Benvenuto Ospite

Forum Entomologi Italiani

www.entomologiitaliani.net/forum
 
Oggi è 22/03/2026, 23:44

Tutti gli orari sono UTC + 1 ora [ ora legale ]

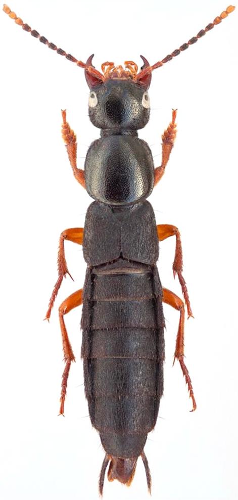
Ocypus (Matidus) brunnipes alpicola Erichson, 1840 - Staphylinidae

7.III.2011 - ITALIA - Veneto - VE, Lido di Venezia-S. Nicolo'


nuovo argomento
rispondi
Pagina 1 di 1 [ 6 messaggi ]
Autore Messaggio
MessaggioInviato: 17/03/2011, 23:18 
Avatar utente

Iscritto il: 17/12/2009, 19:19
Messaggi: 577
Località: Miane (TV)
Nome: Franco Sandel
Staphylinidae sp.- Lido di Venezia-S. Nicolo'- 7-marzo-2011


Staphylinidae sp.- Lido di Venezia-S. Nicolo'- 7-marzo-2011
04 Staphylinidae sp.- Lido di Venezia-S. Nicol0- 7-marzo-2011-.jpg


_________________
Effe Esse
Top
profilo
 Oggetto del messaggio: Re: Staphylinidae sp.
MessaggioInviato: 18/03/2011, 17:30 
Avatar utente

Iscritto il: 17/12/2009, 19:19
Messaggi: 577
Località: Miane (TV)
Nome: Franco Sandel
Inserisco le dimensioni: lg. 14 mm.

Franco

_________________
Effe Esse


Top
profilo
 Oggetto del messaggio: Re: Staphylinidae sp.
MessaggioInviato: 18/03/2011, 19:01 
Avatar utente

Iscritto il: 09/11/2009, 14:12
Messaggi: 5196
Località: Hradec Kralove,Czech republik
Nome: Jan Matějíček
Ocypus (Matidus) brunnipes (Fabricius, 1781)


Ocypus (Matidus) brunnipes(Fabricius, 1781).jpg


_________________
Research Fields
Taxonomy, ecology, biomonitoring , faunistic of Staphylinidae
Top
profilo
 Oggetto del messaggio: Re: Staphylinidae sp.
MessaggioInviato: 19/03/2011, 9:43 
Avatar utente

Iscritto il: 17/12/2009, 19:19
Messaggi: 577
Località: Miane (TV)
Nome: Franco Sandel
Jan, thank you for your help :ok: :ok: :ok:

Bye Franco

_________________
Effe Esse


Top
profilo
 Oggetto del messaggio: Re: Staphylinidae sp.
MessaggioInviato: 18/06/2011, 13:10 
 

Iscritto il: 02/02/2011, 23:41
Messaggi: 14
Nome: Zanetti Adriano
Franco Sandel ha scritto:
Staphylinidae sp.- Lido di Venezia-S. Nicolo'- 7-marzo-2011


Ocypus alpicola (specie distinta da brunnipes)


Top
profilo
 Oggetto del messaggio: Re: Staphylinidae sp.
MessaggioInviato: 19/06/2011, 13:59 
Avatar utente

Iscritto il: 09/11/2009, 14:12
Messaggi: 5196
Località: Hradec Kralove,Czech republik
Nome: Jan Matějíček
Ocypus (Matidus) brunnipes alpicola Erichson, 1840 - Staphylinina

_________________
Research Fields
Taxonomy, ecology, biomonitoring , faunistic of Staphylinidae


Top
profilo
Visualizza ultimi messaggi:  Ordina per  
nuovo argomento
rispondi
Pagina 1 di 1 [ 6 messaggi ]

Tutti gli orari sono UTC + 1 ora [ ora legale ]


Chi c’è in linea

Visitano il forum: Nessuno e 1 ospite


Non puoi aprire nuovi argomenti
Non puoi rispondere negli argomenti
Non puoi modificare i tuoi messaggi
Non puoi cancellare i tuoi messaggi
Non puoi inviare allegati

Cerca per:
Vai a: