Benvenuto Ospite

Forum Entomologi Italiani

www.entomologiitaliani.net/forum
 
Oggi è 30/11/2025, 22:14

Tutti gli orari sono UTC + 1 ora [ ora legale ]

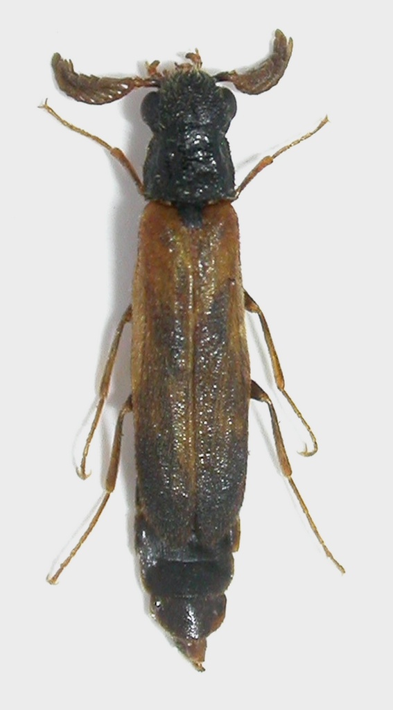
Hylecoetus flabellicornis (Schneider 1791) - Lymexylidae

VI.2011 - UCRAINA - EE, Stvatono (su Picea sp.)


nuovo argomento
rispondi
Pagina 1 di 1 [ 5 messaggi ]
Autore Messaggio
MessaggioInviato: 08/03/2016, 19:55 
Avatar utente

Iscritto il: 02/09/2009, 20:57
Messaggi: 8703
Località: Cagliari
Nome: Roberto Rattu
Uno dei pochissimi rappresentanti dei Lymexylidae, famiglia poco gettonata (e quindi per me interessante): Hylecoetus flabellicornis. L'esemplare, un maschio, misura 7.8 mm:

DSCN1524.JPG



Top
profilo
MessaggioInviato: 08/03/2016, 20:41 
Avatar utente

Iscritto il: 23/06/2010, 19:05
Messaggi: 2588
Località: Pescara
Nome: Alessio Morelli
:o ... quindi non hanno solo i palpi "pettinati"!


Top
profilo
MessaggioInviato: 08/03/2016, 20:47 
 

Iscritto il: 03/02/2015, 11:23
Messaggi: 984
Località: Policoro (MT)
Nome: Giuseppe Cancelliere
:shock: metti sempre cose interessanti


Top
profilo
MessaggioInviato: 08/03/2016, 23:06 
Avatar utente

Iscritto il: 30/12/2009, 22:20
Messaggi: 31564
Località: Roma
Nome: Maurizio Gigli
Più che famiglia poco gettonata, è che non si trovano mai, almeno da noi. E se capita, è quando meno te lo aspetti.

_________________
Maurizio Gigli
http://utenti.romascuola.net/bups
http://bup.xoom.it/


Top
profilo
MessaggioInviato: 09/03/2016, 19:04 
Avatar utente

Iscritto il: 02/09/2009, 20:57
Messaggi: 8703
Località: Cagliari
Nome: Roberto Rattu
Julodis ha scritto:
Più che famiglia poco gettonata, è che non si trovano mai, almeno da noi. E se capita, è quando meno te lo aspetti.

Appunto, poco gettonata anche per cause di forza maggiore :D

:hi:


Top
profilo
Visualizza ultimi messaggi:  Ordina per  
nuovo argomento
rispondi
Pagina 1 di 1 [ 5 messaggi ]

Tutti gli orari sono UTC + 1 ora [ ora legale ]


Chi c’è in linea

Visitano il forum: Nessuno e 4 ospiti


Non puoi aprire nuovi argomenti
Non puoi rispondere negli argomenti
Non puoi modificare i tuoi messaggi
Non puoi cancellare i tuoi messaggi
Non puoi inviare allegati

Cerca per:
Vai a: