Benvenuto Ospite

Forum Entomologi Italiani

www.entomologiitaliani.net/forum
 
Oggi è 22/03/2026, 23:55

Tutti gli orari sono UTC + 1 ora [ ora legale ]

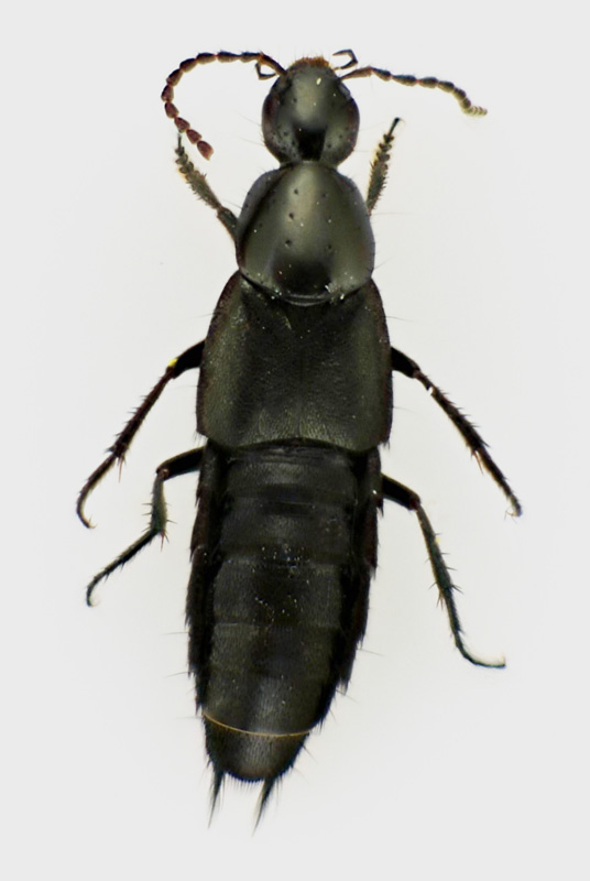
Philonthus (Philonthus) cf. cognatus (Stephens, 1832) - Staphylinidae Staphylininae Philonthini Philonthina

13.III.2011 - ITALIA - Umbria - PG, Magione N 43°11'51,6'' E 12°13'16,19''


nuovo argomento
rispondi
Pagina 1 di 1 [ 3 messaggi ]
Autore Messaggio
MessaggioInviato: 17/03/2011, 13:10 
 

Iscritto il: 02/02/2011, 11:51
Messaggi: 275
Località: Magione (PG)
Nome: ilio rocchi
raccolto sotto uno strato di muschio secco

9 mm

stafilinide 1.jpg


_________________
_____________________
ilio rocchi


Top
profilo
 Oggetto del messaggio: Re: stafilinide
MessaggioInviato: 17/03/2011, 14:00 
Avatar utente

Iscritto il: 09/11/2009, 14:12
Messaggi: 5196
Località: Hradec Kralove,Czech republik
Nome: Jan Matějíček
Philonthus (s.str.) cf. cognatus (Stephens, 1832) - Staphylininae - Philonthini - Philonthina

_________________
Research Fields
Taxonomy, ecology, biomonitoring , faunistic of Staphylinidae


Ultima modifica di Honza il 17/03/2011, 14:05, modificato 1 volta in totale.

Top
profilo
 Oggetto del messaggio: Re: stafilinide
MessaggioInviato: 17/03/2011, 14:02 
 

Iscritto il: 02/02/2011, 11:51
Messaggi: 275
Località: Magione (PG)
Nome: ilio rocchi
grazie

:hi:

ilio rocchi

_________________
_____________________
ilio rocchi


Top
profilo
Visualizza ultimi messaggi:  Ordina per  
nuovo argomento
rispondi
Pagina 1 di 1 [ 3 messaggi ]

Tutti gli orari sono UTC + 1 ora [ ora legale ]


Chi c’è in linea

Visitano il forum: Nessuno e 1 ospite


Non puoi aprire nuovi argomenti
Non puoi rispondere negli argomenti
Non puoi modificare i tuoi messaggi
Non puoi cancellare i tuoi messaggi
Non puoi inviare allegati

Cerca per:
Vai a: