Benvenuto Ospite

Forum Entomologi Italiani

www.entomologiitaliani.net/forum
 
Oggi è 01/12/2025, 7:11

Tutti gli orari sono UTC + 1 ora [ ora legale ]

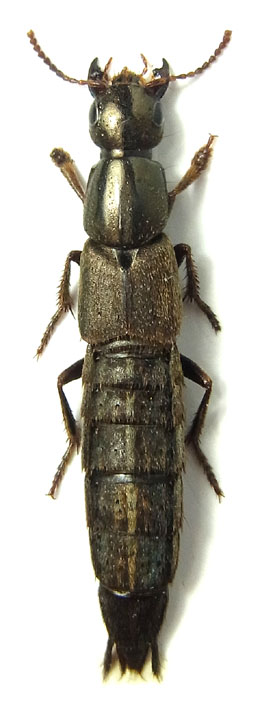
Ocypus (Pseudocypus) sericeicollis Menetries, 1832 - Staphylinidae Staphylininae Staphylinini

1.III.2015 - ITALIA - Abruzzo - AQ, Ofena, 480m


nuovo argomento
rispondi
Pagina 1 di 1 [ 8 messaggi ]
Autore Messaggio
MessaggioInviato: 20/03/2015, 0:04 
Avatar utente

Iscritto il: 23/06/2010, 19:05
Messaggi: 2588
Località: Pescara
Nome: Alessio Morelli
Pure questo, Staphylinidae, Staphylininae, Staphylinini... e poi il buio più totale :dead: . L'ho già visto sul forum, solo che non ricordo in quale discussione.

Sempre su sterco ovino in un pascolo xerico.

Grazie
:hi:

20mm

Staphylino 2.jpg



Top
profilo
 Oggetto del messaggio: Re: Staphylininae 2 da ID
MessaggioInviato: 20/03/2015, 0:11 
Avatar utente

Iscritto il: 06/02/2009, 9:07
Messaggi: 1486
Località: Val Camonica (BS)
Nome: Davide Pedersoli
forse lui :roll:
viewtopic.php?f=243&t=41528&hilit=abruzzensis

_________________
Pedux Camuno


Top
profilo
 Oggetto del messaggio: Re: Staphylininae 2 da ID
MessaggioInviato: 20/03/2015, 9:44 
Avatar utente

Iscritto il: 09/11/2009, 14:12
Messaggi: 5158
Località: Hradec Kralove,Czech republik
Nome: Jan Matějíček
So solo che Ocypus (Pseudocypus) sp.
maschio - femmina :?:

appena nota
Ocypus picipennis picipennis (Fabricius, 1792)
= Ocypus picipennis abruzzensis (Müller, 1926) syn.


in Italia due subspecis:
Ocypus picipennis picipennis (Fabricius, 1792)
Ocypus picipennis fallaciosus (Müller, 1926)


Ocypus picipennis picipennis (Fabricius, 1792)
Ocypus picipennis picipennis (Fabricius, 1792).jpg

Ocypus picipennis fallaciosus (Müller, 1926)
Ocypus picipennis fallaciosus (Müller, 1926).jpg


_________________
Research Fields
Taxonomy, ecology, biomonitoring , faunistic of Staphylinidae
Top
profilo
 Oggetto del messaggio: Re: Staphylininae 2 da ID
MessaggioInviato: 20/03/2015, 16:52 
 

Iscritto il: 06/02/2009, 9:09
Messaggi: 529
Località: Milano
Nome: Nicola Pilon
Pseudocypus cupreus (mi pare si chiami ancora così o forse ha cambiato nome e adesso è P. sericeus, devo controllare).
Nic


Top
profilo
 Oggetto del messaggio: Re: Staphylininae 2 da ID
MessaggioInviato: 20/03/2015, 17:17 
Avatar utente

Iscritto il: 09/11/2009, 14:12
Messaggi: 5158
Località: Hradec Kralove,Czech republik
Nome: Jan Matějíček
Ocypus (Pseudocypus) sericeicollis Menetries, 1832
= Ocypus (Pseudocypus) cupreus Rossi, 1790 syn.


sericeic.jpg

DSC_0002 - Kopie.JPG

Die Käfer Mitteleuropas 4 Staphylinidae I - 506.jpg


_________________
Research Fields
Taxonomy, ecology, biomonitoring , faunistic of Staphylinidae
Top
profilo
 Oggetto del messaggio: Re: Staphylininae 2 da ID
MessaggioInviato: 20/03/2015, 19:29 
Avatar utente

Iscritto il: 23/06/2010, 19:05
Messaggi: 2588
Località: Pescara
Nome: Alessio Morelli
A me sembra una femmina :oops: e non ho controllato il lato ventrale.
Io solitamente per riconoscere il sesso degli staphylinidi conto le "appendici" che vedo alla fine dell'addome (non ho imparato ancora la definizione esatta, ma dovrebbero corrispondere a dei prolungamenti degli ultimi segmenti), quindi, approssimativamente 2 nei maschi e 4 nelle femmine. Nonostante sia un metodo alquanto "rozzo" :to: , finora ha sempre funzionato, almeno per quanto riguarda gli staphylininae.
Sapete se può funzionare pure per gli Ocypus? Se no mi tocca scollare l'ex... :dead:

Appena posso controllo meglio.
Se è femmina che si fa?

Per il momento, Grazie a tutti :birra:


Top
profilo
 Oggetto del messaggio: Re: Staphylininae 2 da ID
MessaggioInviato: 21/03/2015, 15:55 
 

Iscritto il: 06/02/2009, 9:09
Messaggi: 529
Località: Milano
Nome: Nicola Pilon
Anche a me sembra una femmina, cmq vai tranquillo, è P. sericeicollis come giustamente corretto da Jan.
Nic


Top
profilo
 Oggetto del messaggio: Re: Staphylininae 2 da ID
MessaggioInviato: 21/03/2015, 17:10 
Avatar utente

Iscritto il: 23/06/2010, 19:05
Messaggi: 2588
Località: Pescara
Nome: Alessio Morelli
Si, scusami, avevo letto troppo velocemente il tuo primo intervento e l'avevo confuso con le altre possibilità :ok: .
Grazie :birra:


Top
profilo
Visualizza ultimi messaggi:  Ordina per  
nuovo argomento
rispondi
Pagina 1 di 1 [ 8 messaggi ]

Tutti gli orari sono UTC + 1 ora [ ora legale ]


Chi c’è in linea

Visitano il forum: Nessuno e 2 ospiti


Non puoi aprire nuovi argomenti
Non puoi rispondere negli argomenti
Non puoi modificare i tuoi messaggi
Non puoi cancellare i tuoi messaggi
Non puoi inviare allegati

Cerca per:
Vai a:  
cron