Benvenuto Ospite

Forum Entomologi Italiani

www.entomologiitaliani.net/forum
 
Oggi è 30/11/2025, 10:58

Tutti gli orari sono UTC + 1 ora [ ora legale ]

Catture dalla Grecia

 


nuovo argomento
rispondi
Pagina 1 di 1 [ 8 messaggi ]
Autore Messaggio
 Oggetto del messaggio: Catture dalla Grecia
MessaggioInviato: 19/05/2010, 0:39 
Avatar utente

Iscritto il: 16/05/2010, 14:26
Messaggi: 761
Località: United Kingdom
Nome: Zdenko Lucbauer
Hi all. First, Sorry for These Photos. I can `t take better ones with my Nikon. Well, I've got two Scarabeus species, Which I d Like To Have determined. Then a couple of Scarabaeids, Cerambycid, Curculionid.... Could anyone please help me with ID-ing Them?
Thanks in advance! Zdeno


Brachycerus, 16mm, Leptokaria
broucky 049.JPG

Gymnopleurus, NE Greece, in sheep dung
broucky 088.JPG

NE Greece
posledne broucky 181.JPG

NE Greece, On Quercus
posledne broucky 160.JPG

Leptokaria, Greece
posledne broucky 108.JPG

NE Greece on Quercus
posledne broucky 111.JPG

NW Greece, 18mm
posledne broucky 094.JPG

NW Greece in cow dung, 28mm
posledne broucky 063.JPG

NW Greece, south from Kaimakcalan Mts, 20mm
posledne broucky 032.JPG

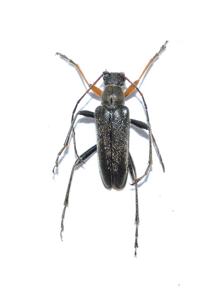
NE Greece, on Prunus
posledne broucky 163.JPG



Ultima modifica di zdeno il 19/05/2010, 0:45, modificato 1 volta in totale.
Top
profilo
MessaggioInviato: 19/05/2010, 0:44 
Avatar utente

Iscritto il: 16/05/2010, 14:26
Messaggi: 761
Località: United Kingdom
Nome: Zdenko Lucbauer
a couple more


Leptokaria
Greece2010 367.JPG

Trichius, Leptokaria
broucky 001.JPG

Top
profilo
MessaggioInviato: 19/05/2010, 1:01 
Avatar utente

Iscritto il: 16/05/2010, 14:26
Messaggi: 761
Località: United Kingdom
Nome: Zdenko Lucbauer
Nah. Just now I have read rules here, that 1 species/specimens = 1 new topic. My fault ! I m very sorry and apologize to admins/administrators ! Don` t :gun: me please, next time I ll do it how it supposed to be.
All the best !
Zdeno


Top
profilo
MessaggioInviato: 19/05/2010, 1:09 
Avatar utente

Iscritto il: 14/01/2010, 0:10
Messaggi: 3603
Località: Liguria, Genova
Nome: Giovanni Ratto
Dear Zdenko, you should insert an image by subject and not all together, so then, each topic will take its course independently of the other! ;)
Photos aren't so bad!!! :ok:

:hi:

_________________
ImmagineGiovanni
Pactolinus gigas (Paykull, 1811)


Top
profilo
MessaggioInviato: 19/05/2010, 13:26 
Avatar utente

Iscritto il: 16/05/2010, 14:26
Messaggi: 761
Località: United Kingdom
Nome: Zdenko Lucbauer
Yes Giovanni, I know. I ask admins/moderators, could you please delete this post ? Thanks !


Top
profilo
MessaggioInviato: 19/05/2010, 14:16 
Avatar utente

Iscritto il: 21/05/2009, 14:59
Messaggi: 6994
Località: Parigi
Nome: Riccardo Poloni
Hi Zdeno, attending Admins to divide the topic, I test to determine those coleopters:

1) Brachycerus sp.
2) Gimnopleurus sp.
3) Cassida sp.
4) Curculio sp.
5) Agapanthia suturalis (Fabricius, 1787)
6) Grammptera sp. (ho provato a seguire le chiavi del Pesarini ma non ci salto fuori)
7) Petodon algerinus (forse)
8) Scarabeus sacer (ma non ne sono del tutto sicuro)
9) Scarabeus tiphon (ma non ne sono del tutto sicuro)
10) Rhinchytes, forse
11) Triodonta/ella??
12) Trichius, direi sexualis, ma bisognerebbe vedere gli sterniti

The specialists surely will give you a more specific identification :D :)

_________________
Riccardo Poloni
La dignità degli elementi
la libertà della poesia,
al di là dei tradimenti degli uomini
è magia, è magia, è magia...
Negrita, Rotolando verso sud


Top
profilo
MessaggioInviato: 19/05/2010, 14:48 
 

Iscritto il: 24/03/2010, 12:42
Messaggi: 1439
Nome: Lech Borowiec
No. 3 is Hypocassida subferruginea


Top
profilo
MessaggioInviato: 19/05/2010, 15:40 
Avatar utente

Iscritto il: 23/09/2009, 23:06
Messaggi: 1066
Nome: Stefano Ziani
2) Gymnopleurus geoffroyi geoffroyi (Fuessly, 1775) ??

8) Scarabaeus typhon (Fischer de Waldheim, 1823) ?

9) Ateuchetus armeniacus (Mènètries, 1832) ?


Top
profilo
Visualizza ultimi messaggi:  Ordina per  
nuovo argomento
rispondi
Pagina 1 di 1 [ 8 messaggi ]

Tutti gli orari sono UTC + 1 ora [ ora legale ]


Chi c’è in linea

Visitano il forum: Nessuno e 2 ospiti


Non puoi aprire nuovi argomenti
Non puoi rispondere negli argomenti
Non puoi modificare i tuoi messaggi
Non puoi cancellare i tuoi messaggi
Non puoi inviare allegati

Cerca per:
Vai a: