Benvenuto Ospite

Forum Entomologi Italiani

www.entomologiitaliani.net/forum
 
Oggi è 24/03/2026, 6:45

Tutti gli orari sono UTC + 1 ora [ ora legale ]

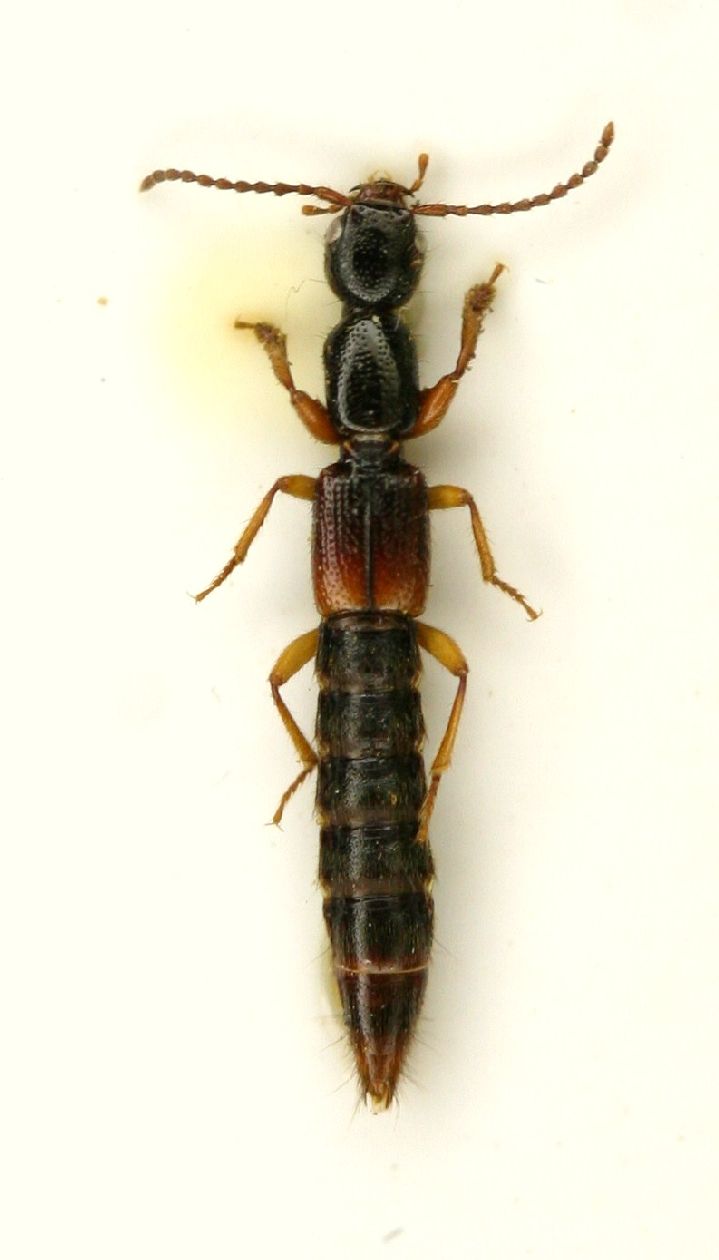
Lobrathium multipunctum multipunctum (Gravenhorst, 1802) - Staphylinidae

22.VII.2006 - ITALIA - Emilia-Romagna - BO, Sasso Marconi, loc. Palazzo Rossi [det. Busato]


nuovo argomento
rispondi
Pagina 1 di 1 [ 1 messaggio ]
Autore Messaggio
MessaggioInviato: 01/03/2012, 23:44 
Avatar utente

Iscritto il: 05/02/2009, 17:25
Messaggi: 4894
Località: Zola Predosa (BO)
Nome: Loris Colacurcio
Ieri sera ho aperto la scatola con gli stafilinidi, quelli determinati (una minoranza), unicamente presi a Palazzo Rossi....beh, ecco le foto di quelli più grandicelli, che ho immortalato con il mio artigianalissimo stativo.

Lunghezza: 8,50 mm. circa

Lobrathium multipunctum multipunctum (Gravenhorst, 1802)  22.7.06  8.5 mm busato.JPG


_________________
Loris


Top
profilo
Visualizza ultimi messaggi:  Ordina per  
nuovo argomento
rispondi
Pagina 1 di 1 [ 1 messaggio ]

Tutti gli orari sono UTC + 1 ora [ ora legale ]


Chi c’è in linea

Visitano il forum: Nessuno e 2 ospiti


Non puoi aprire nuovi argomenti
Non puoi rispondere negli argomenti
Non puoi modificare i tuoi messaggi
Non puoi cancellare i tuoi messaggi
Non puoi inviare allegati

Cerca per:
Vai a:  
cron