Benvenuto Ospite

Forum Entomologi Italiani

www.entomologiitaliani.net/forum
 
Oggi è 18/01/2026, 20:42

Tutti gli orari sono UTC + 1 ora [ ora legale ]

Ontholestes murinus (Linnaeus, 1758) - Staphylididae

8.IX.2012 - ITALIA - Sicilia - ME, Monti Peloritani, Musolino: area attrezzata (700 m s.l.m.)


nuovo argomento
rispondi
Pagina 1 di 1 [ 3 messaggi ]
Autore Messaggio
MessaggioInviato: 06/12/2012, 19:30 
Avatar utente

Iscritto il: 30/12/2010, 11:51
Messaggi: 4548
Località: San Giovanni Valdarno (AR)
Nome: Giovanni Altadonna
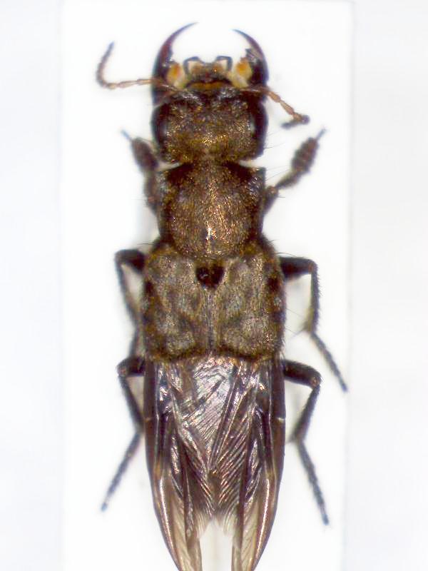
Terzo e ultimo Stafilinide da identificare. :)

Sicilia (ME) - Monti Peloritani, Musolino (700 m s.l.m.), 8/IX/2012, in sterco bovino, G. Altadonna legit.

Dimensioni: 13 mm

Immagine 491.jpg


_________________
"L' uomo che è cieco alle bellezze della natura ha perduto metà del piacere di vivere"
Sir Robert Baden Powell

Giovanni Altadonna


Top
profilo
 Oggetto del messaggio: Re: Staphylididae da ID 3
MessaggioInviato: 06/12/2012, 19:32 
Avatar utente

Iscritto il: 09/11/2009, 14:12
Messaggi: 5187
Località: Hradec Kralove,Czech republik
Nome: Jan Matějíček
viewtopic.php?f=11&t=40019&hilit=Ontholestes

_________________
Research Fields
Taxonomy, ecology, biomonitoring , faunistic of Staphylinidae


Top
profilo
 Oggetto del messaggio: Re: Staphylididae da ID 3
MessaggioInviato: 06/12/2012, 20:11 
Avatar utente

Iscritto il: 30/12/2010, 11:51
Messaggi: 4548
Località: San Giovanni Valdarno (AR)
Nome: Giovanni Altadonna
Grazie Jan! :birra:
L' aspetto, la distrubuzione e le dimensioni mi indirizzano verso
Ontholestes murinus (Linné, 1758) :ok:

_________________
"L' uomo che è cieco alle bellezze della natura ha perduto metà del piacere di vivere"
Sir Robert Baden Powell

Giovanni Altadonna


Top
profilo
Visualizza ultimi messaggi:  Ordina per  
nuovo argomento
rispondi
Pagina 1 di 1 [ 3 messaggi ]

Tutti gli orari sono UTC + 1 ora [ ora legale ]


Chi c’è in linea

Visitano il forum: Nessuno e 1 ospite


Non puoi aprire nuovi argomenti
Non puoi rispondere negli argomenti
Non puoi modificare i tuoi messaggi
Non puoi cancellare i tuoi messaggi
Non puoi inviare allegati

Cerca per:
Vai a: