| Autore |
Messaggio |
|
Apoderus
|
Inviato: 28/04/2014, 19:02 |
|
Iscritto il: 08/02/2010, 23:01 Messaggi: 6188 Località: Vicenza
Nome: Silvano Biondi
|
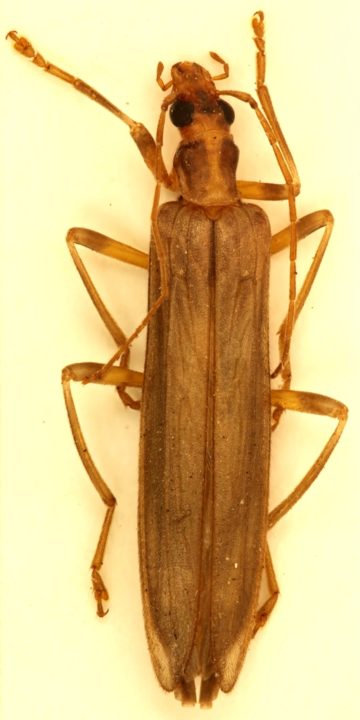
15 mm, battendo cespugli in cerreta Questa dovrebbe essere la femmina (vado a fotografare il maschio) 
_________________
Silvano
|
|
| Top |
|
 |
|
Andricus
|
Inviato: 28/04/2014, 19:14 |
|
Iscritto il: 01/07/2010, 22:26 Messaggi: 5663 Località: Viterbo
Nome: Marco Selis
|
Oedemera (Oncomera) femoralis Olivier, 1803 - Oedemeridae 
|
|
| Top |
|
 |
|
Apoderus
|
Inviato: 28/04/2014, 19:28 |
|
Iscritto il: 08/02/2010, 23:01 Messaggi: 6188 Località: Vicenza
Nome: Silvano Biondi
|
Grazie Marco. 
_________________
Silvano
|
|
| Top |
|
 |
|
Clickie
|
Inviato: 23/11/2021, 2:25 |
|
Iscritto il: 13/10/2010, 18:21 Messaggi: 1997
Nome: Andrea Liberto
|
|
Interessantissima la data di raccolta.
E anche la quota, sebbene io ne abbia esemplari raccolti anche in piano. Ma...
E pure la statura. Mi confermi i 15 mm ?
Grazie in anticipo, A.
|
|
| Top |
|
 |
|
Apoderus
|
Inviato: 23/11/2021, 17:28 |
|
Iscritto il: 08/02/2010, 23:01 Messaggi: 6188 Località: Vicenza
Nome: Silvano Biondi
|
Ciao Andrea. Mi hai costretto ad un lavoro da speleologo, nelle profondità pochissimo frequentate della mia collezione extra-attelabidi (sarebbe più esatto deposito, magazzino, ...). E' stato anche utile, ho urgentemente ricoverato in freezer due scatoline con molti antreni. Ahi, caducità della vita e delle collezioni. I due edemeridi pugliesi ora sono davanti a me, intatti in tutti i loro 15 mm (la femmina qualcosa di più). Confermo data e quota. Se rivestono un qualche interesse, ovviamente sono tuoi. 
_________________
Silvano
|
|
| Top |
|
 |
|
Clickie
|
Inviato: 23/11/2021, 22:10 |
|
Iscritto il: 13/10/2010, 18:21 Messaggi: 1997
Nome: Andrea Liberto
|
|
Grazie per la pronta risposta, Silvano.
Un'occhiata ai tuoi esemplari la darei volentierissimo (poi ti racconto perché in MP, appena riesco), e magari sarà il caso prima o poi che tu ne dia una ai miei pochissimissimi Attelabidi (peraltro già visti dal comune amico Enzo), ma hai visto mai ci fosse qualcosa che per qualche ragione ti interessa. Che so, Grecia, Canarie.
A Roma ci sei già capitato, se prevedi di venire in futuro dimmelo in anticipo e cerco di eviscerare il freezer. Magari non ci riesco lo stesso, ma almeno quel che ho di preparato te lo sottopongo.
Ciao e grazie ancora, A.
|
|
| Top |
|
 |
|
Apoderus
|
Inviato: 27/11/2021, 11:37 |
|
Iscritto il: 08/02/2010, 23:01 Messaggi: 6188 Località: Vicenza
Nome: Silvano Biondi
|
Clickie ha scritto: Un'occhiata ai tuoi esemplari la darei volentierissimo (poi ti racconto perché in MP, appena riesco) caro Andrea, ora che hai innescato la mia curiosità, non pensare di poterla eludere facilmente. Quindi? 
