|
Tutti gli orari sono UTC + 1 ora [ ora legale ] |

|
| Autore | Messaggio | ||
|---|---|---|---|
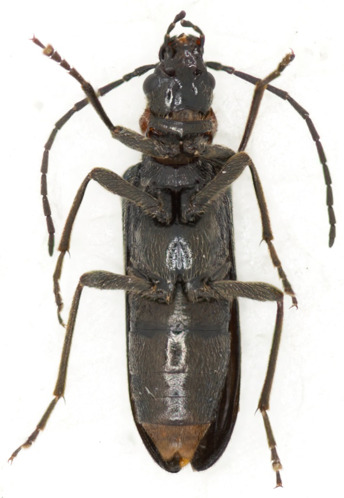
| wgliinsetti |
|
||
|
Iscritto il: 05/05/2016, 11:22 Messaggi: 3008 Località: Santa Maria delle mole, Marino, Rm Nome: Roberto Vanzini |
|
||
| Top |
|
||
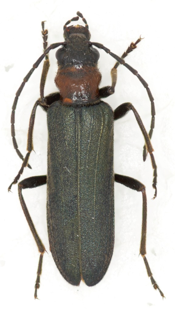
| Plagionotus |
|
||
|
Iscritto il: 21/05/2009, 14:59 Messaggi: 6996 Località: Parigi Nome: Riccardo Poloni |
|
||
| Top |
|
||
| wgliinsetti |
|
||
|
Iscritto il: 05/05/2016, 11:22 Messaggi: 3008 Località: Santa Maria delle mole, Marino, Rm Nome: Roberto Vanzini |
|
||
| Top |
|
||
|
Tutti gli orari sono UTC + 1 ora [ ora legale ] |
Chi c’è in linea |
Visitano il forum: Nessuno e 1 ospite |
Non puoi aprire nuovi argomenti Non puoi rispondere negli argomenti Non puoi modificare i tuoi messaggi Non puoi cancellare i tuoi messaggi Non puoi inviare allegati |