Benvenuto Ospite

Forum Entomologi Italiani

www.entomologiitaliani.net/forum
 
Oggi è 30/04/2026, 16:45

Tutti gli orari sono UTC + 1 ora [ ora legale ]

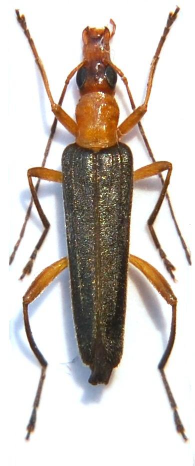
Oedemera (Oncomera) murinipennis Kiesenwetter, 1859 - Oedemeridae

28.V.2021 - GRECIA - EE, Creta,Georgioupoli env.


nuovo argomento
rispondi
Pagina 1 di 1 [ 6 messaggi ]
Autore Messaggio
MessaggioInviato: 12/06/2021, 7:59 
Avatar utente

Iscritto il: 09/11/2009, 14:12
Messaggi: 5199
Località: Hradec Kralove,Czech republik
Nome: Jan Matějíček
Per favore aiutatemi con determinazione. :oops:


Oedemera.JPG


_________________
Research Fields
Taxonomy, ecology, biomonitoring , faunistic of Staphylinidae
Top
profilo
 Oggetto del messaggio: Re: Oedemeridae Creta
MessaggioInviato: 12/06/2021, 9:16 
Avatar utente

Iscritto il: 09/11/2009, 14:12
Messaggi: 5199
Località: Hradec Kralove,Czech republik
Nome: Jan Matějíček
:?: Nacerdes (Xanthochroa) gracilis gracilis (W.Schmidt, 1846)

_________________
Research Fields
Taxonomy, ecology, biomonitoring , faunistic of Staphylinidae


Top
profilo
 Oggetto del messaggio: Re: Oedemeridae Creta
MessaggioInviato: 12/06/2021, 12:24 
Avatar utente

Iscritto il: 16/02/2009, 23:39
Messaggi: 1371
Località: Mirano (Venezia)
Nome: Enrico Ruzzier
Oedemera (Oedemera) cretica Svihla, 1999

:hi:

_________________
«Discendiamo da scimmie evolute, non da angeli caduti» Robert Ardrey


Top
profilo
 Oggetto del messaggio: Re: Oedemeridae Creta
MessaggioInviato: 12/06/2021, 12:36 
Avatar utente

Iscritto il: 09/11/2009, 14:12
Messaggi: 5199
Località: Hradec Kralove,Czech republik
Nome: Jan Matějíček
Enrico Ruzzier ha scritto:
Oedemera (Oedemera) cretica Svihla, 1999

:hi:

Grazie mille Enrico :lov2:

_________________
Research Fields
Taxonomy, ecology, biomonitoring , faunistic of Staphylinidae


Top
profilo
 Oggetto del messaggio: Re: Oedemeridae Creta
MessaggioInviato: 14/06/2021, 17:40 
Avatar utente

Iscritto il: 21/05/2009, 14:59
Messaggi: 6996
Località: Parigi
Nome: Riccardo Poloni
Questa è una Oedemera (Oncomera) murinipennis ;)

_________________
Riccardo Poloni
La dignità degli elementi
la libertà della poesia,
al di là dei tradimenti degli uomini
è magia, è magia, è magia...
Negrita, Rotolando verso sud


Top
profilo
 Oggetto del messaggio: Re: Oedemeridae Creta
MessaggioInviato: 15/06/2021, 10:47 
Avatar utente

Iscritto il: 09/11/2009, 14:12
Messaggi: 5199
Località: Hradec Kralove,Czech republik
Nome: Jan Matějíček
Plagionotus ha scritto:
Questa è una Oedemera (Oncomera) murinipennis ;)


Grazie Riccardo per aver corretto la determinazione, segnerò come

Oedemera (Oncomera) murinipennis Kiesenwetter, 1859

_________________
Research Fields
Taxonomy, ecology, biomonitoring , faunistic of Staphylinidae


Top
profilo
Visualizza ultimi messaggi:  Ordina per  
nuovo argomento
rispondi
Pagina 1 di 1 [ 6 messaggi ]

Tutti gli orari sono UTC + 1 ora [ ora legale ]


Chi c’è in linea

Visitano il forum: Nessuno e 1 ospite


Non puoi aprire nuovi argomenti
Non puoi rispondere negli argomenti
Non puoi modificare i tuoi messaggi
Non puoi cancellare i tuoi messaggi
Non puoi inviare allegati

Cerca per:
Vai a: