Benvenuto Ospite

Forum Entomologi Italiani

www.entomologiitaliani.net/forum
 
Oggi è 20/11/2025, 13:05

Tutti gli orari sono UTC + 1 ora [ ora legale ]

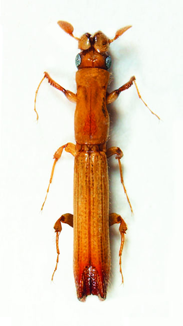
Tesserocranulus nevermanni Schedl, 1933 - Curculionidae Platypodinae

30.XI.2016 - PERU - EE, Junin dep. Satipo prov. Near Rio Venado vill.


nuovo argomento
rispondi
Pagina 1 di 1 [ 7 messaggi ]
Autore Messaggio
MessaggioInviato: 10/04/2020, 7:25 
Avatar utente

Iscritto il: 27/02/2009, 19:34
Messaggi: 857
Località: Belluno
Nome: Enzo GATTI
Tesserocranulus nevermanni SCHEDL, 1933
Femmina. Lunghezza: mm 4,2.
America Centrale (Costa Rica, Panama) e America Meridionale (Bolivia, Brasile, Guiana e Perù).


TesserocranulusNevermanniDORSOMontage.jpg

Top
profilo
 Oggetto del messaggio: Re: Platypodinae of the Word
MessaggioInviato: 10/04/2020, 8:54 
Avatar utente

Iscritto il: 05/02/2009, 17:28
Messaggi: 3226
Nome: Marco Uliana
Bello! Ma cos'ha davanti alla testa? Due mandiboloni?


Top
profilo
 Oggetto del messaggio: Re: Platypodinae of the Word
MessaggioInviato: 10/04/2020, 9:25 
Avatar utente

Iscritto il: 27/02/2009, 19:34
Messaggi: 857
Località: Belluno
Nome: Enzo GATTI
Ciao Marco,
Le due "piastre" presenti sul capo sono una modificazione dello scapo antennale, presente solo nella femmina di questa specie :) :)

Enzo :hi: :hi:


Top
profilo
 Oggetto del messaggio: Re: Platypodinae of the Word
MessaggioInviato: 10/04/2020, 9:40 
Avatar utente

Iscritto il: 05/02/2009, 17:28
Messaggi: 3226
Nome: Marco Uliana
Curioso. Dalla foto sembrano asimmetriche, è così?


Top
profilo
 Oggetto del messaggio: Re: Platypodinae of the Word
MessaggioInviato: 10/04/2020, 10:59 
Avatar utente

Iscritto il: 27/02/2009, 19:34
Messaggi: 857
Località: Belluno
Nome: Enzo GATTI
E' una deformazione della foto; in realtà sono simmetriche......


Top
profilo
 Oggetto del messaggio: Re: Platypodinae of the Word
MessaggioInviato: 10/04/2020, 11:28 
Avatar utente

Iscritto il: 05/02/2009, 17:28
Messaggi: 3226
Nome: Marco Uliana
Peccato... stavo fantasticando di antenne che agiscono come seconde mandibole. Comunque se sono sessualmente dimorfiche dovrebbero essere correlate all'attività riproduttiva. Se ne sa qualcosa?


Top
profilo
 Oggetto del messaggio: Re: Platypodinae of the Word
MessaggioInviato: 10/04/2020, 16:39 
Avatar utente

Iscritto il: 27/02/2009, 19:34
Messaggi: 857
Località: Belluno
Nome: Enzo GATTI
Dell'ecologia dei platypodidae si sa ancora pochissimo!!!
Anche sul dimorfismo sessuale, che in queste specie è spesso molto accentuato, si hanno ancora poche idee :| :| :?: :?:


Top
profilo
Visualizza ultimi messaggi:  Ordina per  
nuovo argomento
rispondi
Pagina 1 di 1 [ 7 messaggi ]

Tutti gli orari sono UTC + 1 ora [ ora legale ]


Chi c’è in linea

Visitano il forum: Nessuno e 5 ospiti


Non puoi aprire nuovi argomenti
Non puoi rispondere negli argomenti
Non puoi modificare i tuoi messaggi
Non puoi cancellare i tuoi messaggi
Non puoi inviare allegati

Cerca per:
Vai a: