Benvenuto Ospite

Forum Entomologi Italiani

www.entomologiitaliani.net/forum
 
Oggi è 22/03/2026, 23:55

Tutti gli orari sono UTC + 1 ora [ ora legale ]

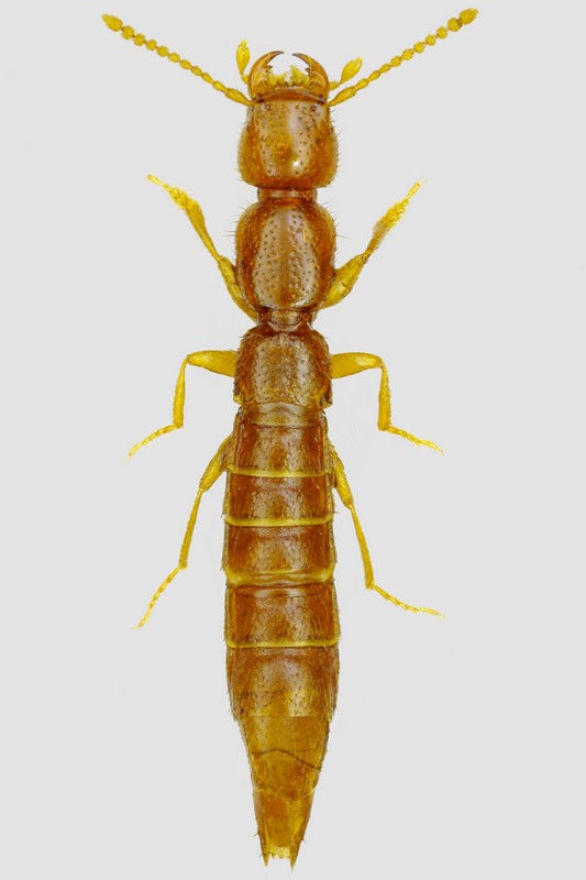
Scotonomus lulensis, Bordoni, Fancello & Leo, 2012 - Staphylinidae Paederinae

16.III.2014 - ITALIA - Sardegna - NU, Lula, M.te Albo leg. A. Degiovanni


nuovo argomento
rispondi
Pagina 1 di 1 [ 3 messaggi ]
Autore Messaggio
MessaggioInviato: 22/04/2014, 15:33 
Avatar utente

Iscritto il: 06/02/2009, 9:03
Messaggi: 6379
Località: Bubano di Mordano (Bologna)
Nome: Augusto Degiovanni
Sperando non li abbia postati anche Loris, inserisco altre 2 speci di Scotonomus.

Questa dovrebbe essere lo Scotonomus lulensis Bordoni, Fancello & Leo, 2012

Lunghezza: 4,2

tn_Lelensis.JPG



tn_lulensis.JPG


_________________
CIAO :hi: Augusto Degiovanni

http://anthicidaeecarabidae.altervista.org


Top
profilo
MessaggioInviato: 22/04/2014, 20:11 
Avatar utente

Iscritto il: 10/05/2010, 22:31
Messaggi: 4375
Località: Gavorrano (GR)
Nome: marco bastianini
Dipendesse da me, metterei l'obbligo per chi pubblica lavori entomologici di far fare le foto degli edeagi ad Augusto.
:hp: :hp: :hp: :hp: STREPITOSE :hp: :hp: :hp: :hp:

_________________
:to: Marco
"Le foreste a precedere le civiltà, i deserti a seguire."
François-René de Chateaubriand


Top
profilo
MessaggioInviato: 22/04/2014, 20:23 
Avatar utente

Iscritto il: 06/02/2009, 9:03
Messaggi: 6379
Località: Bubano di Mordano (Bologna)
Nome: Augusto Degiovanni
hypotyphlus ha scritto:
Dipendesse da me, metterei l'obbligo per chi pubblica lavori entomologici di far fare le foto degli edeagi ad Augusto.
:hp: :hp: :hp: :hp: STREPITOSE :hp: :hp: :hp: :hp:


No no no, ho già abbastanza di mio da fare, ci mancherebbe anche questo :lol: :lol: :lol: :lol: :lol: :lol:

Grazie Marco :birra:

_________________
CIAO :hi: Augusto Degiovanni

http://anthicidaeecarabidae.altervista.org


Top
profilo
Visualizza ultimi messaggi:  Ordina per  
nuovo argomento
rispondi
Pagina 1 di 1 [ 3 messaggi ]

Tutti gli orari sono UTC + 1 ora [ ora legale ]


Chi c’è in linea

Visitano il forum: Nessuno e 1 ospite


Non puoi aprire nuovi argomenti
Non puoi rispondere negli argomenti
Non puoi modificare i tuoi messaggi
Non puoi cancellare i tuoi messaggi
Non puoi inviare allegati

Cerca per:
Vai a: