| Forum Entomologi Italiani https://www.entomologiitaliani.net/public/forum/phpbb3/ |
|
| Oedemera (Oedemera) atrata W.Schmidt, 1846 - Oedemeridae https://www.entomologiitaliani.net/public/forum/phpbb3/viewtopic.php?f=180&t=21597 |
Pagina 1 di 1 |
| Autore: | ilio [ 13/05/2011, 22:20 ] |
| Oggetto del messaggio: | Oedemera (Oedemera) atrata W.Schmidt, 1846 - Oedemeridae |
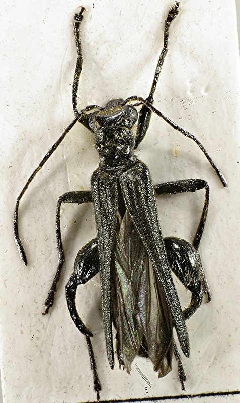
potrebbe essere Oedemera (Oedemera) atrata (W. Schmidt, 1846)? molto numerose su svariati fiori 7,5 mm 8,5 mm |
|
| Autore: | ilio [ 16/05/2011, 21:02 ] |
| Oggetto del messaggio: | Re: Oedemera? |
nessuno conferma
|
|
| Autore: | Livio [ 22/05/2011, 15:33 ] |
| Oggetto del messaggio: | Re: Oedemera? |
Anche a me sembra Oedemera (Oedemera) atrata W. Schmidt 1846, ma aspettare pareri autorevoli sarebbe una cosuccia più che sensata .
|
|
| Autore: | Andricus [ 28/05/2011, 19:41 ] |
| Oggetto del messaggio: | Re: Oedemera? |
Confermo!
|
|
| Pagina 1 di 1 | Tutti gli orari sono UTC + 1 ora [ ora legale ] |
| Powered by phpBB® Forum Software © phpBB Group http://www.phpbb.com/ |
|