Benvenuto Ospite

Forum Entomologi Italiani

www.entomologiitaliani.net/forum
 
Oggi è 29/01/2026, 12:44

Tutti gli orari sono UTC + 1 ora [ ora legale ]

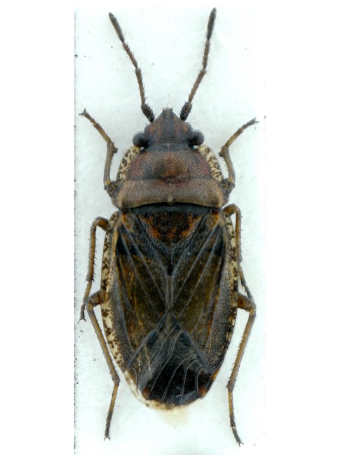
Emblethis sp. (Lygaeidae)



nuovo argomento
rispondi
Pagina 1 di 1 [ 2 messaggi ]
Autore Messaggio
 Oggetto del messaggio: Emblethis sp. (Lygaeidae)
MessaggioInviato: 04/12/2009, 19:12 
Avatar utente

Iscritto il: 06/02/2009, 9:03
Messaggi: 6377
Località: Bubano di Mordano (Bologna)
Nome: Augusto Degiovanni
Marche: M.te Sibilla, 2000m, Montemonaco (AP) 10.VI.2007
tn_New-Out99999_99998.JPG


_________________
CIAO :hi: Augusto Degiovanni

http://anthicidaeecarabidae.altervista.org


Top
profilo
 Oggetto del messaggio: Re: Cimice
MessaggioInviato: 05/12/2009, 12:49 
Avatar utente

Iscritto il: 05/02/2009, 17:36
Messaggi: 780
Nome: Attilio Carapezza
Emblethis sp. (Lygaeidae); di più non si può dire da una foto perché questo è un genere ricco di specie quasi indistinguibili dal solo aspetto esterno.


Top
profilo
Visualizza ultimi messaggi:  Ordina per  
nuovo argomento
rispondi
Pagina 1 di 1 [ 2 messaggi ]

Tutti gli orari sono UTC + 1 ora [ ora legale ]


Chi c’è in linea

Visitano il forum: Nessuno e 3 ospiti


Non puoi aprire nuovi argomenti
Non puoi rispondere negli argomenti
Non puoi modificare i tuoi messaggi
Non puoi cancellare i tuoi messaggi
Non puoi inviare allegati

Cerca per:
Vai a: