Benvenuto Ospite

Forum Entomologi Italiani

www.entomologiitaliani.net/forum
 
Oggi è 22/03/2026, 22:36

Tutti gli orari sono UTC + 1 ora [ ora legale ]

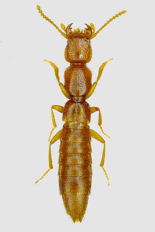
Scotonomus sardous Fagel, 1969 - Staphylinidae Paederinae

20.III.2014 - ITALIA - Sardegna - OG, Monte Tonneri, 1100m Leg. A. Degiovanni


nuovo argomento
rispondi
Pagina 1 di 1 [ 4 messaggi ]
Autore Messaggio
MessaggioInviato: 22/04/2014, 15:43 
Avatar utente

Iscritto il: 06/02/2009, 9:03
Messaggi: 6379
Località: Bubano di Mordano (Bologna)
Nome: Augusto Degiovanni
Questo è l'altro, lo Scotonumus sardous Fagel, 1969 ma non chiedetemi di postare l'edeago (che corrisponde perfettamente ai disegni del lavoro fatto da Bordoni, Fancello & Leo 2012 sulla revisione degli Scotonomus della Sardegna) perché ho fatto la cazzata di non farne una copia (foto che ho fatto per prima), ed infatti come ho fotografato l'abitus indovinate come l'ho nominata ??........ebbene come quella dell'edeago :no1: :no1: :no1: per cui l'ha sostituita :cry: :cry: .

Lunghezza: 4,8 - 5,2 mm su 7 esemplari

tn_Sardous.JPG


_________________
CIAO :hi: Augusto Degiovanni

http://anthicidaeecarabidae.altervista.org


Top
profilo
 Oggetto del messaggio: Re: Scotonomus sardous Fagel, 1969
MessaggioInviato: 22/04/2014, 16:04 
Avatar utente

Iscritto il: 05/02/2009, 17:25
Messaggi: 4894
Località: Zola Predosa (BO)
Nome: Loris Colacurcio
Vabbé, visto che le tue foto sono leggerissimamente migliori delle mie, eviterò di postare anche uno dei "miei" sardous...

Splendide foto :ok:

:hi:

_________________
Loris


Top
profilo
 Oggetto del messaggio: Re: Scotonomus sardous Fagel, 1969
MessaggioInviato: 22/04/2014, 17:19 
Avatar utente

Iscritto il: 06/02/2009, 9:03
Messaggi: 6379
Località: Bubano di Mordano (Bologna)
Nome: Augusto Degiovanni
Loriscola ha scritto:
Vabbé, visto che le tue foto sono leggerissimamente migliori delle mie, eviterò di postare anche uno dei "miei" sardous...

Splendide foto :ok:

:hi:


Grazie Loris :ok: , ma se vuoi puoi postare l'edeago, io questo non lo faccio più :devil:

_________________
CIAO :hi: Augusto Degiovanni

http://anthicidaeecarabidae.altervista.org


Top
profilo
 Oggetto del messaggio: Re: Scotonomus sardous Fagel, 1969
MessaggioInviato: 22/04/2014, 20:13 
Avatar utente

Iscritto il: 10/05/2010, 22:31
Messaggi: 4375
Località: Gavorrano (GR)
Nome: marco bastianini
Loriscola ha scritto:
Vabbé, visto che le tue foto sono leggerissimamente migliori delle mie

Si, ma proprio.......un cincillino :lov2: :lov2:

_________________
:to: Marco
"Le foreste a precedere le civiltà, i deserti a seguire."
François-René de Chateaubriand


Top
profilo
Visualizza ultimi messaggi:  Ordina per  
nuovo argomento
rispondi
Pagina 1 di 1 [ 4 messaggi ]

Tutti gli orari sono UTC + 1 ora [ ora legale ]


Chi c’è in linea

Visitano il forum: Nessuno e 4 ospiti


Non puoi aprire nuovi argomenti
Non puoi rispondere negli argomenti
Non puoi modificare i tuoi messaggi
Non puoi cancellare i tuoi messaggi
Non puoi inviare allegati

Cerca per:
Vai a: