| Forum Entomologi Italiani https://www.entomologiitaliani.net/public/forum/phpbb3/ |
|
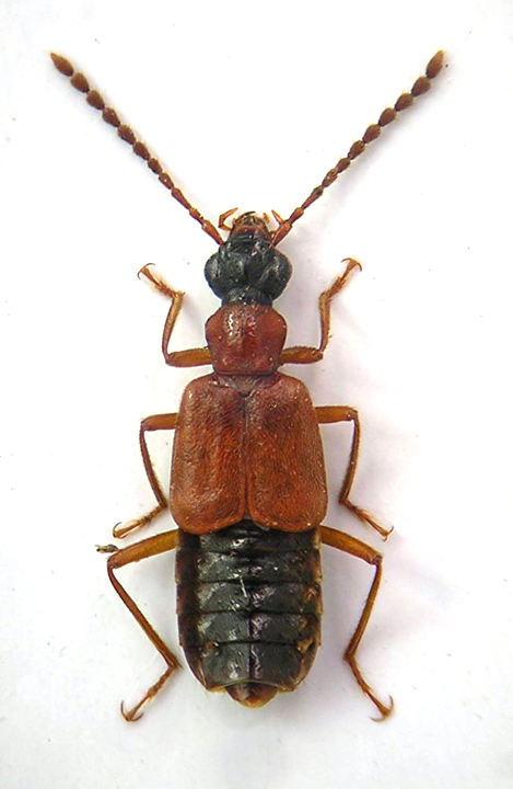
| Deleaster dichrous (Gravenhorst, 1802) - Staphylinidae Oxytelinae https://www.entomologiitaliani.net/public/forum/phpbb3/viewtopic.php?f=243&t=52277 |
Pagina 1 di 1 |
| Autore: | Alessio89 [ 26/03/2014, 22:17 ] |
| Oggetto del messaggio: | Deleaster dichrous (Gravenhorst, 1802) - Staphylinidae Oxytelinae |
A questi si uniscono "quelli" simili a cimici .Arrivato alla lampada UV sul balcone di casa. Forse Deleaster sp. |
|
| Autore: | pedux [ 26/03/2014, 22:28 ] |
| Oggetto del messaggio: | Re: Staphylinidae 4 da ID |
Deleaster dichrous? |
|
| Autore: | Honza [ 27/03/2014, 7:27 ] |
| Oggetto del messaggio: | Re: Staphylinidae 4 da ID |
Subfamily: O x y t e l i n a e Deleaster dichrous (Gravenhorst, 1802) |
|
| Autore: | Alessio89 [ 27/03/2014, 11:57 ] |
| Oggetto del messaggio: | Re: Staphylinidae 4 da ID |
Grazie Davide e Grazie Jan
|
|
| Pagina 1 di 1 | Tutti gli orari sono UTC + 1 ora [ ora legale ] |
| Powered by phpBB® Forum Software © phpBB Group http://www.phpbb.com/ |
|