| Forum Entomologi Italiani https://www.entomologiitaliani.net/public/forum/phpbb3/ |
|
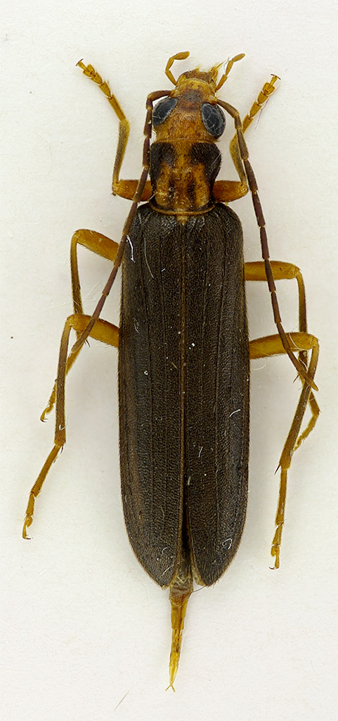
| Nacerdes (Xanthochroa) carniolica carniolica (Gistl, 1834) - Oedemeridae https://www.entomologiitaliani.net/public/forum/phpbb3/viewtopic.php?f=180&t=20321 |
Pagina 1 di 1 |
| Autore: | Sleepy Moose [ 12/04/2011, 16:44 ] |
| Oggetto del messaggio: | Nacerdes (Xanthochroa) carniolica carniolica (Gistl, 1834) - Oedemeridae |
Non mi sembra di averla vista sul forum (sicuramente c'è ma non l'ho notata )Catturata in numero "copioso" con trappole aeree. IT-TOSCANA m 347 Dicomano (FI) loc. Vicigliano N 43°54'31.4" E 11°30'46.2" Trappola aerea 19.VII.2010 C. Massarone leg lungh. mm. 14 circa Se a qualcuno interessano, ne ho in abbondanza |
|
| Autore: | krep [ 12/04/2011, 17:08 ] |
| Oggetto del messaggio: | Re: Cantaride? |
Oedemeridae My tip is some about gen. Nacerdes
|
|
| Autore: | clido [ 12/04/2011, 17:13 ] |
| Oggetto del messaggio: | Re: Cantaride? |
Credo possa trattarsi di Nacerdes (Xanthochroa) carniolica (Gistl, 1834) |
|
| Autore: | FORBIX [ 12/04/2011, 17:16 ] |
| Oggetto del messaggio: | Re: Cantaride? |
Anche per me Nacerdes Nacerdes (Xanthochroa) carniolica (Gistl, 1834) Dai un occhiata alla mia: viewtopic.php?f=180&t=9567&hilit=Nacerdes |
|
| Autore: | Sleepy Moose [ 12/04/2011, 17:27 ] |
| Oggetto del messaggio: | Re: Cantaride? |
E ti pareva .... Due giorni fa ho postato questo credendolo un Oedemeride ..... ed era un Cantaride. Oggi questo qua credendolo un Cantaride .... ed è un Oedemeride. Comunque grazie a tutti. |
|
| Pagina 1 di 1 | Tutti gli orari sono UTC + 1 ora [ ora legale ] |
| Powered by phpBB® Forum Software © phpBB Group http://www.phpbb.com/ |
|