|
Tutti gli orari sono UTC + 1 ora [ ora legale ] |

|
| Autore | Messaggio | ||
|---|---|---|---|
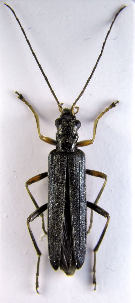
| Agdistis |
|
||
|
Iscritto il: 24/04/2010, 8:24 Messaggi: 5095 Nome: Lucio Morin |
|
||
| Top |
|
||
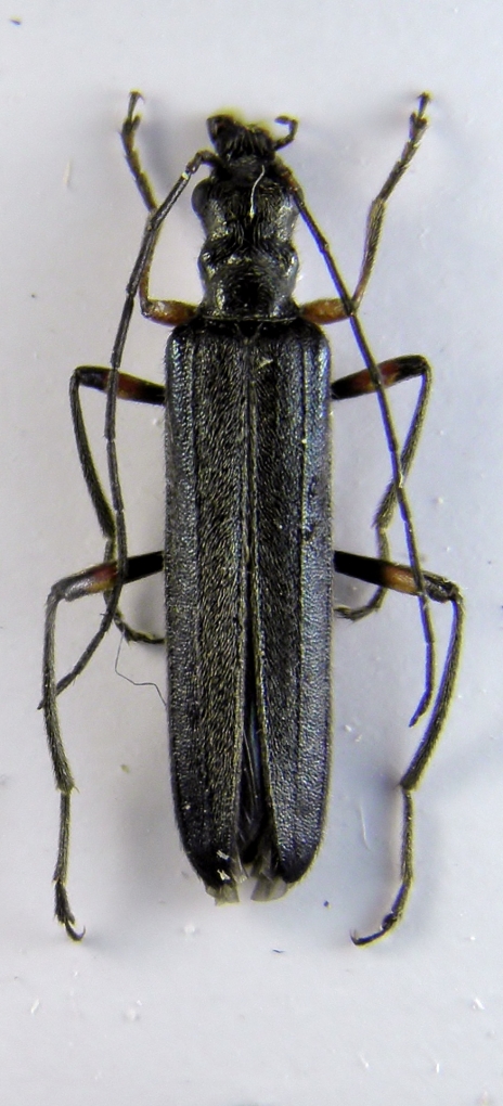
| Plagionotus |
|
||
|
Iscritto il: 21/05/2009, 14:59 Messaggi: 6994 Località: Parigi Nome: Riccardo Poloni |
|
||
| Top |
|
||
| Agdistis |
|
||
|
Iscritto il: 24/04/2010, 8:24 Messaggi: 5095 Nome: Lucio Morin |
|
||
| Top |
|
||
|
Tutti gli orari sono UTC + 1 ora [ ora legale ] |
Chi c’è in linea |
Visitano il forum: Nessuno e 1 ospite |
Non puoi aprire nuovi argomenti Non puoi rispondere negli argomenti Non puoi modificare i tuoi messaggi Non puoi cancellare i tuoi messaggi Non puoi inviare allegati |