Benvenuto Ospite

Forum Entomologi Italiani

www.entomologiitaliani.net/forum
 
Oggi è 28/05/2026, 14:11

Tutti gli orari sono UTC + 1 ora [ ora legale ]

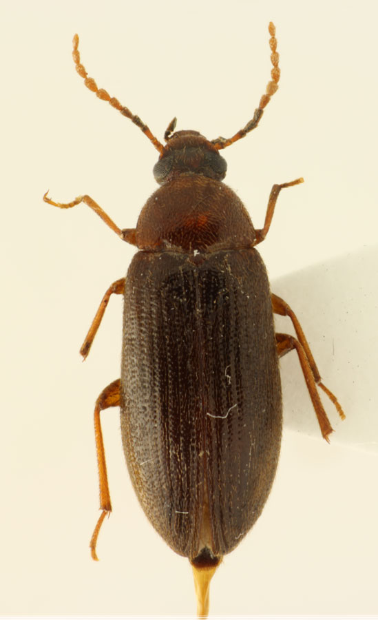
Hymenorus doublieri (Mulsant, 1851) - Tenebrionidae Alleculinae

8.VIII.2014 - SPAGNA - EE, Balearic isl., Mallorca


nuovo argomento
rispondi
Pagina 1 di 1 [ 5 messaggi ]
Autore Messaggio
MessaggioInviato: 02/03/2015, 13:32 
Avatar utente

Iscritto il: 13/04/2013, 14:10
Messaggi: 401
Località: Moscow
Nome: Ilya Zabaluev
Tenebrionidae: Alleculinae?


Aleculida_mini.jpg

Top
profilo
 Oggetto del messaggio: Re: Tenebrionidae da ID
MessaggioInviato: 03/03/2015, 20:29 
Avatar utente

Iscritto il: 05/02/2009, 17:47
Messaggi: 7252
Località: Cagliari
Nome: Piero Leo
Sì, Alleculinae. Mi sembra Hymenophorus doublieri Mulsant, 1851, ma aspettiamo Alebisca per una determinazione più sicura.

:) Ciao
Piero


Top
profilo
 Oggetto del messaggio: Re: Tenebrionidae da ID
MessaggioInviato: 04/03/2015, 8:26 
Avatar utente

Iscritto il: 02/12/2012, 18:53
Messaggi: 205
Località: roma
Nome: alessandro bruno biscaccianti
dai piero non fare il modesto... ;) la specie è quella ma il genere dovrebbe essere Hymenorus (dico dovrebbe perché ci sto lavorando, ma sono quasi certo che Hymenorus ha priorità su Hymenophorus)
ciao,
ale


Top
profilo
 Oggetto del messaggio: Re: Tenebrionidae da ID
MessaggioInviato: 04/03/2015, 10:03 
Avatar utente

Iscritto il: 13/04/2013, 14:10
Messaggi: 401
Località: Moscow
Nome: Ilya Zabaluev
Grazie! :ok:
Risultato - Hymenorus doublieri (Mulsant, 1851)?


Top
profilo
 Oggetto del messaggio: Re: Tenebrionidae da ID
MessaggioInviato: 04/03/2015, 12:14 
Avatar utente

Iscritto il: 02/12/2012, 18:53
Messaggi: 205
Località: roma
Nome: alessandro bruno biscaccianti
ciao Ilya, si dovrebbe essere corretto così...
a presto,
ale


Top
profilo
Visualizza ultimi messaggi:  Ordina per  
nuovo argomento
rispondi
Pagina 1 di 1 [ 5 messaggi ]

Tutti gli orari sono UTC + 1 ora [ ora legale ]


Chi c’è in linea

Visitano il forum: Nessuno e 4 ospiti


Non puoi aprire nuovi argomenti
Non puoi rispondere negli argomenti
Non puoi modificare i tuoi messaggi
Non puoi cancellare i tuoi messaggi
Non puoi inviare allegati

Cerca per:
Vai a: