Forum Entomologi Italiani
https://www.entomologiitaliani.net/public/forum/phpbb3/

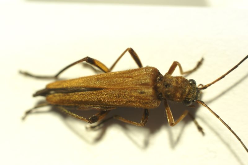
Oedemera (Oedemera) podagrariae podagrariae (Linnaeus, 1767) - Oedemeridae
https://www.entomologiitaliani.net/public/forum/phpbb3/viewtopic.php?f=180&t=64931
Pagina 1 di 1

Autore:  Andream [ 24/10/2015, 18:04 ]
Oggetto del messaggio:  Oedemera (Oedemera) podagrariae podagrariae (Linnaeus, 1767) - Oedemeridae

Salve,
chi รจ costui? :roll:
Grazie
Andrea :hi:

dimensioni 10mm
DSC00601.jpg


DSC00602.jpg


DSC00604.jpg


DSC00605.jpg


Autore:  Chalybion [ 25/10/2015, 9:04 ]
Oggetto del messaggio:  Re: Oedemeridae quale?

femmina di Oedemera (Oedemera) podagrariae (Linnaeus, 1767) :hi:

Autore:  Andream [ 25/10/2015, 15:31 ]
Oggetto del messaggio:  Re: Oedemeridae quale?

Grazie
Andrea :hi:

Pagina 1 di 1 Tutti gli orari sono UTC + 1 ora [ ora legale ]
Powered by phpBB® Forum Software © phpBB Group
http://www.phpbb.com/