Benvenuto Ospite

Forum Entomologi Italiani

www.entomologiitaliani.net/forum
 
Oggi è 19/04/2026, 0:34

Tutti gli orari sono UTC + 1 ora [ ora legale ]

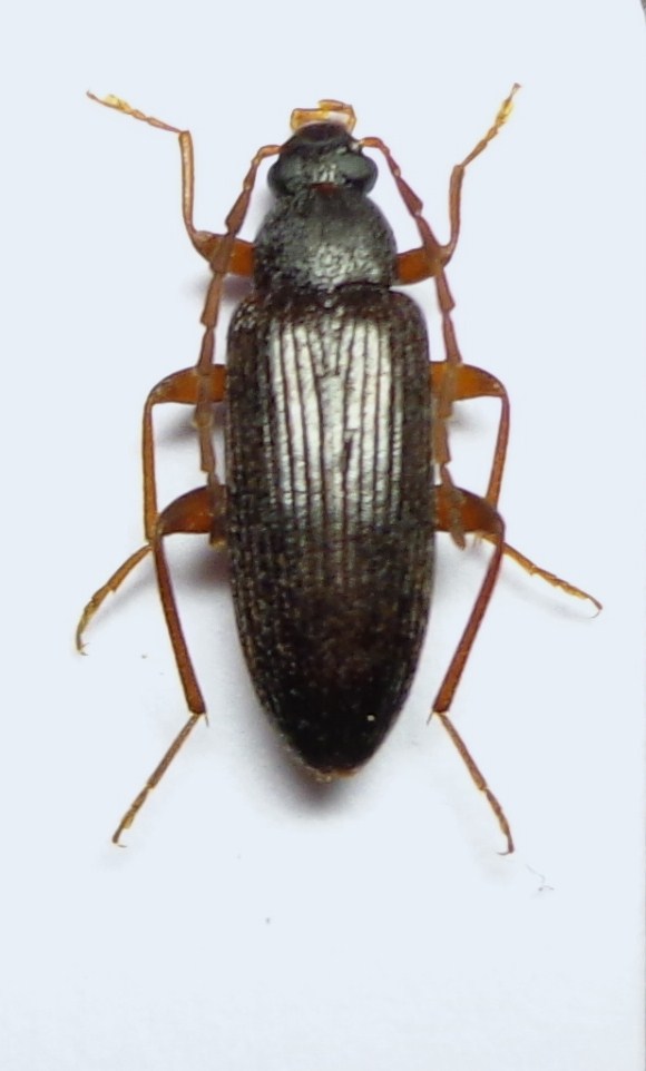
Allecula morio (Fabricius, 1787) - Tenebrionidae

29.VII.2012 - ITALIA - Emilia-Romagna - BO, Castel d'Aiano - mt. 950 -


nuovo argomento
rispondi
Pagina 1 di 1 [ 2 messaggi ]
Autore Messaggio
MessaggioInviato: 30/07/2012, 23:40 
Avatar utente

Iscritto il: 05/02/2009, 17:25
Messaggi: 4894
Località: Zola Predosa (BO)
Nome: Loris Colacurcio
Nelle utlime occasioni di caccia al lume, ho provato a prendere altre Mycetochara, ma ovviamente non si sono più fatte vedere; in compenso ieri sera si sono presentate 3-4 esemplari di questa....Allecula morio ?

Le foto sono ancora più brutte del solito, ma ho dovuto ripiegare sulla compatta di mio figlio, visto che la mia non è al momento raggiungibile (leggasi, l'ho dimenticata su in montagna).

160.JPG


_________________
Loris


Top
profilo
MessaggioInviato: 31/07/2012, 8:58 
Avatar utente

Iscritto il: 05/02/2009, 17:47
Messaggi: 7252
Località: Cagliari
Nome: Piero Leo
:ok: Direi proprio che è lei: Allecula (Allecula) morio (Fabricius, 1787)

:) Ciao
Piero


Top
profilo
Visualizza ultimi messaggi:  Ordina per  
nuovo argomento
rispondi
Pagina 1 di 1 [ 2 messaggi ]

Tutti gli orari sono UTC + 1 ora [ ora legale ]


Chi c’è in linea

Visitano il forum: Nessuno e 10 ospiti


Non puoi aprire nuovi argomenti
Non puoi rispondere negli argomenti
Non puoi modificare i tuoi messaggi
Non puoi cancellare i tuoi messaggi
Non puoi inviare allegati

Cerca per:
Vai a: