Benvenuto Ospite

Forum Entomologi Italiani

www.entomologiitaliani.net/forum
 
Oggi è 22/05/2026, 6:02

Tutti gli orari sono UTC + 1 ora [ ora legale ]

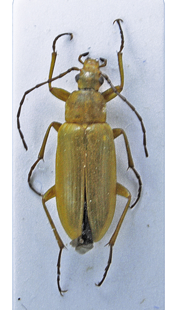
Cteniopus (Cteniopus) sulphureus (Linnaeus, 1758) - Tenebrionidae Alleculinae Cteniopodini

26.VI.1994 - ITALIA - Marche - MC, M. Sibillini


nuovo argomento
rispondi
Pagina 1 di 1 [ 6 messaggi ]
Autore Messaggio
MessaggioInviato: 03/04/2013, 20:13 
Avatar utente

Iscritto il: 02/10/2009, 17:40
Messaggi: 927
Località: Osimo
Nome: Alberto Strocchi
Qui sono nella nebbia più fitta ...
Ero arrivato a sospettare di un Alleculidae, ma ... troppi i dubbi e troppo poco materiale di confronto.
Lunghezza 8 mm. (altri due ex sono di 9 e 10 mm. ... quello piu grande è anche un poco più aranciato).
Qursto che vi mostro (e di cui fornisco i dati) è stato raccolto nelle Marche, ma un altro è di Val di Pejo (TN) e a parte le dimensioni, sembrano tutti uguali. ... (avrò detto una stupidata?).


Alleculidae-01.jpg

Top
profilo
 Oggetto del messaggio: Re: Coleottro da id.
MessaggioInviato: 03/04/2013, 20:31 
Avatar utente

Iscritto il: 23/06/2010, 19:05
Messaggi: 2591
Località: Pescara
Nome: Alessio Morelli
Ciao Alberto :lov2: ,
i tuoi sospetti sono fondati, se non mi confondo con qualche altro insetto a me sconosciuto, dovrebbe trattarsi di Cteniopus sp., forse sulphureus, ma per la conferma aspetterei Tenebrio o altri esperti. ;)
Il colore vedo che si è conservato bene.


Top
profilo
 Oggetto del messaggio: Re: Coleottro da id.
MessaggioInviato: 03/04/2013, 20:59 
Avatar utente

Iscritto il: 02/10/2009, 17:40
Messaggi: 927
Località: Osimo
Nome: Alberto Strocchi
Grazie Alex, aspetterò gli esperti anche se tu mi sembri già molto preparato ...!
Comunque, per precisazione, solo quello più grande, come ho detto, è un poco più atanciato e, guarda la combinazione, è quello di Val di Pejo ...
Magari non vuol dire nulla, ...
Ciao e grazie
Alberto


Top
profilo
 Oggetto del messaggio: Re: Coleottro da id.
MessaggioInviato: 03/04/2013, 22:30 
Avatar utente

Iscritto il: 05/02/2009, 17:47
Messaggi: 7252
Località: Cagliari
Nome: Piero Leo
dorbodervus ha scritto:
Grazie Alex, aspetterò gli esperti anche se tu mi sembri già molto preparato ...!
Io non sono un esperto di Alleculinae, però mi sento di confermare senz'altro la determinazione di Alessio: Cteniopus (Cteniopus) sulphureus (Linnaeus, 1758), Tenebrionidae Alleculinae Cteniopodini.

:) Ciao
Piero


Top
profilo
MessaggioInviato: 05/04/2013, 14:50 
Avatar utente

Iscritto il: 02/10/2009, 17:40
Messaggi: 927
Località: Osimo
Nome: Alberto Strocchi
Grazie Tenebrio per la conferma e ne approfitto per chiederti: la sua distribuzione arriva fino al Nord Italia o l'esemplare TN potrebbe essere un'altra cosa ... molto vicino a questa, data la sua somiglianza?


Top
profilo
MessaggioInviato: 05/04/2013, 22:00 
Avatar utente

Iscritto il: 05/02/2009, 17:47
Messaggi: 7252
Località: Cagliari
Nome: Piero Leo
dorbodervus ha scritto:
la sua distribuzione arriva fino al Nord Italia o l'esemplare TN potrebbe essere un'altra cosa ... molto vicino a questa, data la sua somiglianza?
Facile che sia la stessa specie (molto diffusa anche nel nord dell'Italia) che è un po' variabile nella colorazione. Per essere sicuro puoi fare una foto anche di questo.

:) Ciao
Piero


Top
profilo
Visualizza ultimi messaggi:  Ordina per  
nuovo argomento
rispondi
Pagina 1 di 1 [ 6 messaggi ]

Tutti gli orari sono UTC + 1 ora [ ora legale ]


Chi c’è in linea

Visitano il forum: Nessuno e 1 ospite


Non puoi aprire nuovi argomenti
Non puoi rispondere negli argomenti
Non puoi modificare i tuoi messaggi
Non puoi cancellare i tuoi messaggi
Non puoi inviare allegati

Cerca per:
Vai a:  
cron