Benvenuto Ospite

Forum Entomologi Italiani

www.entomologiitaliani.net/forum
 
Oggi è 23/03/2026, 11:48

Tutti gli orari sono UTC + 1 ora [ ora legale ]

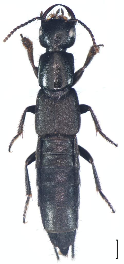
Tasgius (Raycheila) winkleri (Bernhauer, 1906) (cf.) - Staphylininae - Staphylinini

14.III.2011 - ITALIA - Emilia-Romagna - RE, Montecchio Emilia (90 mt slm)


nuovo argomento
rispondi
Pagina 1 di 1 [ 9 messaggi ]
Autore Messaggio
MessaggioInviato: 14/03/2011, 19:42 
Avatar utente

Iscritto il: 21/02/2011, 15:25
Messaggi: 3879
Località: Montecchio Emilia (RE)
Nome: Violi Michele
Preso con trappole a caduta (senza aceto), 1,6 cm, sembra l'olens ma le dimensioni non quadrano :?


sss.JPG

ddd.JPG


_________________
Michele :D
Top
profilo
 Oggetto del messaggio: Re: Ocypus sp.? - Staphylinidae
MessaggioInviato: 14/03/2011, 20:06 
Avatar utente

Iscritto il: 09/11/2009, 14:12
Messaggi: 5196
Località: Hradec Kralove,Czech republik
Nome: Jan Matějíček
Tasgius (Raycheila) sp. - Staphylininae - Staphylinini

_________________
Research Fields
Taxonomy, ecology, biomonitoring , faunistic of Staphylinidae


Top
profilo
 Oggetto del messaggio: Re: Ocypus sp.? - Staphylinidae
MessaggioInviato: 14/03/2011, 20:36 
Avatar utente

Iscritto il: 21/02/2011, 15:25
Messaggi: 3879
Località: Montecchio Emilia (RE)
Nome: Violi Michele
Hi, thanks you! You can get the kind, or you need a more detailed picture? What part of your body?

_________________
Michele :D


Top
profilo
 Oggetto del messaggio: Re: Ocypus sp.? - Staphylinidae
MessaggioInviato: 14/03/2011, 20:45 
Avatar utente

Iscritto il: 01/07/2010, 22:26
Messaggi: 5663
Località: Viterbo
Nome: Marco Selis
Mikiphasmide ha scritto:
Hi, thanks you! You can get the kind, or you need a more detailed picture? What part of your body?


Penso che volevi scrivere:
Hi, thank you! Can you find the genus or you need a more detailed picture? Which part of its body do you need?
Dai una ripassatina all'inglese :lol: :lol:


Top
profilo
MessaggioInviato: 14/03/2011, 20:54 
Avatar utente

Iscritto il: 21/02/2011, 15:25
Messaggi: 3879
Località: Montecchio Emilia (RE)
Nome: Violi Michele
Non è la mia materia preferita :oooner: E ho usato Google-traduttore :oops: Comunque volevo scrivere: "Si riesce a trovare la specie o ci vuole una foto più dettagliata? Di quale parte del corpo?"

_________________
Michele :D


Top
profilo
MessaggioInviato: 14/03/2011, 21:17 
Avatar utente

Iscritto il: 01/07/2010, 22:26
Messaggi: 5663
Località: Viterbo
Nome: Marco Selis
Sinceramente neanche io la amo molto, ma mi riesco a orientare abbastanza.
Come immaginavo, Google Traduttore colpisce ancora con le sue traduzioni fantasiose :lol1:


Top
profilo
MessaggioInviato: 14/03/2011, 21:21 
Avatar utente

Iscritto il: 09/11/2009, 14:12
Messaggi: 5196
Località: Hradec Kralove,Czech republik
Nome: Jan Matějíček
Italia fauna di queste specie
Tasgius (Rayacheila) morsitans (Rossi, 1790)
= compressus (Marsham, 1802)
Tasgius (Raycheila) morsitans cerdo Erichson, 1840 (N, S, Si, Sa)
viewtopic.php?f=243&t=12735&hilit=compressus
Tasgius (Raycheila) falcifer (Nordmann, 1837)
Tasgius (Raycheila) falcifer aliquoi Bordoni, 1975 (Si) [E]
Tasgius (Raycheila) falcifer falcifer (Nordmann, 1837) (N, S, Sa)
viewtopic.php?f=243&t=15571&p=88351&hilit=falcifer#p88351
Tasgius (Raycheila) globulifer (Fourcroy, 1785)
Tasgius (Raycheila) globulifer globulifer (Fourcroy, 1785) (N, S, Sa)
Tasgius (Raycheila) globulifer sicanus (Coiffait, 1974) (S?, Si) [E]
Tasgius (Raycheila) melanarius (Heer, 1839) (N)
Tasgius (Raycheila) winkleri (Bernhauer, 1906) (N, S, Si, Sa)


winkleri (Bernhauer, 1906)
winkleri (Bernhauer, 1906).jpg

melanarius (Heer, 1839)
melanarius (Heer, 1839).jpg

globulifer (Fourcroy, 1785)
globulifer (Fourcroy, 1785).jpg


_________________
Research Fields
Taxonomy, ecology, biomonitoring , faunistic of Staphylinidae


Ultima modifica di Honza il 14/03/2011, 21:33, modificato 2 volte in totale.
Top
profilo
MessaggioInviato: 14/03/2011, 21:30 
Avatar utente

Iscritto il: 21/02/2011, 15:25
Messaggi: 3879
Località: Montecchio Emilia (RE)
Nome: Violi Michele
Ok, quindi non andiamo avanti nella specie?

_________________
Michele :D


Top
profilo
MessaggioInviato: 23/05/2011, 11:44 
 

Iscritto il: 06/02/2009, 9:09
Messaggi: 530
Località: Milano
Nome: Nicola Pilon
E' quasi sicuramente T. winkleri.
Nic


Top
profilo
Visualizza ultimi messaggi:  Ordina per  
nuovo argomento
rispondi
Pagina 1 di 1 [ 9 messaggi ]

Tutti gli orari sono UTC + 1 ora [ ora legale ]


Chi c’è in linea

Visitano il forum: marco villa e 1 ospite


Non puoi aprire nuovi argomenti
Non puoi rispondere negli argomenti
Non puoi modificare i tuoi messaggi
Non puoi cancellare i tuoi messaggi
Non puoi inviare allegati

Cerca per:
Vai a: