| Forum Entomologi Italiani https://www.entomologiitaliani.net/public/forum/phpbb3/ |
|
| Nacerdes (Xanthochroa) carniolica carniolica (Gistl, 1834) - Oedemeridae https://www.entomologiitaliani.net/public/forum/phpbb3/viewtopic.php?f=180&t=38294 |
Pagina 1 di 1 |
| Autore: | Marchino [ 10/09/2012, 17:07 ] |
| Oggetto del messaggio: | Nacerdes (Xanthochroa) carniolica carniolica (Gistl, 1834) - Oedemeridae |
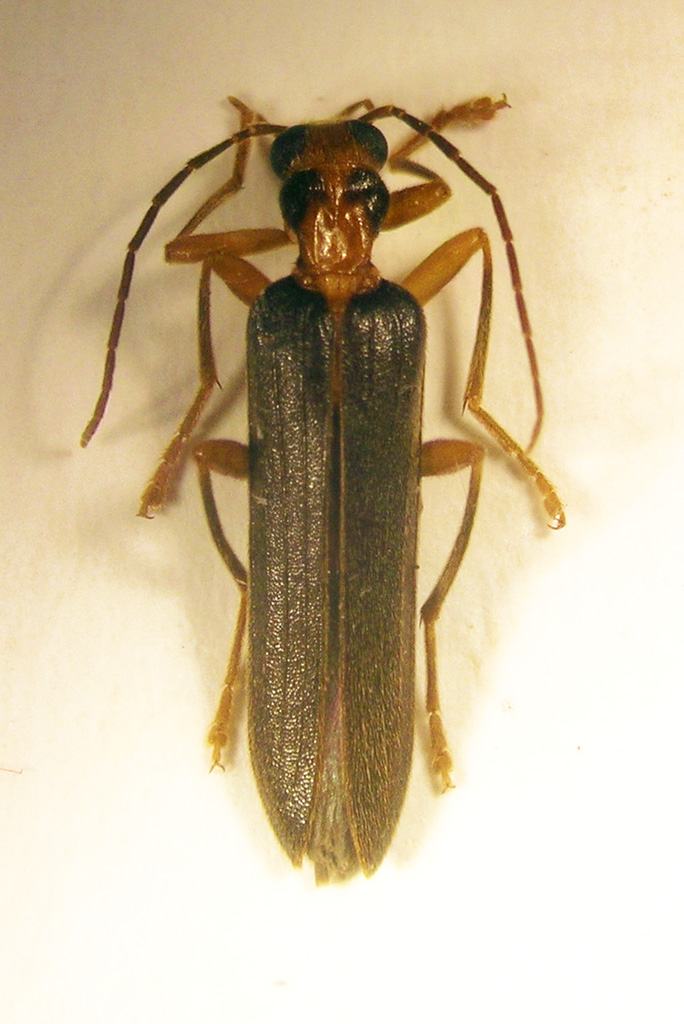
Attratto dalla luce. Di cosa si tratta? Dimensioni 12 mm |
|
| Autore: | krep [ 10/09/2012, 17:10 ] |
| Oggetto del messaggio: | Re: Coleottero da identificare |
Oedemeridae
|
|
| Autore: | Marchino [ 10/09/2012, 17:36 ] |
| Oggetto del messaggio: | Re: Coleottero da identificare |
Potrebbe allora essere Nacerdes (Xanthochroa) carniolica (Gistl 1834)? |
|
| Autore: | alexaandru [ 10/09/2012, 17:37 ] |
| Oggetto del messaggio: | Re: Coleottero da identificare |
Marchino ha scritto: Potrebbe allora essere Nacerdes (Xanthochroa) carniolica (Gistl 1834)? It is for me
|
|
| Autore: | FORBIX [ 10/09/2012, 17:54 ] |
| Oggetto del messaggio: | Re: Coleottero da identificare |
E' lei, รจ lei!
|
|
| Pagina 1 di 1 | Tutti gli orari sono UTC + 1 ora [ ora legale ] |
| Powered by phpBB® Forum Software © phpBB Group http://www.phpbb.com/ |
|