Benvenuto Ospite

Forum Entomologi Italiani

www.entomologiitaliani.net/forum
 
Oggi è 28/04/2026, 12:27

Tutti gli orari sono UTC + 1 ora [ ora legale ]

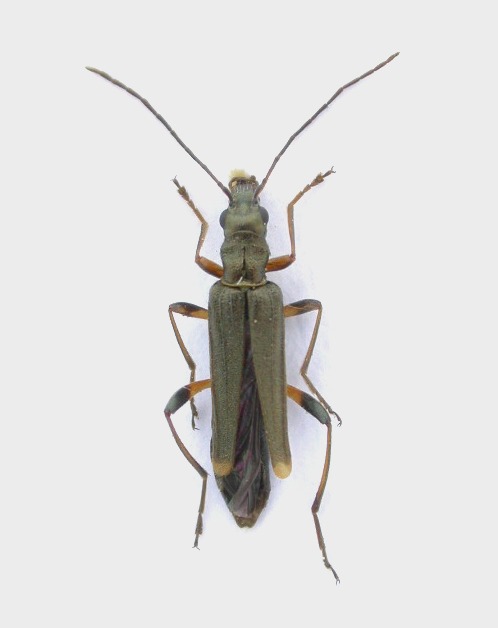
Oedemera (Oedemera) barbara (Fabricius, 1792) Dettagli della specie

7.V.2013 - ITALIA - Sardegna - OT, isola di Tavolara, leg. R. Rattu


nuovo argomento
rispondi
Pagina 1 di 1 [ 1 messaggio ]
Autore Messaggio
MessaggioInviato: 16/07/2013, 12:46 
Avatar utente

Iscritto il: 02/09/2009, 20:57
Messaggi: 8703
Località: Cagliari
Nome: Roberto Rattu
Uno dei diversi oedemeridi raccolti a Tavolara: questa l'avrei determinata come Oedemera barbara. L'esemplare è lungo 5.5 mm:

DSCN4996.JPG



Top
profilo
Visualizza ultimi messaggi:  Ordina per  
nuovo argomento
rispondi
Pagina 1 di 1 [ 1 messaggio ]

Tutti gli orari sono UTC + 1 ora [ ora legale ]


Chi c’è in linea

Visitano il forum: Nessuno e 1 ospite


Non puoi aprire nuovi argomenti
Non puoi rispondere negli argomenti
Non puoi modificare i tuoi messaggi
Non puoi cancellare i tuoi messaggi
Non puoi inviare allegati

Cerca per:
Vai a: