| Forum Entomologi Italiani https://www.entomologiitaliani.net/public/forum/phpbb3/ |
|
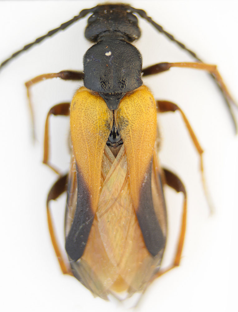
| Sitaris sp.-Meloidae da determinare https://www.entomologiitaliani.net/public/forum/phpbb3/viewtopic.php?f=179&t=25841 |
Pagina 1 di 1 |
| Autore: | Joro [ 20/08/2011, 15:44 ] | ||
| Oggetto del messaggio: | Sitaris sp.-Meloidae da determinare | ||
Length-12mm.
|
|||
| Pagina 1 di 1 | Tutti gli orari sono UTC + 1 ora [ ora legale ] |
| Powered by phpBB® Forum Software © phpBB Group http://www.phpbb.com/ |
|