Forum Entomologi Italiani
https://www.entomologiitaliani.net/public/forum/phpbb3/

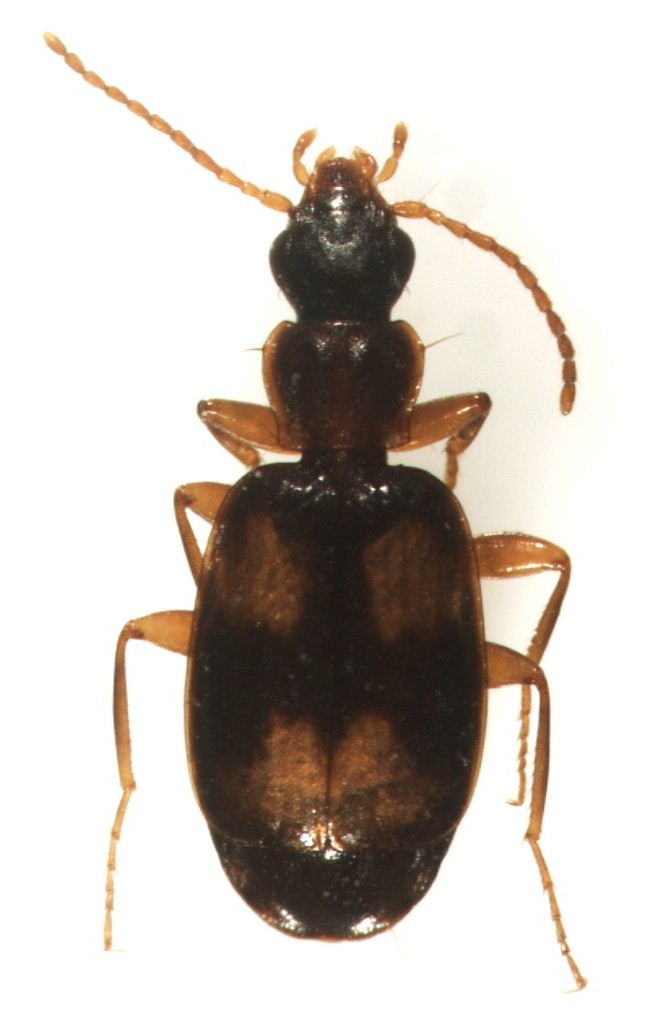
Calodromius spilotus - Carabidae
https://www.entomologiitaliani.net/public/forum/phpbb3/viewtopic.php?f=242&t=33042
Pagina 1 di 1

Autore:  young beetle [ 13/04/2012, 11:08 ]
Oggetto del messaggio:  Calodromius spilotus - Carabidae

Salve a tutti,

la settimana scorsa ho rinvenuto su una delle trappole pitfall che ho piazzato in un boschetto igrofilo lungo il fiume Tevere (Città di castello) questo piccolo carabide (3.5 mm). Inizialmente credevo potesse essere una specie del genere Philorhizus ma dopo aver controllato la revisione dei Philorhizus di Sciaki (1991) sono giunto alla conclusione che si tratta di un maschio di Calodromius spilotus. Tuttavia non sono affatto sicuro della conclusione a cui sono giunto
I caratteri che mi hanno portato ad escludere che si tratti di un Philorhizus sono le 6 setole sul labbro superiore ed il terzo articolo antennale pubescente nella parte distale.

grazie in anticipo!

Allegati:
Calodromius_spilotus.jpg


Autore:  ricdoc57 [ 13/04/2012, 14:04 ]
Oggetto del messaggio:  Re: Calodromius spilotus (Coleoptera, Carabidae)?

Caro Giovanni, sono contento che i caratteri che avevo evidenziato anni fa "reggano" ancora. Dall'aspetto sembra effettivamente un Calodromius spilotus, ma c'è una cosa che mi lascia un po' perplesso :roll: : le elitre sembrano più brevi e tozze di quanto non ricordassi. Essendo un maschietto sarebbe magari interessante estrarlo, sebbene alla fine le conclusioni saranno quasi certamente quelle a cui sei comunque arrivato tu.

Un affettuoso saluto ;)

Autore:  young beetle [ 13/04/2012, 14:56 ]
Oggetto del messaggio:  Re: Calodromius spilotus (Coleoptera, Carabidae)?

Grazie Riccardo, la tua risposta mi conforta. Non ho ancora effettuato l'estrazione dell'edeago perchè esemplare in questione ha l'addome un pò "allentato" e temevo che si potesse staccare al momento dell'estrazione. Ma ora che ho le foto posso permettermi di rischiare!

Pagina 1 di 1 Tutti gli orari sono UTC + 1 ora [ ora legale ]
Powered by phpBB® Forum Software © phpBB Group
http://www.phpbb.com/