Forum Entomologi Italiani
https://www.entomologiitaliani.net/public/forum/phpbb3/

Oedemera (Oedemera) podagrariae podagrariae (Linnaeus, 1767) - Oedemeridae
https://www.entomologiitaliani.net/public/forum/phpbb3/viewtopic.php?f=180&t=64225
Pagina 1 di 1

Autore:  skip [ 19/09/2015, 0:08 ]
Oggetto del messaggio:  Oedemera (Oedemera) podagrariae podagrariae (Linnaeus, 1767) - Oedemeridae

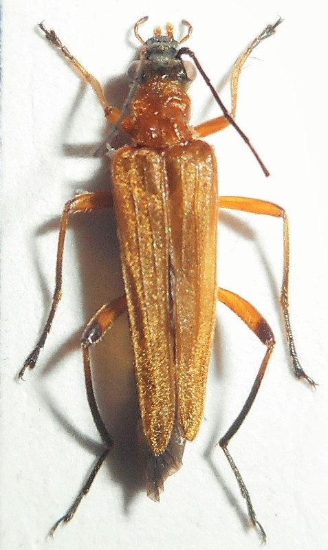
Salve,
mi sto chiedendo se questo è un Cerambycidae o meno.
Lungh. mm. 9

Grazie.

Allegati:
DSCN0305.JPG


Autore:  Chalybion [ 19/09/2015, 5:18 ]
Oggetto del messaggio:  Re: Cerambycidae ??

No, è una delle varie forme in cui può presentarsi Oedemera podagrariae (Linnaeus, 1767), Oedemeridae. In tal caso femmina, per i femori posteriori non ingrossati.
:hi:

Autore:  skip [ 19/09/2015, 7:35 ]
Oggetto del messaggio:  Re: Cerambycidae ??

Grazie mille !!
Daniele

Autore:  Julodis [ 21/09/2015, 7:25 ]
Oggetto del messaggio:  Re: Cerambycidae ??

skip ha scritto:
mi sto chiedendo se questo è un Cerambycidae o meno.

Quando hai dubbi, conta i tarsomeri.
I Cerambycidae sono tetrameri (4-4-4), gli Oedemeridae sono eteromeri (5-5-4).

Autore:  skip [ 21/09/2015, 17:57 ]
Oggetto del messaggio:  Re: Oedemera podagrariae (Linnaeus, 1767) - Oedemeridae

Giusto Maurizio, me n'ero dimenticato, grazie.
Daniele

Pagina 1 di 1 Tutti gli orari sono UTC + 1 ora [ ora legale ]
Powered by phpBB® Forum Software © phpBB Group
http://www.phpbb.com/