| Autore |
Messaggio |
|
Sleepy Moose
|
Inviato: 30/08/2011, 15:51 |
|
Iscritto il: 21/05/2010, 23:05 Messaggi: 2984 Località: San Godenzo (FI)
Nome: Carlo Massarone
|
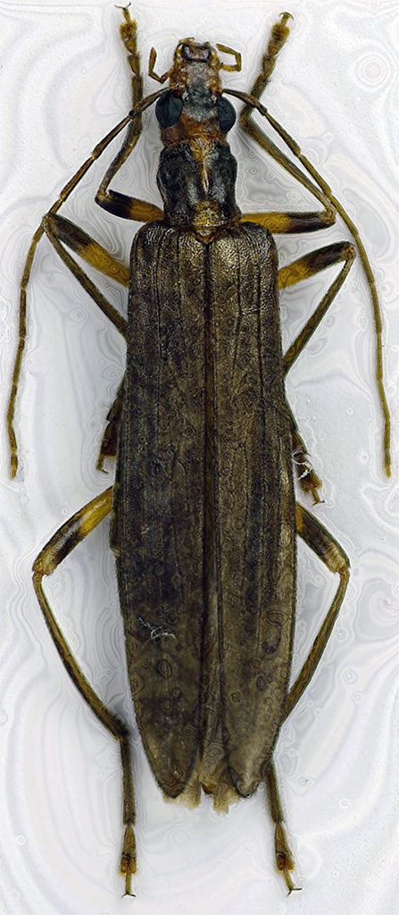
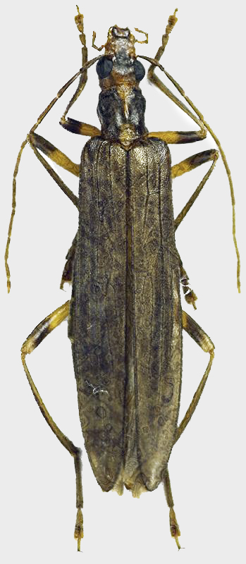
Questo è il coleottero che in un primo momento avevo scambiato per un Vesperus Appena tolto dalla bustina, ieri sera, mi sono reso conto della cantonata che avevo preso. D'altra parte, se effettivamente è un Oedemeride, non ne avevo mai visti di così grandi (20 mm circa). Anche in questa foto mi è venuto quell'antipatico effetto "mare di colla" (Ho provato a combinare diverse volte le varie foto ma il risultato è sempre lo stesso)
_________________ Carlo Massarone
|
|
| Top |
|
 |
|
StagBeetle
|
Inviato: 30/08/2011, 16:40 |
|
Iscritto il: 10/05/2009, 15:30 Messaggi: 7182 Località: Ancona
Nome: Giacomo Giovagnoli
|
|
Credo proprio femmina di Oedemera (Oncomera) femoralis Olivier, 1803 - Oedemeridae Oedemerinae Oedemerini. Il maschio è caratteristico per i femori posteriori ingrossati.
_________________  Giacomo
|
|
| Top |
|
 |
|
Maw89
|
Inviato: 30/08/2011, 16:47 |
|
Iscritto il: 08/06/2009, 0:06 Messaggi: 3415 Località: Feltre(BL)
Nome: Nicola Dal Zotto
|
Che sistema di illuminazione usi?? In ogni caso... basta mettere un poco di #ececec (ovviamente non facendolo in mezzo minuto a questa risoluzione, ma fatto come si deve) 
_________________ Nicola Dal Zotto
|
|
| Top |
|
 |
|
Entomarci
|
Inviato: 30/08/2011, 16:59 |
|
Iscritto il: 05/08/2009, 18:02 Messaggi: 2264
Nome: Marcello Benelli
|
|
C'è da dire che immagini come queste fanno pensare molto in termini evoluzionistici. Il capo e il pronoto sembrano ad una visione d'insieme quelli di un rhagino... Pensa che quando mi sono loggato per un attimo ho pensato: "qualcuno ha pubblicato la foto di un lepthorrabdium"...
_________________ Marci "S'i fosse fuoco, arderei 'l mondo, S'i fosse vento, lo tempesterei, S'i fosse acqua, i' l'annegherei s'i fosse dio, mandereil' en profondo" ( Cecco Angiolieri).
|
|
| Top |
|
 |
|
Julodis
|
Inviato: 30/08/2011, 17:01 |
|
Iscritto il: 30/12/2009, 22:20 Messaggi: 31564 Località: Roma
Nome: Maurizio Gigli
|
|
Ciao Carlo, confermo la determinazione di Stag. E' comunque una bella bestia, che non si trova di frequente (direi meno frequente di Vesperus luridus).
L'effetto "mare di colla" di solito si verifica quando combini foto in cui hai scattato a salti, ovvfero sei andato avanti, poi ti sei accorto che avevi saltato qualche piano e hai fatto altre foto. Per funzionare bene, lo stacking deve avere le foto in sequenza con i piani focali dall'alto al basso, oppure al contrario, dall'alto al basso. Bollino ed io (cito noi due perchè lo so) partiamo dal punto più alto e scendiamo, ma c'è chi fa al contrario. Era già successo qualcosa di simile mi pare a Plagionotus, tempo fa.
|
|
| Top |
|
 |
|
Maw89
|
Inviato: 30/08/2011, 17:20 |
|
Iscritto il: 08/06/2009, 0:06 Messaggi: 3415 Località: Feltre(BL)
Nome: Nicola Dal Zotto
|
Julodis ha scritto: Ciao Carlo, confermo la determinazione di Stag. E' comunque una bella bestia, che non si trova di frequente (direi meno frequente di Vesperus luridus).
L'effetto "mare di colla" di solito si verifica quando combini foto in cui hai scattato a salti, ovvfero sei andato avanti, poi ti sei accorto che avevi saltato qualche piano e hai fatto altre foto. Per funzionare bene, lo stacking deve avere le foto in sequenza con i piani focali dall'alto al basso, oppure al contrario, dall'alto al basso. Bollino ed io (cito noi due perchè lo so) partiamo dal punto più alto e scendiamo, ma c'è chi fa al contrario. Era già successo qualcosa di simile mi pare a Plagionotus, tempo fa. Anch'io parto dall'alto:)
_________________ Nicola Dal Zotto
|
|
| Top |
|
 |
|
Sleepy Moose
|
Inviato: 30/08/2011, 18:45 |
|
Iscritto il: 21/05/2010, 23:05 Messaggi: 2984 Località: San Godenzo (FI)
Nome: Carlo Massarone
|
|
Maurizio: avevo letto in una discussione sullo stacking che le foto vanno scattate in sequenza, senza salti, e ti posso assicurare che io ho fatto sempre così. Non ho mai fatto scatti che non siano in sequenza (anch'io, solitamente, comincio dall'alto a scendere).
Nicola: Per l'illuminazione uso una base con tre faretti a led, tipo una di quelle che usa Maurizio Bollino (postata qui sul forum tempo fa). .... Bisogna che mi legga per bene i vostri tutorial e consigli per le correzioni di postproduzione.
Grazie per la determinazione.
P.S.: Le elitre non sono molto simmetriche perchè purtroppo, stando in bustina insieme ad altri insetti, si è un po' schiacciato.
_________________ Carlo Massarone
|
|
| Top |
|
 |
|