Benvenuto Ospite

Forum Entomologi Italiani

www.entomologiitaliani.net/forum
 
Oggi è 20/04/2026, 12:49

Tutti gli orari sono UTC + 1 ora [ ora legale ]

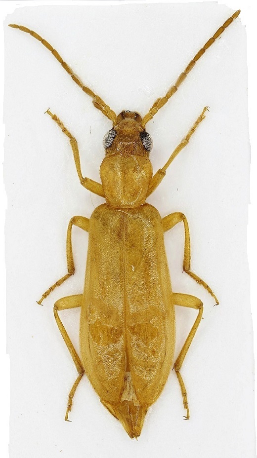
Nacerdochroa carinatopyga Švihla, 1983 - Oedemeridae

10.VII.2018 - OMAN - EE, OMAN, Dhofar, Salalah, Wadi Darbat, 41 m, 10.VII.2018, leg. I. Zappi


nuovo argomento
rispondi
Pagina 1 di 1 [ 5 messaggi ]
Autore Messaggio
MessaggioInviato: 08/02/2019, 18:22 
Avatar utente

Iscritto il: 18/06/2009, 16:54
Messaggi: 1093
Località: Casalecchio di Reno (BO)
Nome: Iuri Zappi
Questa è la seconda e ultima specie di Oedemeridae che ho raccolto in Oman.
Lunghezza = 9,4 mm
Chissà se si riesce a determinarlo?
Arrivato alla luce.
Il mio viaggio è stato soprattutto un viaggio turistico con la mia metà, quindi le raccolte sono state molto scarse e si sono concentrate in giusto qualche oretta durante il soggiorno.

P.S. I castelli nel Nord dell'Oman sono bellissimi e il Dofhar è veramente straordinario!!!
Sicuramente luoghi che possono offrire molte interessanti scoperte entomologiche!


Oedemeridae sp. 2-Oman-R.jpg


_________________
:hi: :hi: :hi:
Iuri
Top
profilo
 Oggetto del messaggio: Re: Oedemeridae sp. 2 - Oman
MessaggioInviato: 08/02/2019, 18:32 
Avatar utente

Iscritto il: 21/05/2009, 14:59
Messaggi: 6995
Località: Parigi
Nome: Riccardo Poloni
Ciao Iuri, questa è più difficile. Dovrebbe essere una Alloxantha e qui so c...
Tutte le specie di questo genere ad un esame esterno sono molto simili ma l'edeago è rivelatore. Ne ho una a casa proprio di quella zona dell'Oman raccolta da un entomologo ceco che ho determinato come cfr. platytarsia. Confronta semplicemente perchè nel lavoro dove Svihla descrive altri Oedemeridi dell'Iran e in cui a giudicare dalla data di descrizione dovrebbe esserci anche la descrizione della A. platytarsia...non c'è. Non essendo riuscito a reperirla ho concluso che forse era la platytarsia perchè l'edeago non combaciava con le altre specie.
Anche in questo caso bisogna ricorrere all'estrazione! Essendo un maschio, non dovrebbe essere un problema

_________________
Riccardo Poloni
La dignità degli elementi
la libertà della poesia,
al di là dei tradimenti degli uomini
è magia, è magia, è magia...
Negrita, Rotolando verso sud


Top
profilo
 Oggetto del messaggio: Re: Oedemeridae sp. 2 - Oman
MessaggioInviato: 09/02/2019, 16:27 
Avatar utente

Iscritto il: 18/06/2009, 16:54
Messaggi: 1093
Località: Casalecchio di Reno (BO)
Nome: Iuri Zappi
:ok:
Benissimo. Ora accanto all'esemplare raccolto dal collega ceco potrai mettere nella tua collezione anche questo e magari arrivare a capire meglio di che specie si tratta.

_________________
:hi: :hi: :hi:
Iuri


Top
profilo
 Oggetto del messaggio: Re: Oedemeridae sp. 2 - Oman
MessaggioInviato: 09/02/2019, 17:12 
Avatar utente

Iscritto il: 21/05/2009, 14:59
Messaggi: 6995
Località: Parigi
Nome: Riccardo Poloni
:hp: :hp: grazie Iuri! Credo che un'estrazione al 99% si arrivi a una identificazione certa

_________________
Riccardo Poloni
La dignità degli elementi
la libertà della poesia,
al di là dei tradimenti degli uomini
è magia, è magia, è magia...
Negrita, Rotolando verso sud


Top
profilo
MessaggioInviato: 21/09/2021, 16:57 
Avatar utente

Iscritto il: 21/05/2009, 14:59
Messaggi: 6995
Località: Parigi
Nome: Riccardo Poloni
Dopo aver riconsegnato il materiale determinato a Iuri ho rinominato la discussione, visto che la bestia in questione si è rivelata una Nacerdochroa carinatopyga Švihla, 1983

_________________
Riccardo Poloni
La dignità degli elementi
la libertà della poesia,
al di là dei tradimenti degli uomini
è magia, è magia, è magia...
Negrita, Rotolando verso sud


Top
profilo
Visualizza ultimi messaggi:  Ordina per  
nuovo argomento
rispondi
Pagina 1 di 1 [ 5 messaggi ]

Tutti gli orari sono UTC + 1 ora [ ora legale ]


Chi c’è in linea

Visitano il forum: Nessuno e 1 ospite


Non puoi aprire nuovi argomenti
Non puoi rispondere negli argomenti
Non puoi modificare i tuoi messaggi
Non puoi cancellare i tuoi messaggi
Non puoi inviare allegati

Cerca per:
Vai a:  
cron