| Autore |
Messaggio |
|
Enoplium
|
Inviato: 08/02/2019, 17:29 |
|
Iscritto il: 18/06/2009, 16:54 Messaggi: 1093 Località: Casalecchio di Reno (BO)
Nome: Iuri Zappi
|
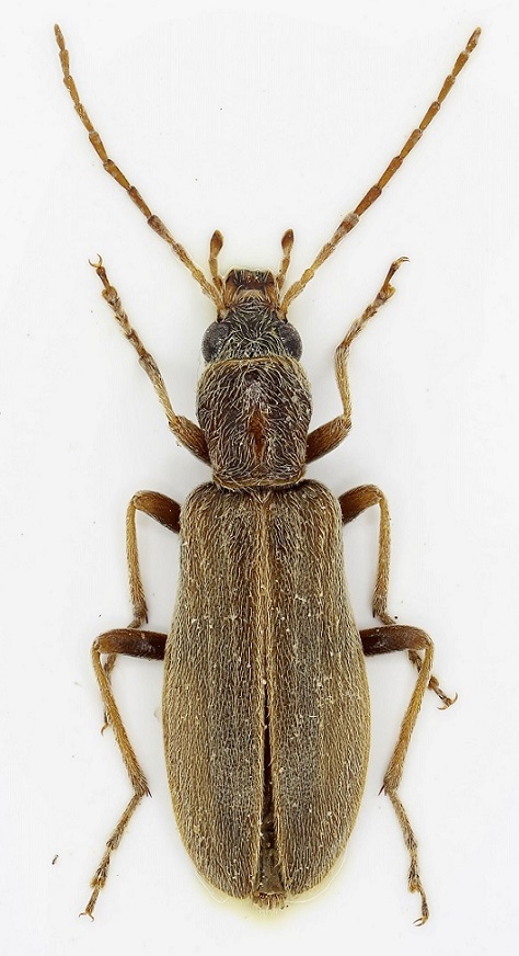
Questi 2 exx. li ho trovati in accoppiamento in una zona salmastra su Salicornia sp. Sicuramente sul FEI ci sarà qualche estimatore di questa interessante famiglia. Grazie in anticipo per ogni suggerimento sulla specie.
Lunghezza = 7,3 mm Femmina

|
Lunghezza = 6,2 mm Maschio

|
|
|
| Top |
|
 |
|
Plagionotus
|
Inviato: 08/02/2019, 18:16 |
|
Iscritto il: 21/05/2009, 14:59 Messaggi: 6995 Località: Parigi
Nome: Riccardo Poloni
|
Ciao Iuri, come ti dicevo ieri su watsapp è molto improbabile che gli Oedemeridi dell'Oman si possano identificare da foto. Questa però è una quasi eccezione. E' una Chitona del gruppo fucata: questo genere di Oedemeridi è specializzato proprio sulle piante di ambienti salati o di litorale e tutte le specie sono molto interessanti! Si raccolgono sui fiori e spesso con un caldo atroce. Nessuna è citata dell'Oman e per una identificazione certa bisogna estrarre il maschio (il secondo esemplare mi pare proprio un maschio). In ogni caso, visto che le specie più vicine sono dell'Iran e Turchia e considerato il periodo molto tardivo, c'è una certa probabilità che sia nuova  . Sarei molto contento di poterle esaminare meglio  . Quando arrivo a casa controllo meglio sulle pubblicazioni ma direi di confermare quanto ti ho scritto.
_________________ Riccardo Poloni La dignità degli elementi la libertà della poesia, al di là dei tradimenti degli uomini è magia, è magia, è magia... Negrita, Rotolando verso sud
|
|
| Top |
|
 |
|
Enoplium
|
Inviato: 09/02/2019, 16:19 |
|
Iscritto il: 18/06/2009, 16:54 Messaggi: 1093 Località: Casalecchio di Reno (BO)
Nome: Iuri Zappi
|
|
Bene!! Avrai modo di approfondire lo studio. Posso confermarti che il caldo era atroce. In tutta l'area salmastra esplorata, ho raccolto solo 2 specie di Cicindelidae oltre i pochi exx. di questa specie di Oedemeridae tutti concentrati su tre piantine piuttosto racchie di salicornia in fiore. Per il resto il nulla assoluto.
|
|
| Top |
|
 |
|
Plagionotus
|
Inviato: 09/02/2019, 17:11 |
|
Iscritto il: 21/05/2009, 14:59 Messaggi: 6995 Località: Parigi
Nome: Riccardo Poloni
|
È proprio un ambiente da Chitona! Mi farà molto piacere vederla, anche perchè nel peggiore dei casi è nuova per l'Oman 
_________________ Riccardo Poloni La dignità degli elementi la libertà della poesia, al di là dei tradimenti degli uomini è magia, è magia, è magia... Negrita, Rotolando verso sud
|
|
| Top |
|
 |
|
Plagionotus
|
Inviato: 31/07/2022, 21:34 |
|
Iscritto il: 21/05/2009, 14:59 Messaggi: 6995 Località: Parigi
Nome: Riccardo Poloni
|
|
Questo esemplare, insieme agli altri che Iuri mi ha gentilmente dato in studio e ad altri reperiti in alcuni musei europei, si è rivelato come appartenente ad una specie nuova per la scienza che ho descritto come Probosca (Proboxantha) coniuncta, perchè il curatore del museo di Praga, scomparso alcuni anni fa, aveva anche lui individuato questa specie come nuova. Ironia della sorte, ho trovato in una scatola da magazzino la serie tipica, già cartellinata come nuovo taxon, quando sono andato al museo di Praga per studiare Chitona e Probsca della penisola arabica.
_________________ Riccardo Poloni La dignità degli elementi la libertà della poesia, al di là dei tradimenti degli uomini è magia, è magia, è magia... Negrita, Rotolando verso sud
|
|
| Top |
|
 |
|
Clickie
|
Inviato: 31/07/2022, 21:55 |
|
Iscritto il: 13/10/2010, 18:21 Messaggi: 2004
Nome: Andrea Liberto
|
|
Vogliamo il lavoro. Sennò, dacci indietro i soldi del biglietto.
A.
|
|
| Top |
|
 |
|
Plagionotus
|
Inviato: 01/08/2022, 12:55 |
|
Iscritto il: 21/05/2009, 14:59 Messaggi: 6995 Località: Parigi
Nome: Riccardo Poloni
|
|
A Andrea l'ho già mandato e per chi volesse, ovviamente, basta un mp! Purtroppo non posso metterlo sul forum perchè non è open access.
_________________ Riccardo Poloni La dignità degli elementi la libertà della poesia, al di là dei tradimenti degli uomini è magia, è magia, è magia... Negrita, Rotolando verso sud
|
|
| Top |
|
 |
|