| Forum Entomologi Italiani https://www.entomologiitaliani.net/public/forum/phpbb3/ |
|
| Euzonitis sexmaculata (A. G. Olivier, 1789) - Meloidae https://www.entomologiitaliani.net/public/forum/phpbb3/viewtopic.php?f=179&t=29611 |
Pagina 1 di 1 |
| Autore: | Entomofou [ 13/12/2011, 20:46 ] |
| Oggetto del messaggio: | Euzonitis sexmaculata (A. G. Olivier, 1789) - Meloidae |
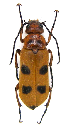
Dear Colleagues, I am looking for the name of this species, found in central Spain : 13 mm Probably Zonitis or Nemognatha ? Regards, Stéphane |
|
| Autore: | Marco A. Bologna [ 25/10/2016, 15:17 ] |
| Oggetto del messaggio: | Re: From Spain... Meloidae |
It is Euzonitis sexamaculata. Marco Bologna |
|
| Pagina 1 di 1 | Tutti gli orari sono UTC + 1 ora [ ora legale ] |
| Powered by phpBB® Forum Software © phpBB Group http://www.phpbb.com/ |
|