| Autore |
Messaggio |
|
Chalybion
|
Inviato: 30/05/2019, 20:38 |
|
Iscritto il: 08/12/2013, 1:52 Messaggi: 7565 Località: Bagnacavallo (RA)
Nome: Giorgio Pezzi
|
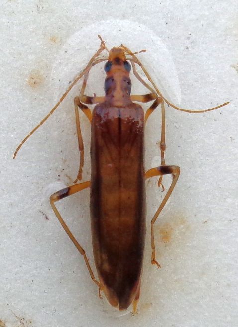
Alcuni esemplari (qui una femmina) sono stati raccolti in trappole aeree da Nappini Stefano durante il recente Bioblitz organizzato dal Museo di Storia Naturale della Maremma il 18-19 maggio. Foto fatta su petri con alcool. 
|
|
| Top |
|
 |
|
Clickie
|
Inviato: 31/05/2019, 0:10 |
|
Iscritto il: 13/10/2010, 18:21 Messaggi: 1990
Nome: Andrea Liberto
|
Sempre una bella specie. Curiosamente, ha una generazione autunnale con individui di minore statura e numericamente più scarsa. Ne ho pochi esemplari del Gargano, gracilissimi. A. 
|
|
| Top |
|
 |
|
elleelle
|
Inviato: 31/05/2019, 9:17 |
|
Iscritto il: 28/05/2009, 16:38 Messaggi: 5035
Nome: luigi lenzini
|
|
Mai visto! Probabilmente, non frequenta i fiori, perché era soprattutto lì che avevo fatto foto quel giorno ....
|
|
| Top |
|
 |
|
Chalybion
|
Inviato: 31/05/2019, 20:08 |
|
Iscritto il: 08/12/2013, 1:52 Messaggi: 7565 Località: Bagnacavallo (RA)
Nome: Giorgio Pezzi
|
un po' come Nacerdes (Xanthochroa) carniolica, ha attività serale/notturna e frequenta le fioriture solo in tali ore per cui si cattura con trappole aeree o alla luce. 
|
|
| Top |
|
 |
|
Clickie
|
Inviato: 01/06/2019, 0:39 |
|
Iscritto il: 13/10/2010, 18:21 Messaggi: 1990
Nome: Andrea Liberto
|
|
Soprattutto, come ho potuto constatare battendo giù alcuni esemplari di una specie affine in Grecia, tendono a frequentare i fiori di alberi ed arbusti (Castagno di sicuro, e comunque quel che c'è di fiorito nell'epoca della loro fenologia. Che non è ben nota. In generale, credo, maggio-luglio. Più, come detto, una misteriosa propaggine in settembre-ottobre con esemplari "minori".
La specie di Grecia si batte giù, raramente, dal fogliame basso dei più svariati alberi o arbusti, dove sosta inattiva.
Lo stesso fa Oedemera murinipennis di Creta, inclusa da Svihla tra le "Oncomera", che però ha comportamento "intermedio" tra diurno e notturno. Non dico di più, perché mi piacerebbe prima o poi pubblicare le mie osservazioni in proposito, discretamente dettagliate.
La capsula cranica delle cosiddette "Oncomera" è prolungata quasi come nelle Oedemera diurne (cioè le Oedemera sensu stricto), denotando comunque attitudine floricola. Ma un po' meno, probabilmente perché i fiori degli alberi non hanno vere corolle da penetrare.
Infatti uno dei caratteri che servono a diagnosticare il "sottogenere" Oncomera (credo sia un buon genere, ma opinione personale) è proprio il rapporto tra larghezza della fronte e diametro degli occhi, che si traduce in un maggiore o minore prolungamento del "muso"…. Tecnicismi.
Comunque, bestie ancora misteriosissime. Le sogno, e non svelatemele, vi prego. A.
|
|
| Top |
|
 |
|
Plagionotus
|
Inviato: 04/06/2019, 20:17 |
|
Iscritto il: 21/05/2009, 14:59 Messaggi: 6994 Località: Parigi
Nome: Riccardo Poloni
|
|
Quest'anno con il caldo assurdo di marzo me ne hanno portata una di Bologna trovata (viva) sotto una pietra. Può darsi che siano già pronte in celletta alla fine dell'estate e sfarfallino anche in autunno. La cosa però è molto interessante! Non lo sapevo. Molto strano per uno xilofago, comunque.
_________________ Riccardo Poloni La dignità degli elementi la libertà della poesia, al di là dei tradimenti degli uomini è magia, è magia, è magia... Negrita, Rotolando verso sud
|
|
| Top |
|
 |
|
Clickie
|
Inviato: 13/07/2019, 22:03 |
|
Iscritto il: 13/10/2010, 18:21 Messaggi: 1990
Nome: Andrea Liberto
|
|
Per "una" intendevi una femmina ? Chissà, magari svernano o ci provano.
Gli xilofagi hanno un sacco di "tattiche" che non conosciamo bene (o che almeno io non conosco bene) per fare "volano demografico" e superare i periodacci, che possono avere origini, natura e manifestazioni varie.
Tra i Buprestidae è ben descritta la costante "riserva" di individui che non sfarfallano quando devono, assieme a tutti gli altri, bensì restano quiescenti nella celletta di impupamento per poi comparire la stagione successiva. Una specie di assicurazione. Ne parla Arru nel suo insuperato lavoro sulla biologia di Agrilus suvorovi populneus, più tardi Gobbi a proposito di Agrilus lineola.
Molti di noi che abbiamo fatto allevamenti, abbiamo spesso ottenuto questi esemplari "di riserva" da materiale legnoso già bucherellato dalle schiuse "normali".
Ciao, A.
|
|
| Top |
|
 |
|