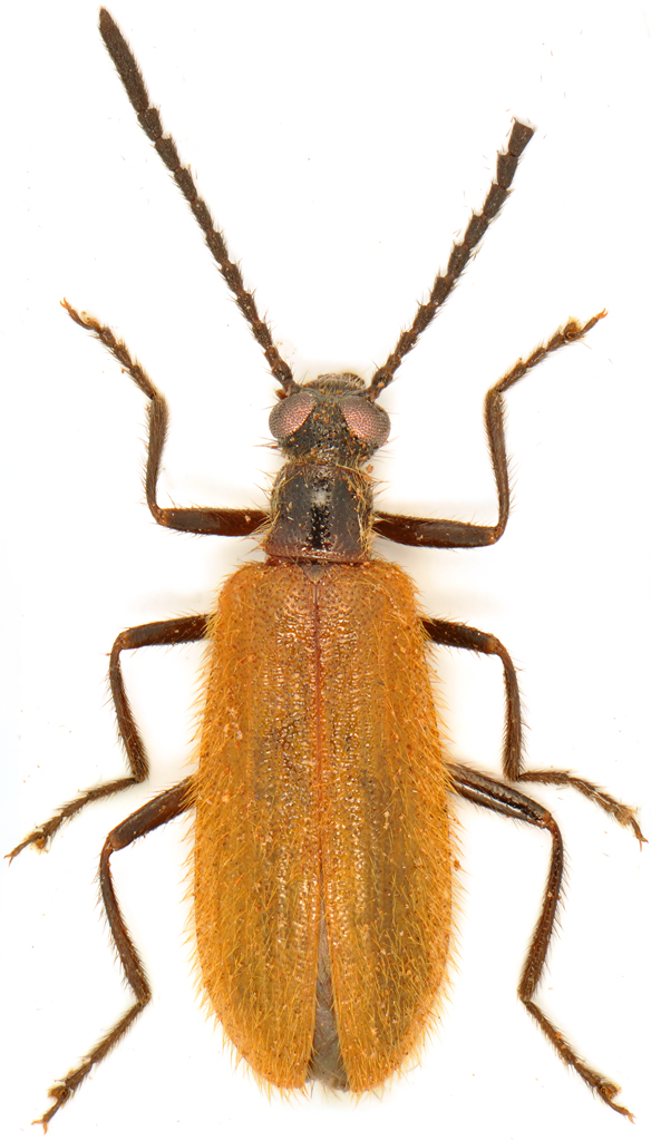
Ne deduco che anche quest'esemplare è Lagria hirta.
Dati: Puglia - Laghi Alimini - Otranto (LE) - 06.IX.2010 - m. 10
Dimensioni: 7 mm

Lagria.jpg


_________________
Maurizio Bollino


Top
profilo
MessaggioInviato: 15/09/2010, 19:38 
Avatar utente

Iscritto il: 23/06/2010, 11:11
Messaggi: 2784
Località: Cagliari
Nome: Gianpaolo Ruzzante
lampada mista

ne deduco anche io??
credo si tratti di femmina e maschio
:hi:


Italia – Sardegna – Cagliari - Domus de Maria – P.ta su Pisu – m 30
N 38° 53’38.5” E 8° 51’09.6” - 11 IX 2010

P1010912.JPG

Italia – Sardegna – Cagliari - Domus de Maria – P.ta su Pisu – m 30
N 38° 53’38.5” E 8° 51’09.6” - 11 IX 2010

P1010910.JPG

Top
profilo
MessaggioInviato: 16/09/2010, 0:13 
Avatar utente

Iscritto il: 30/12/2009, 22:20
Messaggi: 31564
Località: Roma
Nome: Maurizio Gigli
Grazie Giacomo!

Livio ha scritto:
Ciao Maurizio.
Penso che chi l'ha spostata si sia basato su FAUNAEUR, dove i Lagriinae sono sotto i Tenebrionidae:
http://www.faunaeur.org/full_results.php?id=282327

Non intendevo qui nel Forum, ma chi ha deciso che i Lagriidae fossero una sottofamiglia dei Tenebrionidae e non una famiglia indipendente (da cui poi verrà anche la sistemazione su Faunaeur, su cui francamente, a parte questo caso, su cui non mi pronuncio per mia scarsa conoscenza del gruppo, sono piuttosto dubbioso).

_________________
Maurizio Gigli
http://utenti.romascuola.net/bups
http://bup.xoom.it/


Top
profilo
MessaggioInviato: 22/09/2010, 22:05 
Avatar utente

Iscritto il: 05/02/2009, 17:47
Messaggi: 7252
Località: Cagliari
Nome: Piero Leo
Volevo solo confermare che tutti gli esemplari qui inseriti sono giustamente determinati:
Lagria hirta (Linnaeus, 1758) - Tenebrionidae Lagriinae Lagriini

Quanto al fatto che gli ex Lagridae siano ora una sottofamiglia din Tenebrionidae, bé... confrontate una Lagria con una Pimelia, non vedete la somiglianza? Invece una Hoplia (Melolonthidae) e una Anisoplia (Rutelidae) sono diversissime...
:no1: :no1: :no1: :no1:

:) Ciao
Piero


Top
profilo
MessaggioInviato: 22/09/2010, 22:22 
Avatar utente

Iscritto il: 30/12/2009, 22:20
Messaggi: 31564
Località: Roma
Nome: Maurizio Gigli
Tenebrio ha scritto:
Quanto al fatto che gli ex Lagridae siano ora una sottofamiglia din Tenebrionidae, bé... confrontate una Lagria con una Pimelia, non vedete la somiglianza? Invece una Hoplia (Melolonthidae) e una Anisoplia (Rutelidae) sono diversissime...
:no1: :no1: :no1: :no1:

Quando si dice che tutto è relativo .... a chi si occupa dei diversi gruppi.

_________________
Maurizio Gigli
http://utenti.romascuola.net/bups
http://bup.xoom.it/


Top
profilo
Visualizza ultimi messaggi:  Ordina per  
nuovo argomento
rispondi
Pagina 1 di 1 [ 8 messaggi ]

Tutti gli orari sono UTC + 1 ora [ ora legale ]


Chi c’è in linea

Visitano il forum: Nessuno e 2 ospiti


Non puoi aprire nuovi argomenti
Non puoi rispondere negli argomenti
Non puoi modificare i tuoi messaggi
Non puoi cancellare i tuoi messaggi
Non puoi inviare allegati

Cerca per:
Vai a: