| Forum Entomologi Italiani https://www.entomologiitaliani.net/public/forum/phpbb3/ |
|
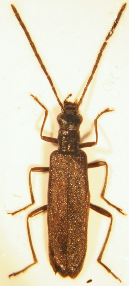
| Opsimea ventralis Miller in Reitter, 1880 - Oedemeridae https://www.entomologiitaliani.net/public/forum/phpbb3/viewtopic.php?f=180&t=41332 |
Pagina 1 di 1 |
| Autore: | togaspain [ 23/12/2012, 22:56 ] | ||
| Oggetto del messaggio: | Opsimea ventralis Miller in Reitter, 1880 - Oedemeridae | ||
dimensione: 5 mm
|
|||
| Autore: | Enrico Ruzzier [ 24/12/2012, 0:46 ] |
| Oggetto del messaggio: | Re: Oedemeridae |
From the picture is not clear .. In my opinion could be a female of Oedemera (Oedemera) virescens ( Linnaeus, 1767)
|
|
| Autore: | Clickie [ 24/12/2012, 17:58 ] |
| Oggetto del messaggio: | Re: Oedemeridae |
Più probabilmente Opsimea ventralis. Ciao, A.
|
|
| Autore: | Honza [ 24/12/2012, 18:11 ] |
| Oggetto del messaggio: | Re: Oedemeridae |
Opsimea ventralis Miller in Reitter, 1880 viewtopic.php?f=180&t=841&view=next Oedemera (Oedemera) virescens ( Linnaeus, 1767) http://coleoptera.ksib.pl/kfp/search.php?img=4924 Oedemeridae key http://www.coleo-net.de/coleo/texte/oedemeridae.htm |
|
| Autore: | togaspain [ 29/12/2012, 0:37 ] |
| Oggetto del messaggio: | Re: Oedemeridae |
immagine non era troppo buono, ma secondo il vostro parere ho potuto vedere che questo è senza dubbio Opsimea ventralis grazie a tutti!
|
|
| Pagina 1 di 1 | Tutti gli orari sono UTC + 1 ora [ ora legale ] |
| Powered by phpBB® Forum Software © phpBB Group http://www.phpbb.com/ |
|