Benvenuto Ospite

Forum Entomologi Italiani

www.entomologiitaliani.net/forum
 
Oggi è 05/02/2026, 5:06

Tutti gli orari sono UTC + 1 ora [ ora legale ]

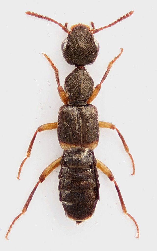
Rugilus orbiculatus (Paykull, 1789) (cf.) - Staphylinidae

5.XII.2011 - ITALIA - Lazio - RM, Roma, San Vittorino


nuovo argomento
rispondi
Pagina 1 di 1 [ 6 messaggi ]
Autore Messaggio
MessaggioInviato: 16/12/2011, 18:05 
Avatar utente

Iscritto il: 30/12/2009, 22:20
Messaggi: 31564
Località: Roma
Nome: Maurizio Gigli
Sempre dal solito poliporo. Questo è un po' più grandino. Ho provato a fotografarlo comunque con obiettivo da microscopio, anche se sarebbe sicuramente venuto meglio con l'MP-E 65. Stavolta ho fatto una prova con un obiettivo cinese 2x/0.05 160/- di marca ignota, che avevo preso a pochi euro e buttato in un cassetto tempo fa, non riuscendo ad usarlo sul microscopio.

Scusate la colla sull'insetto. Pensavo di averla levata (mi era cascato sulla colla mentre lo stavo mettendo sul cartellino), ma sotto la luce dei faretti si è staccata la sottile pellicola di colla che era rimasta attaccata sulla cuticola qua e là.

Lazio, Roma, San Vittorino, 5.XII.2011, in un vecchio poliporo alla base di una quercia, M. Gigli legit

4,4 mm
Staphylinidae_SanVittorino, 5-XII-2011_4,4mm.jpg


_________________
Maurizio Gigli
http://utenti.romascuola.net/bups
http://bup.xoom.it/


Top
profilo
 Oggetto del messaggio: Re: Staphylinidae - Lazio
MessaggioInviato: 16/12/2011, 18:31 
Avatar utente

Iscritto il: 09/11/2009, 14:12
Messaggi: 5189
Località: Hradec Kralove,Czech republik
Nome: Jan Matějíček
molto simile ai due tipi Rugilus orbiculatus (Paykull, 1789) ,Rugilus similis (Erichson, 1839)

Penso che Rugilus orbiculatus (Paykull, 1789)


Rugilus.jpg


_________________
Research Fields
Taxonomy, ecology, biomonitoring , faunistic of Staphylinidae
Top
profilo
 Oggetto del messaggio: Re: Staphylinidae - Lazio
MessaggioInviato: 16/12/2011, 19:35 
Avatar utente

Iscritto il: 30/12/2009, 22:20
Messaggi: 31564
Località: Roma
Nome: Maurizio Gigli
Grazie Jan. Come si distinguono le due specie? Solo dai genitali?

_________________
Maurizio Gigli
http://utenti.romascuola.net/bups
http://bup.xoom.it/


Top
profilo
 Oggetto del messaggio: Re: Staphylinidae - Lazio
MessaggioInviato: 16/12/2011, 20:36 
Avatar utente

Iscritto il: 09/11/2009, 14:12
Messaggi: 5189
Località: Hradec Kralove,Czech republik
Nome: Jan Matějíček
Rugilus genitali


Scan595.jpg


_________________
Research Fields
Taxonomy, ecology, biomonitoring , faunistic of Staphylinidae
Top
profilo
 Oggetto del messaggio: Re: Staphylinidae - Lazio
MessaggioInviato: 16/12/2011, 22:53 
Avatar utente

Iscritto il: 30/12/2009, 22:20
Messaggi: 31564
Località: Roma
Nome: Maurizio Gigli
Grazie Jan. Quindi bisognerebbe esaminare i genitali. La forma della testa mi pare più simile a quella del similis, ma così, solo come vaga impressione.

_________________
Maurizio Gigli
http://utenti.romascuola.net/bups
http://bup.xoom.it/


Top
profilo
MessaggioInviato: 17/12/2011, 10:48 
Avatar utente

Iscritto il: 09/11/2009, 14:12
Messaggi: 5189
Località: Hradec Kralove,Czech republik
Nome: Jan Matějíček
Differenze tra le specie Rugilus orbiculatus (Paykull, 1789) ,Rugilus similis (Erichson, 1839)


Scan596.jpg

Scan597.jpg

Scan598.jpg


_________________
Research Fields
Taxonomy, ecology, biomonitoring , faunistic of Staphylinidae
Top
profilo
Visualizza ultimi messaggi:  Ordina per  
nuovo argomento
rispondi
Pagina 1 di 1 [ 6 messaggi ]

Tutti gli orari sono UTC + 1 ora [ ora legale ]


Chi c’è in linea

Visitano il forum: Nessuno e 1 ospite


Non puoi aprire nuovi argomenti
Non puoi rispondere negli argomenti
Non puoi modificare i tuoi messaggi
Non puoi cancellare i tuoi messaggi
Non puoi inviare allegati

Cerca per:
Vai a:  
cron