| Forum Entomologi Italiani https://www.entomologiitaliani.net/public/forum/phpbb3/ |
|
| Oedemera (Oedemera) barbara (Fabricius, 1792) - Oedemeridae https://www.entomologiitaliani.net/public/forum/phpbb3/viewtopic.php?f=180&t=45778 |
Pagina 1 di 1 |
| Autore: | Limonium calabrum [ 28/06/2013, 22:45 ] |
| Oggetto del messaggio: | Oedemera (Oedemera) barbara (Fabricius, 1792) - Oedemeridae |
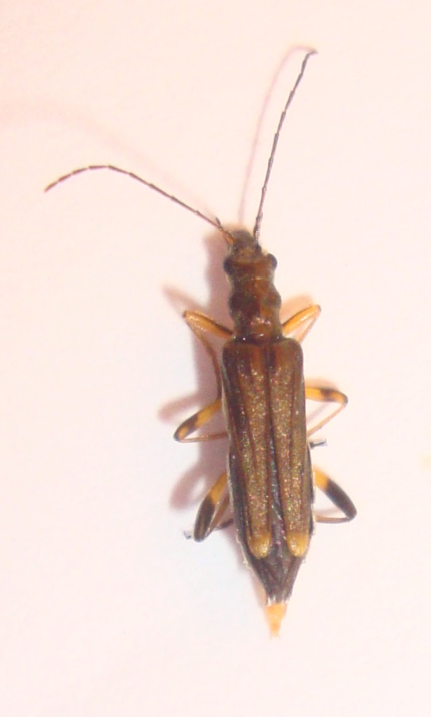
Questa Oedemera l'ho raccolta sfalciando ai margini di un castagneto. cercando su internet mi sono orientato verso Oedemera (Oedemera) barbara (Fabricius, 1792) secondo voi si può confermare? Calabria - RC- Cerasi, c.a 1km a S - 38°08'53''N 15°45'12'' E 750m s.l.m - 19.VI.2013 - L.Arcorace legit Dimensioni:8 mm |
|
| Autore: | Junger [ 29/06/2013, 1:55 ] |
| Oggetto del messaggio: | Re: Oedemera (Oedemera) barbara (Fabricius, 1792) - Calabria |
Salve , Io sarei orientato invece verso : Oedemera podagrariae (Linnaeus, 1767) - femmina. Sentiamo altri pareri , però. Ciao, Gerardo. |
|
| Autore: | Limonium calabrum [ 30/06/2013, 12:16 ] |
| Oggetto del messaggio: | Re: Oedemera (Oedemera) barbara (Fabricius, 1792) - Calabria |
Ciao Gerardo, grazie mille per le risposte io mi ero basato sulla breve guida identifica a questa pagina http://www.naturamediterraneo.com/forum ... C_ID=58364 |
|
| Pagina 1 di 1 | Tutti gli orari sono UTC + 1 ora [ ora legale ] |
| Powered by phpBB® Forum Software © phpBB Group http://www.phpbb.com/ |
|