Benvenuto Ospite

Forum Entomologi Italiani

www.entomologiitaliani.net/forum
 
Oggi è 22/11/2025, 13:57

Tutti gli orari sono UTC + 1 ora [ ora legale ]

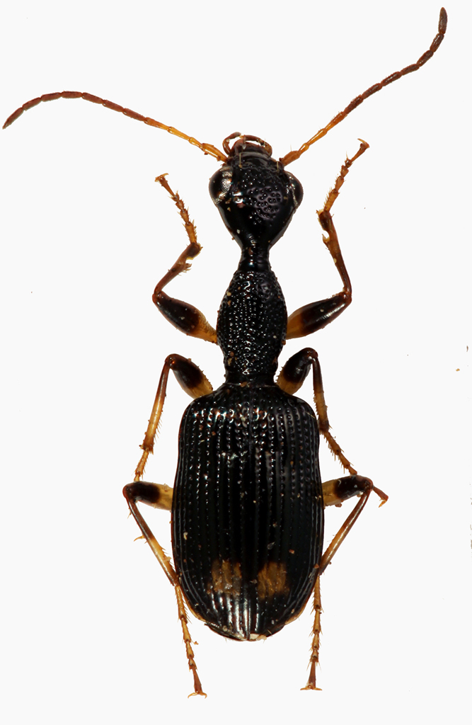
Eucolliuris cfr. cribriceps (Bates, 1889) - Carabidae

XI.2017 - GABON - EE, N.W. Gabon, Mondah Forest, S.Biondi leg.


nuovo argomento
rispondi
Pagina 1 di 1 [ 6 messaggi ]
Autore Messaggio
MessaggioInviato: 07/01/2018, 17:35 
Avatar utente

Iscritto il: 08/02/2010, 23:01
Messaggi: 6172
Località: Vicenza
Nome: Silvano Biondi
fei.jpg


fei2.jpg


6 mm, esemplare unico, alla luce

Non sono affatto sicuro che appartenga al genere Colliuris, ma mi sembra il più simile.

:hi:

_________________



Silvano


Top
profilo
 Oggetto del messaggio: Re: Carabidae Colliuris ? - Gabon
MessaggioInviato: 07/01/2018, 21:26 
Avatar utente

Iscritto il: 08/05/2010, 22:25
Messaggi: 1463
Località: Milano
Nome: Riccardo Sciaky
Allora, il genere è certamente Eucolliuris Liebke, 1931 distribuita in tutta la zona paleotropicale, con una specie che raggiunge a nord la Spagna (E. olivieri). Per quanto riguarda la specie, è un po' più difficile arrivarci, per lo meno per me. Le specie E. aethiopica e E. natalensis hanno un disegno elitrale molto simile, ma non dovrebbero essere presenti in Africa Occidentale. Le uniche due specie esplicitamente citate di questa zona sono E. olivieri (molto differente) e E. cribriceps. Dati i caratteri dell'esemplare della foto potrebbe essere lei, ma non ne ho nessuna certezza, non conoscendo direttamente la specie. Bisognerebbe chiedere a Sergio Facchini, che purtroppo non frequenta il nostro forum; lui potrebbe saperci dire di cosa si tratta.

Saluti :D

_________________
Riccardo


Top
profilo
 Oggetto del messaggio: Re: Carabidae Colliuris ? - Gabon
MessaggioInviato: 07/01/2018, 21:46 
Avatar utente

Iscritto il: 08/02/2010, 23:01
Messaggi: 6172
Località: Vicenza
Nome: Silvano Biondi
Grazie Riccardo.
ricdoc57 ha scritto:
Bisognerebbe chiedere a Sergio Facchini, che purtroppo non frequenta il nostro forum; lui potrebbe saperci dire di cosa si tratta.

Forse Maurizio/Gomphus potrebbe fare da intermediario :)

:hi:

_________________



Silvano


Top
profilo
 Oggetto del messaggio: Re: Carabidae Colliuris ? - Gabon
MessaggioInviato: 07/01/2018, 23:08 
Avatar utente

Iscritto il: 05/02/2009, 17:31
Messaggi: 9527
Località: milano
Nome: maurizio pavesi
Apoderus ha scritto:
Grazie Riccardo.
ricdoc57 ha scritto:
Bisognerebbe chiedere a Sergio Facchini, che purtroppo non frequenta il nostro forum; lui potrebbe saperci dire di cosa si tratta.

Forse Maurizio/Gomphus potrebbe fare da intermediario :)

:ok:

nell'attesa... bellisssssima :mrgreen:

_________________
*****************
Immagine maurizio


Top
profilo
 Oggetto del messaggio: Re: Eucolliuris sp. - Carabidae
MessaggioInviato: 08/05/2018, 8:09 
Avatar utente

Iscritto il: 08/05/2010, 22:25
Messaggi: 1463
Località: Milano
Nome: Riccardo Sciaky
Qualcuno potrebbe rinominare, per favore?

Eucolliuris cfr. cribriceps (Bates, 1889)

_________________
Riccardo


Top
profilo
 Oggetto del messaggio: Re: Eucolliuris sp. - Carabidae
MessaggioInviato: 08/05/2018, 8:11 
Avatar utente

Iscritto il: 08/02/2010, 23:01
Messaggi: 6172
Località: Vicenza
Nome: Silvano Biondi
Grazie Riccardo

:hi:

_________________



Silvano


Top
profilo
Visualizza ultimi messaggi:  Ordina per  
nuovo argomento
rispondi
Pagina 1 di 1 [ 6 messaggi ]

Tutti gli orari sono UTC + 1 ora [ ora legale ]


Chi c’è in linea

Visitano il forum: Nessuno e 1 ospite


Non puoi aprire nuovi argomenti
Non puoi rispondere negli argomenti
Non puoi modificare i tuoi messaggi
Non puoi cancellare i tuoi messaggi
Non puoi inviare allegati

Cerca per:
Vai a: