Benvenuto Ospite

Forum Entomologi Italiani

www.entomologiitaliani.net/forum
 
Oggi è 18/01/2026, 18:04

Tutti gli orari sono UTC + 1 ora [ ora legale ]

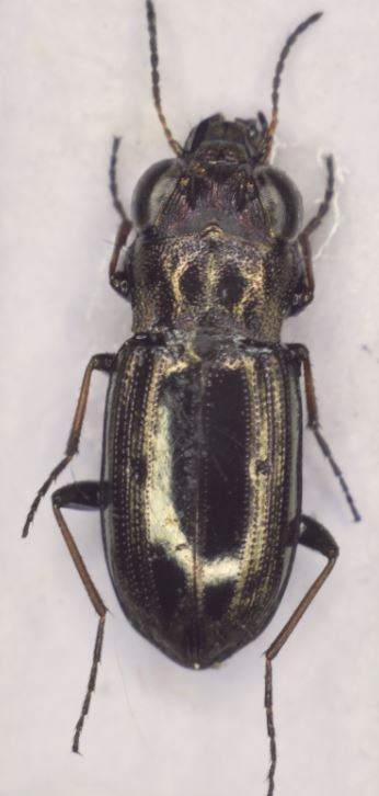
Notiophilus geminatus Dejean & Boisduval, 1830 - Carabidae

12.XI.2017 - ITALIA - Lazio - RM, Parco dell'Inviolata


nuovo argomento
rispondi
Pagina 1 di 1 [ 4 messaggi ]
Autore Messaggio
MessaggioInviato: 22/11/2017, 20:02 
Avatar utente

Iscritto il: 10/04/2016, 14:33
Messaggi: 1174
Località: Guidonia Montecelio (RM)
Nome: Edoardo Pulvirenti
Grazie mille per l'aiuto. Mi scuso per le foto.
5mm


a.JPG


_________________
”Da un grande potere derivano grandi responsabilità”
-Ben Parker


EDOARDO PULVIRENTI
Top
profilo
 Oggetto del messaggio: Re: Notiophilus sp. - Carabidae
MessaggioInviato: 06/03/2018, 21:33 
Avatar utente

Iscritto il: 10/04/2016, 14:33
Messaggi: 1174
Località: Guidonia Montecelio (RM)
Nome: Edoardo Pulvirenti
Rilancio con una foto migliore :hi:


a.JPG


_________________
”Da un grande potere derivano grandi responsabilità”
-Ben Parker


EDOARDO PULVIRENTI
Top
profilo
 Oggetto del messaggio: Re: Notiophilus sp. - Carabidae
MessaggioInviato: 06/03/2018, 22:39 
Avatar utente

Iscritto il: 05/02/2009, 17:31
Messaggi: 9527
Località: milano
Nome: maurizio pavesi
ciao edo

Notiophilus geminatus Dejean & Boisduval, 1830

_________________
*****************
Immagine maurizio


Top
profilo
MessaggioInviato: 07/03/2018, 9:19 
Avatar utente

Iscritto il: 10/04/2016, 14:33
Messaggi: 1174
Località: Guidonia Montecelio (RM)
Nome: Edoardo Pulvirenti
Ok grazie mille

_________________
”Da un grande potere derivano grandi responsabilità”
-Ben Parker


EDOARDO PULVIRENTI


Top
profilo
Visualizza ultimi messaggi:  Ordina per  
nuovo argomento
rispondi
Pagina 1 di 1 [ 4 messaggi ]

Tutti gli orari sono UTC + 1 ora [ ora legale ]


Chi c’è in linea

Visitano il forum: Nessuno e 1 ospite


Non puoi aprire nuovi argomenti
Non puoi rispondere negli argomenti
Non puoi modificare i tuoi messaggi
Non puoi cancellare i tuoi messaggi
Non puoi inviare allegati

Cerca per:
Vai a:  
cron