_________________
Silvano
|
|
| Top |
|
 |
|
Clickie
|
Inviato: 27/11/2021, 23:27 |
|
Iscritto il: 13/10/2010, 18:21 Messaggi: 1997
Nome: Andrea Liberto
|
|
Caro Silvano,
in breve: mi sto baloccando con alcune "stranezze" che riguardano questa specie, poco nota in generale (corologia in Italia, biologia larvale dettagliata, ecc.) e di cui sto radunando un materiale via via più cospicuo.
Sarebbe specie politipica, cosa che non mi convince affatto, ma non mi addentro nella questione.
Da chiarire, o almeno da descrivere, altri aspetti.
La fenologia degli adulti sembra concentrarsi tra giugno e luglio, la statura media degli esemplari raccolti in piena stagione estiva è cospicua e poco variabile. La maggior parte dei reperti noti si colloca in aree montane o alto-collinari (il che non stupisce, trattandosi di specie con larva saproxilica, visto che i complessi forestali nel nostro Paese sono "amputati" alle quote medio-basse e ormai quasi ovunque sostituiti da coltivi-frutteti-pascoli-capannoni-concessionarie auto-stazioni di servizio....)
Poi ecco comparire popolazioni "marginali" per epoca di sfarfallamento, quota, ecc.
In particolare, c'è una generazione autunnale che ha pure ricevuto un nome (oggi sinonimizzato), e si distingue per la statura nettamente minore.
Ecco, tutto qui. Curiosità.
A.
|
|
| Top |
|
 |
|
Apoderus
|
Inviato: 28/11/2021, 9:50 |
|
Iscritto il: 08/02/2010, 23:01 Messaggi: 6188 Località: Vicenza
Nome: Silvano Biondi
|
Grazie Andrea. Con questi chiari di luna ci si muove molto meno: vediamo di trovare un modo per farti avere gli esemplari. 
_________________
Silvano
|
|
| Top |
|
 |
|
Apoderus
|
Inviato: 12/09/2022, 17:32 |
|
Iscritto il: 08/02/2010, 23:01 Messaggi: 6188 Località: Vicenza
Nome: Silvano Biondi
|
Andrea, io sabato prossimo sono a Modena: c'è la possibilità che possa consegnare i due esemplari a te o a qualcuno che te li recapiti? 
_________________
Silvano
|
|
| Top |
|
 |
|
Clickie
|
Inviato: 13/09/2022, 1:12 |
|
Iscritto il: 13/10/2010, 18:21 Messaggi: 1997
Nome: Andrea Liberto
|
|
Ecco, Silvano, già mi hai regalato un bel respiro.
Grazie per esserti ricordato, e comunque il tuo reperto era già stato scritto da tempo nello scribacchiando lavoro sulla corologia di alcuni edemeridi notturni, cui mi dedico a singhiozzo......! hic !
A Modena non ci sarò, come peraltro mai in passato, giacché per varie circostanze ricorrenti sono uso prendere le ferie proprio in questo periodo. Ci saranno senz'altro almeno due amici e colleghi romani: Daniele Baiocchi e Giorgio Narducci.
Inoltre inciamperai nel banchetto (non inteso in senso gastronomico, spero) dell'ARDE, dove troverai il giovialissimo neo presidente Vincenzo Vomero. La bestiola arriverà a Roma senz'altro. Mi risparmi pure la complicata citazione del "post su forum FEI".
Non scherzo, è un problemino che con il comitato di redazione del bollettino dell'ARDE, che indegnamente dirigo, stiamo cercando di affrontare e risolvere. Per stabilire, almeno per la nostra rivista, uno standard di citazione dei reperti ex forum che faccia da guida per gli autori nella compilazione della bibliografia.
Grazie ancora, mi ritengo in debito. A.
P.S.: nel viaggio in Grecia di maggio ho tentato quanto concordammo via MP. Non ho lasciato aceri indenni e non debitamente bacchiati, ma a parte qualche comune Phyllobius o Polydrusus, non è caduto nulla di serio. Le caratteristiche dell'anno, dal punto di vista climatico, sono state straordinariamente inconsuete. Al livello del mare, la sera, maglione obbligatorio se volevi mangiar fuori (e come sai, in Grecia si mangia obbligatoriamente fuori).
Grecale gelido insistente, i coleotteri che abitualmente volano a mezza mattina che attendevano invece il tardo pomeriggio per uscire dai ripari ed entrare in attività nelle scarse giornate in cui il sole scaldava un pò, ecc.
Come zio la manda. E visti i risultati, primavera prossima chiedo un altro preventivo. Anche accettando un prolungamento dei lavori oltre i sei giorni .... ;-)
A.
|
|
| Top |
|
 |
|