Benvenuto Ospite

Forum Entomologi Italiani

www.entomologiitaliani.net/forum
 
Oggi è 27/01/2026, 10:14

Tutti gli orari sono UTC + 1 ora [ ora legale ]

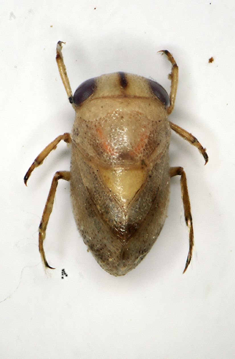
Plea minutissima Leach 1817 - Pleidae

I.2011 - ITALIA - Toscana - FI, Colle di Canda (mt. 900)


nuovo argomento
rispondi
Pagina 1 di 1 [ 3 messaggi ]
Autore Messaggio
 Oggetto del messaggio: Plea minutissima Leach 1817 - Pleidae
MessaggioInviato: 09/04/2011, 21:04 
Avatar utente

Iscritto il: 05/02/2009, 17:25
Messaggi: 4894
Località: Zola Predosa (BO)
Nome: Loris Colacurcio
Oltre ai ditiscidi, nel mini laghetto pullulavano anche questi cosini simili (molto vagamente) ad una notonetta...

Lunghezza: 2.5 mm.

notonetta 2.5mm canda.JPG


_________________
Loris


Top
profilo
 Oggetto del messaggio: Re: Eterottero acquatico
MessaggioInviato: 09/04/2011, 23:29 
Avatar utente

Iscritto il: 01/11/2009, 9:51
Messaggi: 2330
Nome: Andrea Rattu
Ciao Loris, in attesa di qualcuno che ne sa più di me, io dico Plea minutissima..

_________________
Se gettassi su di un piatto della bilancia tutto ciò che ho imparato a comprendere in quelle ore di meditazione di fronte all'acquario, e sull'altro tutto ciò che ho ricavato dai libri, come rimarrebbe leggero il secondo!
Konrad Lorenz


Top
profilo
 Oggetto del messaggio: Re: Eterottero acquatico
MessaggioInviato: 10/04/2011, 1:53 
Avatar utente

Iscritto il: 31/12/2009, 1:47
Messaggi: 926
Località: Bellano (LC)
Nome: Martino Salvetti
Direi che non ci sono dubbi


Top
profilo
Visualizza ultimi messaggi:  Ordina per  
nuovo argomento
rispondi
Pagina 1 di 1 [ 3 messaggi ]

Tutti gli orari sono UTC + 1 ora [ ora legale ]


Chi c’è in linea

Visitano il forum: Nessuno e 4 ospiti


Non puoi aprire nuovi argomenti
Non puoi rispondere negli argomenti
Non puoi modificare i tuoi messaggi
Non puoi cancellare i tuoi messaggi
Non puoi inviare allegati

Cerca per:
Vai a: