Benvenuto Ospite

Forum Entomologi Italiani

www.entomologiitaliani.net/forum
 
Oggi è 24/03/2026, 21:21

Tutti gli orari sono UTC + 1 ora [ ora legale ]

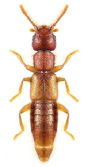
Hypomedon debilicornis (Wollaston, 1857) - Staphylinidae Paederinae Paederini Medonina

28.X.2013 - ITALIA - Emilia-Romagna - FE, Mesola, argine del Po


nuovo argomento
rispondi
Pagina 1 di 1 [ 5 messaggi ]
Autore Messaggio
MessaggioInviato: 16/12/2013, 20:53 
Avatar utente

Iscritto il: 09/06/2012, 20:57
Messaggi: 4283
Località: Mesola (FE)
Nome: Daniele Maccapani
Quest'anno ho festeggiato il mio compleanno cercando, con scarsi risultati, insetti lungo l'argine del Po :sma: :to: ... Uno dei pochi insetti raccolti è stato questo piccolino, che stava sotto una tavola di legno abbandonata a terra.
Dopo tanti tentativi, ero riuscito a fargli una sola foto migliore di questa... Ma sono riuscito a cancellarla dalla memoria della fotocamera, senza salvarla prima sul computer! :devil:
Si riesce a dire qualcosa? :oops:

Lunghezza: meno di 3mm
stafilino a.jpg



Grazie, :hi:

_________________
"Lasciate questo mondo un po' migliore di come lo avete trovato" (Sir Robert Baden Powell)
Immagine Daniele


Top
profilo
 Oggetto del messaggio: Re: Stafilinidae
MessaggioInviato: 16/12/2013, 21:26 
Avatar utente

Iscritto il: 09/11/2009, 14:12
Messaggi: 5196
Località: Hradec Kralove,Czech republik
Nome: Jan Matějíček
Medon sp. - Paederinae Paederini Medonina

_________________
Research Fields
Taxonomy, ecology, biomonitoring , faunistic of Staphylinidae


Top
profilo
 Oggetto del messaggio: Re: Medon sp. - Staphylinidae
MessaggioInviato: 16/12/2013, 22:06 
Avatar utente

Iscritto il: 09/06/2012, 20:57
Messaggi: 4283
Località: Mesola (FE)
Nome: Daniele Maccapani
Grazie Jan! :birra: :hi:

_________________
"Lasciate questo mondo un po' migliore di come lo avete trovato" (Sir Robert Baden Powell)
Immagine Daniele


Top
profilo
MessaggioInviato: 13/02/2022, 15:35 
 

Iscritto il: 02/11/2010, 22:33
Messaggi: 991
Nome: Aleksei Kovalev
Chloecharis debilicornis :roll:


Top
profilo
MessaggioInviato: 13/02/2022, 15:47 
Avatar utente

Iscritto il: 09/11/2009, 14:12
Messaggi: 5196
Località: Hradec Kralove,Czech republik
Nome: Jan Matějíček
AetherisIgnis ha scritto:
Chloecharis debilicornis :roll:


Hypomedon debilicornis (Wollaston, 1857)

genus Hypomedon Mulsant & Rey, 1878
Asteria Fauvel, 1889
Chloecharis Lynch Arribálzaga, 1884
Euastenus Fiori, 1915
Hemimedon Casey, 1905
Lena Casey, 1886



nel 2013 non avevo le stesse conoscenze di adesso :oops: :oops: :oops:


Hypomedon debilicornis (Wollaston, 1857)
syn. Chloecharis

Hypomedon debilicornis (Wollaston, 1857).jpg


_________________
Research Fields
Taxonomy, ecology, biomonitoring , faunistic of Staphylinidae
Top
profilo
Visualizza ultimi messaggi:  Ordina per  
nuovo argomento
rispondi
Pagina 1 di 1 [ 5 messaggi ]

Tutti gli orari sono UTC + 1 ora [ ora legale ]


Chi c’è in linea

Visitano il forum: Nessuno e 1 ospite


Non puoi aprire nuovi argomenti
Non puoi rispondere negli argomenti
Non puoi modificare i tuoi messaggi
Non puoi cancellare i tuoi messaggi
Non puoi inviare allegati

Cerca per:
Vai a: