Benvenuto Ospite

Forum Entomologi Italiani

www.entomologiitaliani.net/forum
 
Oggi è 21/01/2026, 18:04

Tutti gli orari sono UTC + 1 ora [ ora legale ]

Astenus sp. - Staphylinide - Sasso Marconi (BO)



nuovo argomento
rispondi
Pagina 1 di 1 [ 2 messaggi ]
Autore Messaggio
MessaggioInviato: 20/02/2010, 21:12 
Avatar utente

Iscritto il: 05/02/2009, 17:25
Messaggi: 4894
Località: Zola Predosa (BO)
Nome: Loris Colacurcio
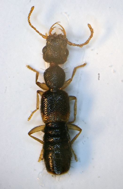
Mi hanno subito colpito per le straordinarie mandibole, dubito fortemente che si tratti di bestiole vegetariane :sma:
Li ho trovati battendo i folti cuscini di muschio cresciuti alla base di alcune acacie.

Sasso Marconi (BO) - Palazzo Rossi, 15.II.2010
Lunghezza: circa 5 mm.
(Staphilinide) n1a.JPG


stafi1.JPG


_________________
Loris


Top
profilo
MessaggioInviato: 20/02/2010, 22:43 
Avatar utente

Iscritto il: 09/11/2009, 14:12
Messaggi: 5187
Località: Hradec Kralove,Czech republik
Nome: Jan Matějíček
Paederinae - Astenus sp.

_________________
Research Fields
Taxonomy, ecology, biomonitoring , faunistic of Staphylinidae


Top
profilo
Visualizza ultimi messaggi:  Ordina per  
nuovo argomento
rispondi
Pagina 1 di 1 [ 2 messaggi ]

Tutti gli orari sono UTC + 1 ora [ ora legale ]


Chi c’è in linea

Visitano il forum: Nessuno e 1 ospite


Non puoi aprire nuovi argomenti
Non puoi rispondere negli argomenti
Non puoi modificare i tuoi messaggi
Non puoi cancellare i tuoi messaggi
Non puoi inviare allegati

Cerca per:
Vai a: