Benvenuto Ospite

Forum Entomologi Italiani

www.entomologiitaliani.net/forum
 
Oggi è 23/03/2026, 15:47

Tutti gli orari sono UTC + 1 ora [ ora legale ]

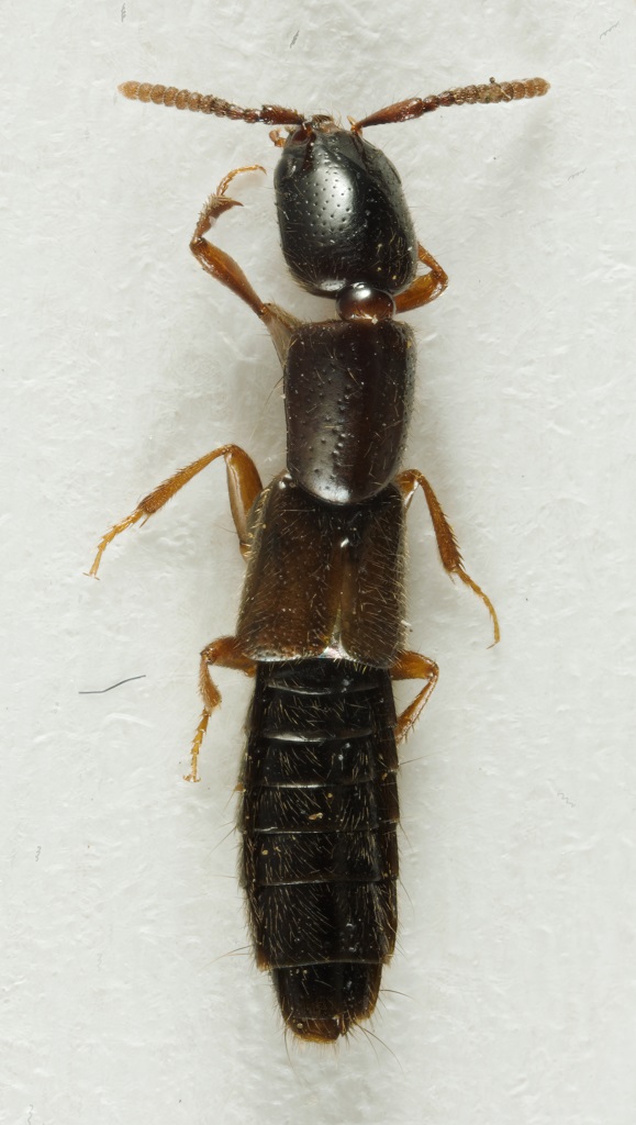
Xantholinus (Xantholinus) coiffaiti Franz, 1966 - Staphylinidae

19.VI.2021 - ITALIA - Lazio - RM, Campo dell'Osso - Monte livata, 1550 m


nuovo argomento
rispondi
Pagina 1 di 1 [ 3 messaggi ]
Autore Messaggio
MessaggioInviato: 10/01/2024, 19:04 
Avatar utente

Iscritto il: 05/05/2016, 11:22
Messaggi: 2998
Località: Santa Maria delle mole, Marino, Rm
Nome: Roberto Vanzini
Dim. 5,90 mm

Questo dovrebbe essere uno Xantholinus ma non sono riuscito a determinarlo. Qualche suggerimento? Dovrebbe essere un maschio, forse converrebbe estrarlo.


2024-01-10 17-54-13 (C,S3)1.jpg


_________________
Roberto Vanzini
Top
profilo
 Oggetto del messaggio: Re: Xantholinus sp.
MessaggioInviato: 11/01/2024, 13:34 
Avatar utente

Iscritto il: 05/05/2016, 11:22
Messaggi: 2998
Località: Santa Maria delle mole, Marino, Rm
Nome: Roberto Vanzini
Estratto e fotografato al volo al microscopio. Dall'edeago direi proprio Xantholinus ma oltre non vado.


WhatsApp_Image_2024-01-11_at_12.30.39.jpg


_________________
Roberto Vanzini
Top
profilo
MessaggioInviato: 17/01/2024, 10:20 
Avatar utente

Iscritto il: 05/05/2016, 11:22
Messaggi: 2998
Località: Santa Maria delle mole, Marino, Rm
Nome: Roberto Vanzini
X. coiffaiti determinato da Sbordoni. Grazie al fondamentale aiuto di Silvio Cuoco.
Aggiungo l'edeago chiarificato.


20240115_085644.jpg


_________________
Roberto Vanzini
Top
profilo
Visualizza ultimi messaggi:  Ordina per  
nuovo argomento
rispondi
Pagina 1 di 1 [ 3 messaggi ]

Tutti gli orari sono UTC + 1 ora [ ora legale ]


Chi c’è in linea

Visitano il forum: Nessuno e 4 ospiti


Non puoi aprire nuovi argomenti
Non puoi rispondere negli argomenti
Non puoi modificare i tuoi messaggi
Non puoi cancellare i tuoi messaggi
Non puoi inviare allegati

Cerca per:
Vai a: