Benvenuto Ospite

Forum Entomologi Italiani

www.entomologiitaliani.net/forum
 
Oggi è 23/03/2026, 10:01

Tutti gli orari sono UTC + 1 ora [ ora legale ]

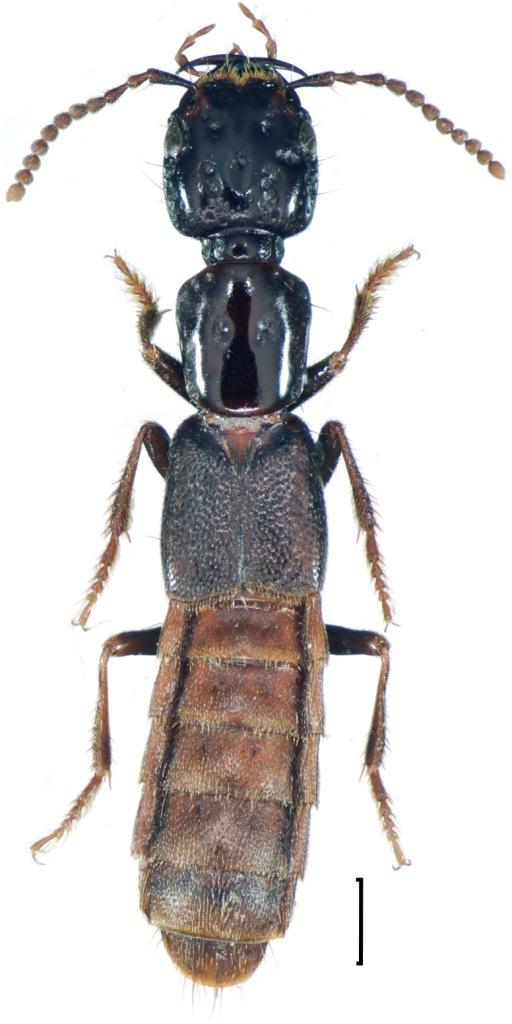
Cafius (Pseudoremus) xantholoma (Gravenhorst, 1806) (cf.) - Staphylinidae

14.II.2014 - ITALIA - Toscana - LI, Arcipelago Toscano


nuovo argomento
rispondi
Vai alla pagina 1, 2  Prossimo
Pagina 1 di 2 [ 17 messaggi ]
Autore Messaggio
MessaggioInviato: 19/02/2014, 23:14 
Avatar utente

Iscritto il: 17/02/2009, 0:05
Messaggi: 8524
Località: Isola d'Elba - Arcipelago Toscano
Nome: Leonardo Forbicioni
Trovato appunto sotto un tronco spiaggiato.
7,5mm


Staphylinidae-spiaggia.jpg

Staphylinidae-spiaggia-edeago.jpg


_________________
"Stay hungry, stay foolish".
Steve Jobs, 2005
___________________
jjuniper8(at)gmail.com
Twitter: @weevil_forbix
cell. 339/5275910
___________________


Top
profilo
 Oggetto del messaggio: Re: Staphylinidae....di spiaggia.
MessaggioInviato: 19/02/2014, 23:36 
Avatar utente

Iscritto il: 05/02/2009, 17:31
Messaggi: 9527
Località: milano
Nome: maurizio pavesi
Cafius sp. :roll: ?

_________________
*****************
Immagine maurizio


Top
profilo
 Oggetto del messaggio: Re: Staphylinidae....di spiaggia.
MessaggioInviato: 21/02/2014, 11:15 
Avatar utente

Iscritto il: 04/02/2009, 17:49
Messaggi: 5555
Località: Cagliari
Nome: Daniele Sechi
Questo è veramente bello!

_________________
:hi:
Daniele


Top
profilo
 Oggetto del messaggio: Re: Staphylinidae....di spiaggia.
MessaggioInviato: 21/02/2014, 11:26 
Avatar utente

Iscritto il: 17/02/2009, 0:05
Messaggi: 8524
Località: Isola d'Elba - Arcipelago Toscano
Nome: Leonardo Forbicioni
Daniele Sechi ha scritto:
Questo è veramente bello!

:lov2: :lov2:
:gh: :gh: :gh:
...e che pensavi...che mettessi uno "stafilino qualunque"?? :lol1: :lol1:

Quando l'ho visto correre sotto il tronco, appena estratto dalla sabbia, ho capito subito che si trattava di una specie che non mi era mai capitata,.... poi da solo, a casa, dopo averlo preparato, ho provato invano a determinarlo. :cry: :cry:
....credo comunque che non si tratti di bestia comune! :? :oops:

_________________
"Stay hungry, stay foolish".
Steve Jobs, 2005
___________________
jjuniper8(at)gmail.com
Twitter: @weevil_forbix
cell. 339/5275910
___________________


Top
profilo
 Oggetto del messaggio: Re: Staphylinidae....di spiaggia.
MessaggioInviato: 21/02/2014, 12:02 
Avatar utente

Iscritto il: 09/11/2009, 14:12
Messaggi: 5196
Località: Hradec Kralove,Czech republik
Nome: Jan Matějíček
nella regione Toscana due tipi Cafius cicatricosus Erichson, 1840 (N, S, Si, Sa) , Cafius xantholoma (Gravenhorst, 1806) (N, S, Si, Sa)


Cafius xantholoma (Gravenhorst, 1806)
Cafius xantholoma  (Gravenhorst, 1806).jpg

Cafius cicatricosus Erichson, 1840
Cafius cicatricosus Erichson,  1840.jpg

Cafius xantholoma (Gravenhorst, 1806)
Cafius xantholoma (Gravenhorst, 1806).jpg

Cafius cicatricosus Erichson, 1840
Cafius cicatricosus Erichson, 1840 .jpg


_________________
Research Fields
Taxonomy, ecology, biomonitoring , faunistic of Staphylinidae
Top
profilo
 Oggetto del messaggio: Re: Staphylinidae....di spiaggia.
MessaggioInviato: 21/02/2014, 12:19 
Avatar utente

Iscritto il: 04/02/2009, 17:49
Messaggi: 5555
Località: Cagliari
Nome: Daniele Sechi
Sembrerebbe un C. cicatricosus un po' immaturo?

_________________
:hi:
Daniele


Top
profilo
 Oggetto del messaggio: Re: Staphylinidae....di spiaggia.
MessaggioInviato: 21/02/2014, 14:33 
Avatar utente

Iscritto il: 25/11/2009, 9:31
Messaggi: 8158
Località: Lecce
Nome: Maurizio Bollino
Daniele Sechi ha scritto:
Sembrerebbe un C. cicatricosus un po' immaturo?


Quindi il differente numero di fossette del pronoto non è diagnostico?

_________________
Maurizio Bollino


Top
profilo
 Oggetto del messaggio: Re: Staphylinidae....di spiaggia.
MessaggioInviato: 21/02/2014, 14:58 
Avatar utente

Iscritto il: 04/02/2009, 17:49
Messaggi: 5555
Località: Cagliari
Nome: Daniele Sechi
Maurizio Bollino ha scritto:
Daniele Sechi ha scritto:
Sembrerebbe un C. cicatricosus un po' immaturo?


Quindi il differente numero di fossette del pronoto non è diagnostico?


Boh a me il pronoto sembra un po' raggrinzito e poco "leggibile", almeno dal mio pc... :roll:

_________________
:hi:
Daniele


Top
profilo
 Oggetto del messaggio: Re: Staphylinidae....di spiaggia.
MessaggioInviato: 21/02/2014, 15:02 
Avatar utente

Iscritto il: 09/11/2009, 14:12
Messaggi: 5196
Località: Hradec Kralove,Czech republik
Nome: Jan Matějíček
Cafius cicatricosus - Cafius xantholoma


Bez názvu.jpg


_________________
Research Fields
Taxonomy, ecology, biomonitoring , faunistic of Staphylinidae


Ultima modifica di Honza il 21/02/2014, 15:06, modificato 1 volta in totale.
Top
profilo
 Oggetto del messaggio: Re: Staphylinidae....di spiaggia.
MessaggioInviato: 21/02/2014, 15:02 
Avatar utente

Iscritto il: 17/02/2009, 0:05
Messaggi: 8524
Località: Isola d'Elba - Arcipelago Toscano
Nome: Leonardo Forbicioni
Le fossette sono "6" ;) , anche se non perfettamente visibili come negli esemplari proposti da Jan! :lov2:
Magari potrebbe trattarsi davvero di un esemplare immaturo. :? :? ...perchè in effetti, come dice Daniele, le fossette, osservate al binoculare, si "intuiscono" ma non si vedono in maniera chiarissima.
Per ora taxo come Cafius (Pseudoremus) xantholoma (Gravenhorst, 1806).
Se poi Jan ha anche una immagine dell'edeago, posso confrontarlo direttamente e toglierci gli ultimi dubbi. ;) :ok:

P.S. - Vedo che Jan ora legge anche nel pensiero!!! :lov2: :lov2: :hp:
P.P.S. - Confronto e vi dico!

_________________
"Stay hungry, stay foolish".
Steve Jobs, 2005
___________________
jjuniper8(at)gmail.com
Twitter: @weevil_forbix
cell. 339/5275910
___________________


Top
profilo
 Oggetto del messaggio: Re: Staphylinidae....di spiaggia.
MessaggioInviato: 21/02/2014, 15:11 
Avatar utente

Iscritto il: 17/02/2009, 0:05
Messaggi: 8524
Località: Isola d'Elba - Arcipelago Toscano
Nome: Leonardo Forbicioni
Ho controllato........non son certo un esperto di Staphylinidae..... ma questo .....è un'altra cosa! :? :? :roll: :roll:

_________________
"Stay hungry, stay foolish".
Steve Jobs, 2005
___________________
jjuniper8(at)gmail.com
Twitter: @weevil_forbix
cell. 339/5275910
___________________


Top
profilo
 Oggetto del messaggio: Re: Staphylinidae....di spiaggia.
MessaggioInviato: 21/02/2014, 15:43 
Avatar utente

Iscritto il: 05/02/2009, 17:31
Messaggi: 9527
Località: milano
Nome: maurizio pavesi
a me :oops: fra i due sembrerebbe uno xantholoma, il cicatricosus ha elitre con punteggiatura più grossolana

FORBIX ha scritto:
Ho controllato........non son certo un esperto di Staphylinidae..... ma questo .....è un'altra cosa! :? :? :roll: :roll:

p.s. come non detto :to:

_________________
*****************
Immagine maurizio


Top
profilo
MessaggioInviato: 21/02/2014, 16:29 
Avatar utente

Iscritto il: 18/02/2009, 0:24
Messaggi: 3909
Località: Asciano (Siena)
Nome: Andrea Petrioli
L'edeago mi sembra corrispondere a quello del cicatricosus.....

_________________
:hi:
______
Andrea


Top
profilo
MessaggioInviato: 21/02/2014, 16:33 
Avatar utente

Iscritto il: 17/02/2009, 0:05
Messaggi: 8524
Località: Isola d'Elba - Arcipelago Toscano
Nome: Leonardo Forbicioni
Anillus ha scritto:
L'edeago mi sembra corrispondere a quello del cicatricosus.....

Direi di no, perchè manca quella sorta di "dentello allungato" che va a contatto con l'altro pezzo a dx del disegno.
Scusate la terminologia approssimativa, ma ho visto pochissimi "pipi" di Stafilini in vita mia! :lol: :lol:

_________________
"Stay hungry, stay foolish".
Steve Jobs, 2005
___________________
jjuniper8(at)gmail.com
Twitter: @weevil_forbix
cell. 339/5275910
___________________


Top
profilo
MessaggioInviato: 21/02/2014, 17:42 
Avatar utente

Iscritto il: 17/02/2009, 0:05
Messaggi: 8524
Località: Isola d'Elba - Arcipelago Toscano
Nome: Leonardo Forbicioni
Ora non ce la faccio a ri-fotografare l'edeago, ma lo farò senz'altro. ;)
Per ora inserisco qualche dettaglio dal tif originale.

Capo-Pronoto
Staphylinidae-spiaggia-dett-capo_pronoto.jpg

Elitre
Staphylinidae-spiaggia-dett_elitre.jpg


_________________
"Stay hungry, stay foolish".
Steve Jobs, 2005
___________________
jjuniper8(at)gmail.com
Twitter: @weevil_forbix
cell. 339/5275910
___________________


Top
profilo
Visualizza ultimi messaggi:  Ordina per  
nuovo argomento
rispondi
Vai alla pagina 1, 2  Prossimo
Pagina 1 di 2 [ 17 messaggi ]

Tutti gli orari sono UTC + 1 ora [ ora legale ]


Chi c’è in linea

Visitano il forum: Nessuno e 2 ospiti


Non puoi aprire nuovi argomenti
Non puoi rispondere negli argomenti
Non puoi modificare i tuoi messaggi
Non puoi cancellare i tuoi messaggi
Non puoi inviare allegati

Cerca per:
Vai a: