| Forum Entomologi Italiani https://www.entomologiitaliani.net/public/forum/phpbb3/ |
|
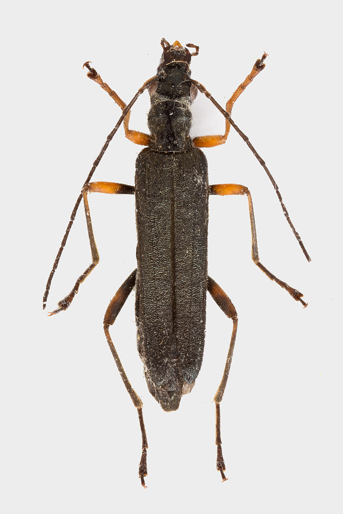
| Oedemera (Stenaxis) annulata German, 1824 - Oedemeridae https://www.entomologiitaliani.net/public/forum/phpbb3/viewtopic.php?f=180&t=52748 |
Pagina 1 di 1 |
| Autore: | Maw89 [ 17/04/2014, 12:45 ] |
| Oggetto del messaggio: | Oedemera (Stenaxis) annulata German, 1824 - Oedemeridae |
Penso sia un Oedemeridae, ma cosa sia più in dettaglio non ci arrivo proprio... ne ho presa una coppia l'anno scorso ed era frequente (quest'anno vedo di prenderlo e prepararlo/fotografarlo meglio!). Scusate le foto non proprio buone |
|
| Autore: | Enrico Ruzzier [ 17/04/2014, 14:54 ] |
| Oggetto del messaggio: | Re: Oedemeridae |
Oedemera (Stenaxis) annulata Germar, 1824
|
|
| Autore: | Julodis [ 17/04/2014, 17:00 ] |
| Oggetto del messaggio: | Re: Oedemera (Stenaxis) annulata German, 1824 - Oedemeridae |
Curioso edeago a freccia. E' una caratteristica specifica o è una cosa comune tra gli Oedemeridae? |
|
| Autore: | Apoderus [ 17/04/2014, 18:21 ] |
| Oggetto del messaggio: | Re: Oedemera (Stenaxis) annulata German, 1824 - Oedemeridae |
non vorrei far concorrenza al Paglia, ma direi che è la maserati dei coleotteri
|
|
| Autore: | Enrico Ruzzier [ 17/04/2014, 18:42 ] |
| Oggetto del messaggio: | Re: Oedemera (Stenaxis) annulata German, 1824 - Oedemeridae |
Julodis ha scritto: Curioso edeago a freccia. E' una caratteristica specifica o è una cosa comune tra gli Oedemeridae? È un carattere comune in diversi Oedemeridae possedere un apice dell'edeago a freccia, determinato da sue processi chitinosi rivolti postero-lateralmente
|
|
| Autore: | Maw89 [ 17/04/2014, 19:15 ] |
| Oggetto del messaggio: | Re: Oedemera (Stenaxis) annulata German, 1824 - Oedemeridae |
Grazie mille!!! Quindi questa guida non è affidabile...http://www.naturamediterraneo.com/forum ... C_ID=58364 |
|
| Autore: | Chalybion [ 17/04/2014, 19:53 ] |
| Oggetto del messaggio: | Re: Oedemera (Stenaxis) annulata German, 1824 - Oedemeridae |
Forse perchè il sottogenere Stenaxis è talora elevato a genere: quella chiave infatti non la comprende e poi all'inizio è specificato che alcune specie mancano. Io utilizzo "European fauna of Oedemeridae" di X. A. Vasquez, valido per l'Europa.
|
|
| Pagina 1 di 1 | Tutti gli orari sono UTC + 1 ora [ ora legale ] |
| Powered by phpBB® Forum Software © phpBB Group http://www.phpbb.com/ |
|