Benvenuto Ospite

Forum Entomologi Italiani

www.entomologiitaliani.net/forum
 
Oggi è 23/12/2025, 7:02

Tutti gli orari sono UTC + 1 ora [ ora legale ]

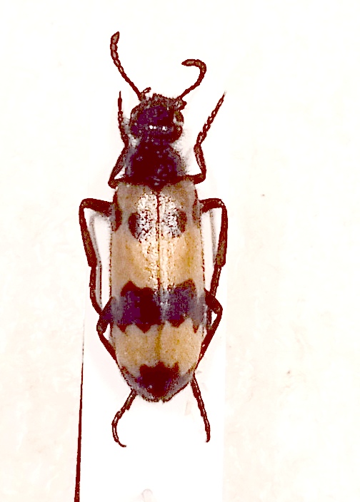
Sitaris sp. - Meloidae

13.IX.2025 - ITALIA - Molise - CB, Centro


nuovo argomento
rispondi
Pagina 1 di 1 [ 5 messaggi ]
Autore Messaggio
 Oggetto del messaggio: Sitaris sp. - Meloidae
MessaggioInviato: 17/09/2025, 11:25 
 

Iscritto il: 27/09/2010, 18:13
Messaggi: 3029
Località: Termoli (CB)
Nome: Franco ROSSI
Ripalimosani (CB) - set 2025
Foto di Franco ROSSI


Su Salvia rosmarinus


Foto di Franco ROSSI
2.JPG

Foto di Franco ROSSI
1.JPG


_________________
Franco
Top
profilo
 Oggetto del messaggio: Re: Da identificare
MessaggioInviato: 17/09/2025, 16:24 
Avatar utente

Iscritto il: 05/02/2010, 19:48
Messaggi: 355
Nome: andrea bramanti
bello bello, Meloidae, Sitaris muralis


Top
profilo
 Oggetto del messaggio: Re: Da identificare
MessaggioInviato: 17/09/2025, 16:29 
Avatar utente

Iscritto il: 05/02/2010, 19:48
Messaggi: 355
Nome: andrea bramanti
vedi però anche qui ...o solieri:

viewtopic.php?f=179&t=71346&hilit=sitaris


Top
profilo
MessaggioInviato: 18/09/2025, 9:05 
 

Iscritto il: 27/09/2010, 18:13
Messaggi: 3029
Località: Termoli (CB)
Nome: Franco ROSSI
Grazie Andrea

_________________
Franco


Top
profilo
 Oggetto del messaggio: Re: Sitaris sp. - Meloidae
MessaggioInviato: 09/12/2025, 17:20 
 

Iscritto il: 10/06/2010, 16:05
Messaggi: 823
Nome: Marco A. Bologna
La colorazione sembra più da Sitaris solieri, ma la distinzione sicura con muralis, che può avere una variazione i colorazione simile, è sicura solo guardando i lato ventrale delle unghie, dentato nella prima e liscio nella seconda specie.
Il dato è comunque interessante e se i campione è stato preso sarebbe da vedere.
Ciao, Marco Bologna


Top
profilo
Visualizza ultimi messaggi:  Ordina per  
nuovo argomento
rispondi
Pagina 1 di 1 [ 5 messaggi ]

Tutti gli orari sono UTC + 1 ora [ ora legale ]


Chi c’è in linea

Visitano il forum: Nessuno e 0 ospiti


Non puoi aprire nuovi argomenti
Non puoi rispondere negli argomenti
Non puoi modificare i tuoi messaggi
Non puoi cancellare i tuoi messaggi
Non puoi inviare allegati

Cerca per:
Vai a:  
cron