Forum Entomologi Italiani
https://www.entomologiitaliani.net/public/forum/phpbb3/

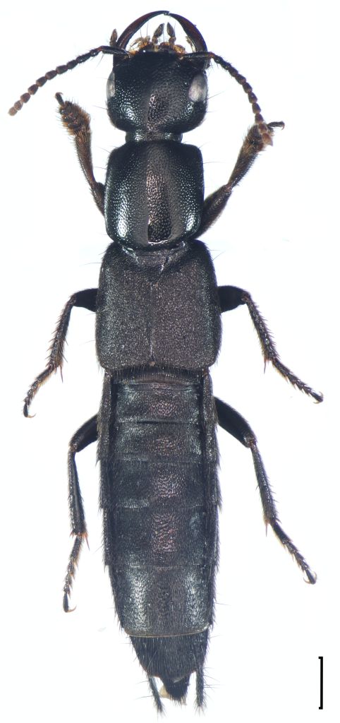
Tasgius globulifer (Geoffroy, 1785) (cf.) - Staphylinidae
https://www.entomologiitaliani.net/public/forum/phpbb3/viewtopic.php?f=243&t=105984
Pagina 1 di 1

Autore:  Simox [ 24/11/2024, 18:04 ]
Oggetto del messaggio:  Tasgius globulifer (Geoffroy, 1785) (cf.) - Staphylinidae

Continuo con gli stafilinidi: 13mm
Grazie in anticipo

Allegati:
Stafilinidae 3.jpg


Autore:  mascalzonepadano [ 25/11/2024, 10:37 ]
Oggetto del messaggio:  Re: Stafilinidae da determinare 3

Senza estrazione non si arriva con certezza alla specie. In Friuli ci sono 3 specie molto simili:
Tasgius winkleri
Tasgius globulifer
Tasgius melanarius

Nic

Autore:  Honza [ 25/11/2024, 16:43 ]
Oggetto del messaggio:  Re: Stafilinidae da determinare 3

:?: globulifer Geoffroy, 1785

genus: Tasgius Stephens, 1829
subgenus: Rayacheila Motschulsky, 1845

globulifer Geoffroy, 1785
melanarius Heer, 1839
winkleri Bernhauer, 1906

Allegati:
media_20241115_191504_251103121756246921.jpg

winkleri Bernhauer, 1906
winckler.jpg

melanarius Heer, 1839
melanari.jpg

globulifer Geoffroy, 1785
globulif.jpg

Rayacheila . Tasgius.jpg


Autore:  Simox [ 26/11/2024, 21:27 ]
Oggetto del messaggio:  Re: Stafilinidae da determinare 3

Intanto grazie, proverò a cimentarmi con l'estrazione

Pagina 1 di 1 Tutti gli orari sono UTC + 1 ora [ ora legale ]
Powered by phpBB® Forum Software © phpBB Group
http://www.phpbb.com/