Benvenuto Ospite

Forum Entomologi Italiani

www.entomologiitaliani.net/forum
 
Oggi è 29/04/2026, 12:32

Tutti gli orari sono UTC + 1 ora [ ora legale ]

Rhynocoris spp.



nuovo argomento
rispondi
Pagina 1 di 1 [ 7 messaggi ]
Autore Messaggio
 Oggetto del messaggio: Rhynocoris spp.
MessaggioInviato: 02/03/2010, 10:36 
Avatar utente

Iscritto il: 11/11/2009, 20:54
Messaggi: 4857
Località: Pesaro
Nome: Marco Paglialunga
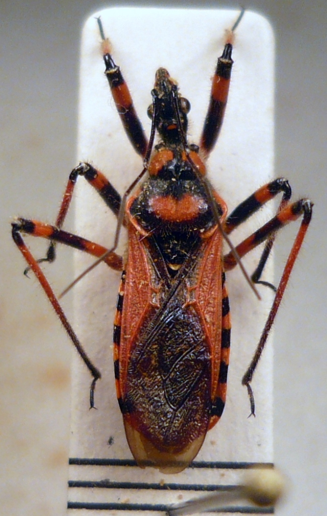
Tutti rubricus?


Sibillini VIII-94
15,5 mm

P1020445.JPG

M.te Nerone (PU) V-06
14 mm

P1020446.JPG

M.te Nerone (PU) V-06
15 mm

P1020444.JPG


_________________
O voi ch'avete li 'ntelletti sani, mirate la dottrina che s'asconde sotto 'l velame de li versi strani
(InfeRRno - canto IX - vv. 61-63)
Top
profilo
MessaggioInviato: 03/03/2010, 0:15 
Avatar utente

Iscritto il: 31/12/2009, 1:47
Messaggi: 955
Località: Bellano (LC)
Nome: Martino Salvetti
A me sembrano piuttosto dei R. iracundus, ma per esserne certi occorre osservare la capsula genitale. Potresti provare a postare qualche foto con il dettaglio della capsula......aspettiamo anche Paride o Attilio


Top
profilo
MessaggioInviato: 03/03/2010, 9:36 
Avatar utente

Iscritto il: 11/11/2009, 20:54
Messaggi: 4857
Località: Pesaro
Nome: Marco Paglialunga
Grazie Martino dei tuoi interventi :D ,ma per osservare la capsula è sufficente sollevare leggermente le ali nel loro bordo posteriore o fare una foto della porzione distale dell'addome da sotto?

_________________
O voi ch'avete li 'ntelletti sani, mirate la dottrina che s'asconde sotto 'l velame de li versi strani
(InfeRRno - canto IX - vv. 61-63)


Top
profilo
MessaggioInviato: 03/03/2010, 20:43 
Avatar utente

Iscritto il: 05/02/2009, 17:36
Messaggi: 780
Nome: Attilio Carapezza
Ritengo che Martino abbia ragione; per esserne certi gli esemplari dovrebbero essere fotografati in modo che si possa vedere la colorazione ventrale dell'addome.


Top
profilo
MessaggioInviato: 04/03/2010, 13:43 
Avatar utente

Iscritto il: 11/11/2009, 20:54
Messaggi: 4857
Località: Pesaro
Nome: Marco Paglialunga
.....si nota una certa differenza,almeno cromatica, tra il 1° e gli altri due :)


1° esemplare Sibillini lato dx
P1020566.JPG

1° esemplare Sibillini lato sin
P1020565.JPG

2° esemplare M.te Nerone lato dx
P1020562.JPG

2° esemplare M.te Nerone lato sin
P1020560.JPG

3° esemplare M.te Nerone lato sin
P1020556.JPG

3° esemplare M.te Nerone lato dx
P1020558.JPG


_________________
O voi ch'avete li 'ntelletti sani, mirate la dottrina che s'asconde sotto 'l velame de li versi strani
(InfeRRno - canto IX - vv. 61-63)
Top
profilo
MessaggioInviato: 05/03/2010, 0:50 
Avatar utente

Iscritto il: 05/02/2009, 17:36
Messaggi: 780
Nome: Attilio Carapezza
Il primo es., ad addome ventralmente nero, è indeterminabile perché questa forma di colore è presente sia in rubricus che in iracundus. Se fosse un maschio si potrebbe capire che cos'è esaminando la falloteca, ma da quello che si vede sembra una femmina.
Gli altri due ess. sono R. rubricus.


Top
profilo
MessaggioInviato: 05/03/2010, 9:48 
Avatar utente

Iscritto il: 11/11/2009, 20:54
Messaggi: 4857
Località: Pesaro
Nome: Marco Paglialunga
Ciao e Grazie Attilio!!ma se questi sono rubricus,che colorazione hanno i metameri addominali dell'iracundus?

_________________
O voi ch'avete li 'ntelletti sani, mirate la dottrina che s'asconde sotto 'l velame de li versi strani
(InfeRRno - canto IX - vv. 61-63)


Top
profilo
Visualizza ultimi messaggi:  Ordina per  
nuovo argomento
rispondi
Pagina 1 di 1 [ 7 messaggi ]

Tutti gli orari sono UTC + 1 ora [ ora legale ]


Chi c’è in linea

Visitano il forum: Nessuno e 3 ospiti


Non puoi aprire nuovi argomenti
Non puoi rispondere negli argomenti
Non puoi modificare i tuoi messaggi
Non puoi cancellare i tuoi messaggi
Non puoi inviare allegati

Cerca per:
Vai a: