Benvenuto Ospite

Forum Entomologi Italiani

www.entomologiitaliani.net/forum
 
Oggi è 01/12/2025, 6:05

Tutti gli orari sono UTC + 1 ora [ ora legale ]

Siagonium quadricorne Kirby, 1815 (Sasso Marconi (BO)) e Siagonium humerale Germar, 1817 - Staphylinidae



nuovo argomento
rispondi
Pagina 1 di 1 [ 4 messaggi ]
Autore Messaggio
MessaggioInviato: 17/10/2010, 17:46 
Avatar utente

Iscritto il: 05/02/2009, 17:25
Messaggi: 4894
Località: Zola Predosa (BO)
Nome: Loris Colacurcio
Trovato sotto la corteccia di un grosso pioppo, abbattuto dalle piene del fiume Reno dell'anno scorso....Potrebbe essere un Siagonum, forse la femmina (priva delle appendici cefaliche ?) :oops:

Sasso Marconi (BO) - Palazzo Rossi, ottobre 2010
Lunghezza: 4 mm. circa
Staphylinide 4mm. P.zzo Rossi.JPG


_________________
Loris


Top
profilo
MessaggioInviato: 17/10/2010, 17:59 
Avatar utente

Iscritto il: 09/11/2009, 14:12
Messaggi: 5158
Località: Hradec Kralove,Czech republik
Nome: Jan Matějíček
Italian fauna due tipi

Siagonium Kirby, 1815

Siagonium humerale Germar, 1817 (N, S, Si)
Siagonium quadricorne Kirby, 1815 (N, S, Si)


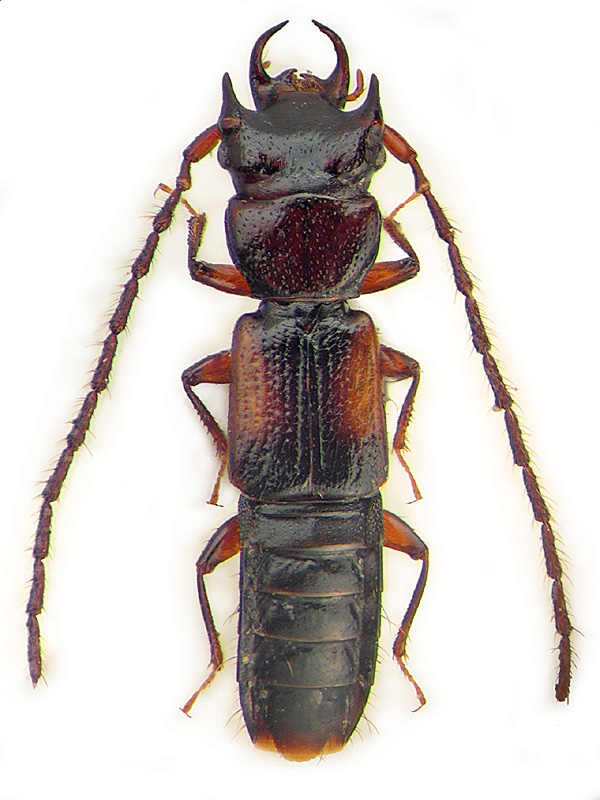
Questo è Siagonium quadricorne Kirby, 1815 - femminile


maschio.jpg

femminile.jpg


_________________
Research Fields
Taxonomy, ecology, biomonitoring , faunistic of Staphylinidae
Top
profilo
MessaggioInviato: 17/10/2010, 18:05 
Avatar utente

Iscritto il: 05/02/2009, 17:25
Messaggi: 4894
Località: Zola Predosa (BO)
Nome: Loris Colacurcio
:hp: Evviva, non mi ero sbagliato !!

Ecco anche il maschio, che avevo già postato insieme ad altri corticicoli di Palazzo Rossi e trovato nel novembre dello scorso anno sempre sotto corteccia di pioppo.

(Staphylinide) Siagonium quadricorne (Kirby)1c.JPG


(Staphylinide) Siagonium quadricorne (Kirby)1b.JPG


_________________
Loris


Top
profilo
MessaggioInviato: 17/10/2010, 18:18 
Avatar utente

Iscritto il: 09/11/2009, 14:12
Messaggi: 5158
Località: Hradec Kralove,Czech republik
Nome: Jan Matějíček
:ok:

Siagonium humerale Germar, 1817


siagonium_humerale_germ[1].jpg

DSC_0001.JPG


_________________
Research Fields
Taxonomy, ecology, biomonitoring , faunistic of Staphylinidae
Top
profilo
Visualizza ultimi messaggi:  Ordina per  
nuovo argomento
rispondi
Pagina 1 di 1 [ 4 messaggi ]

Tutti gli orari sono UTC + 1 ora [ ora legale ]


Chi c’è in linea

Visitano il forum: Nessuno e 3 ospiti


Non puoi aprire nuovi argomenti
Non puoi rispondere negli argomenti
Non puoi modificare i tuoi messaggi
Non puoi cancellare i tuoi messaggi
Non puoi inviare allegati

Cerca per:
Vai a:  
cron